Metadaten

Vatikan, Biblioteca Apostolica Vaticana, Pal. lat. 1921
Katalog der Fuggerbibliothek von 1571 — 1571

DOI Seite / Zitierlink:
https://doi.org/10.11588/diglit.9866#0059
Lizenz: In Copyright
Überblick
Faksimile
0.5
1 cm
facsimile
Vollansicht
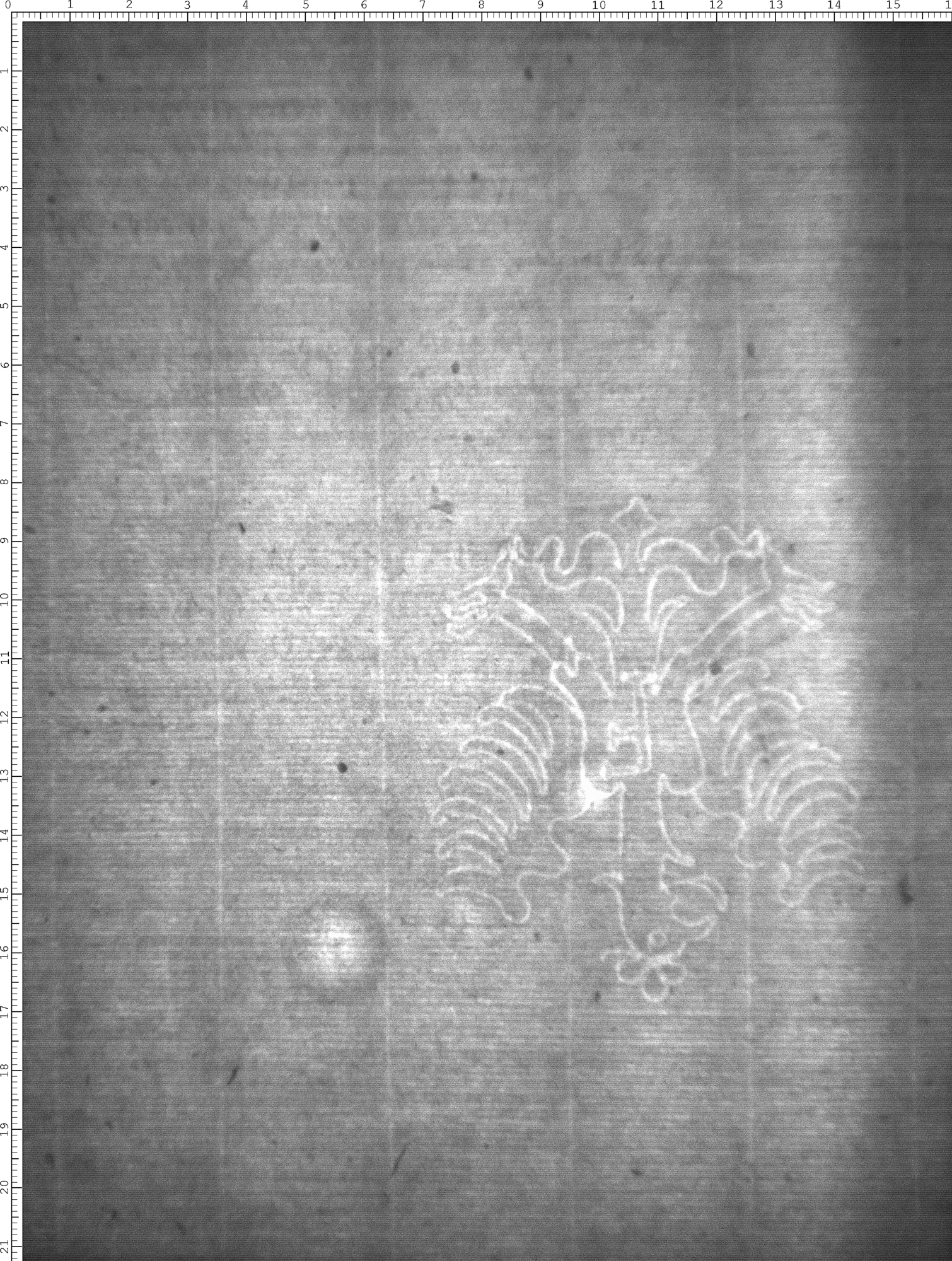
Wasserzeichen
Watermark

Werk/Gegenstand/Objekt

Titel

Titel/Objekt
Katalog der Bibliothek Ulrich Fuggers
Sachbegriff/Objekttyp
Handschrift
Standardnummern
WZIS: DE8730-PO-160809

Inschrift/Wasserzeichen

Wasserzeichen

Aufbewahrung/Standort

Aufbewahrungsort/Standort (GND)
Biblioteca Apostolica Vaticana
Inv. Nr./Signatur
Pal. lat. 1921, fol. 026

Objektbeschreibung

Sprachen
Deutsch
Latein

Maß-/Formatangaben

Auflage/Druckzustand

Werktitel/Werkverzeichnis

Herstellung/Entstehung

Entstehungsdatum
1571
Entstehungsdatum (normiert)
1571 - 1571
Entstehungsort (GND)
Heidelberg
Material (GND)
Papier

Auftrag

Publikation

Fund/Ausgrabung

Provenienz

Provenienz
Provenienz (GND)
Heidelberg

Restaurierung

Sammlung Eingang

Ausstellung

Bearbeitung/Umgestaltung

Thema/Bildinhalt

Thema/Bildinhalt (GND)
Wasserzeichen

Literaturangabe

Rechte am Objekt

Rechtsstatus
In Copyright (InC) / Urheberrechtsschutz

Aufnahmen/Reproduktionen

Künstler/Urheber (GND)
Universitätsbibliothek Heidelberg
Aufbewahrungsort (GND)
Universitätsbibliothek Heidelberg
Reproduktionstyp
Digitales Bild
Rechtsstatus
In Copyright (InC) / Urheberrechtsschutz
Rechteinhaber Weblink
Creditline
Vatikan, Biblioteca Apostolica Vaticana (https://digi.ub.uni-heidelberg.de/de/bpd/projekt/nutzungsbedingungen.html)
 
Annotationen