Metadaten

Vatikan, Biblioteca Apostolica Vaticana, Pal. lat. 1919
Katalog der Privatbibliothek Ludwigs VI. (Kopie von Pal. lat. 1947) — 1584 /​ Ende 16. Jh. (?) /​ 1616 /​ vermutlich nach 1591 /​ 2. Hälfte 16. Jh. /​ (nach) 1558

DOI Page / Citation link:
https://doi.org/10.11588/diglit.10590#0147
License: In Copyright

DWork-Logo
Overview
Facsimile
0.5
1 cm
facsimile
Scroll
Watermark
Watermark

Werk/Gegenstand/Objekt

Titel

Titel/Objekt
Zusammengesetzte Handschrift
Weitere Titel/Paralleltitel
Titelzusatz
Bücherverzeichnis des Jacobus Strada
Sachbegriff/Objekttyp
Handschrift
Standardnummern
WZIS: DE8085-PO-161930

Inschrift/Wasserzeichen

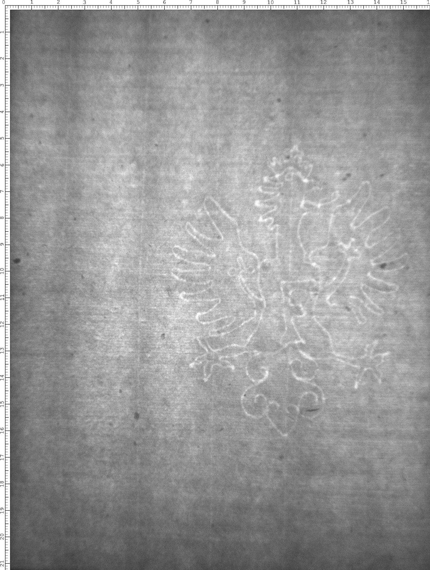
Wasserzeichen
Anbringungsort/Beschreibung
Wappen - Heraldischer Adler - frei, mit Herzschild - Buchstaben/Ziffern - ein Buchstabe - F - ohne Beizeichen - Adler einköpfig, bekrönt
Verweis

Aufbewahrung/Standort

Aufbewahrungsort/Standort (GND)
Biblioteca Apostolica Vaticana
Inv. Nr./Signatur
Pal. lat. 1919, fol. 071

Objektbeschreibung

Sprachen
Latein

Maß-/Formatangaben

Auflage/Druckzustand

Werktitel/Werkverzeichnis

Herstellung/Entstehung

Künstler/Urheber/Hersteller (GND)
Strada, Octavius de
Entstehungsdatum
Ende des 16. Jahrhunderts (?)
Entstehungsort (GND)
Prag
Wien
Material (GND)
Papier

Auftrag

Publikation

Fund/Ausgrabung

Provenienz

Provenienz
Provenienz (GND)
Heidelberg

Restaurierung

Sammlung Eingang

Ausstellung

Bearbeitung/Umgestaltung

Thema/Bildinhalt

Thema/Bildinhalt (GND)
Wasserzeichen

Literaturangabe

Rechte am Objekt

Rechtsstatus
In Copyright (InC) / Urheberrechtsschutz

Aufnahmen/Reproduktionen

Künstler/Urheber (GND)
Universitätsbibliothek Heidelberg
Aufbewahrungsort (GND)
Universitätsbibliothek Heidelberg
Reproduktionstyp
Digitales Bild
Rechtsstatus
In Copyright (InC) / Urheberrechtsschutz
Rechteinhaber Weblink
Creditline
Vatikan, Biblioteca Apostolica Vaticana (https://digi.ub.uni-heidelberg.de/de/bpd/projekt/nutzungsbedingungen.html)
 
Annotationen