Metadaten

Vatikan, Biblioteca Apostolica Vaticana, Pal. lat. 599
Articuli Bohemorum in concilio Basileensi praesentati cum responsionibus — Straßburg, 1444

DOI Page / Citation link:
https://doi.org/10.11588/diglit.14088#0052
License: In Copyright
Overview
Facsimile
0.5
1 cm
facsimile
Scroll
Watermark
Watermark

Werk/Gegenstand/Objekt

Titel

Titel/Objekt
Positio(nes) (i. e. apologiae) articulorum a Bohemis (seu Hussitis) propositorum in Concilio Basileensi, publicatae anno 1433
Sachbegriff/Objekttyp
Handschrift

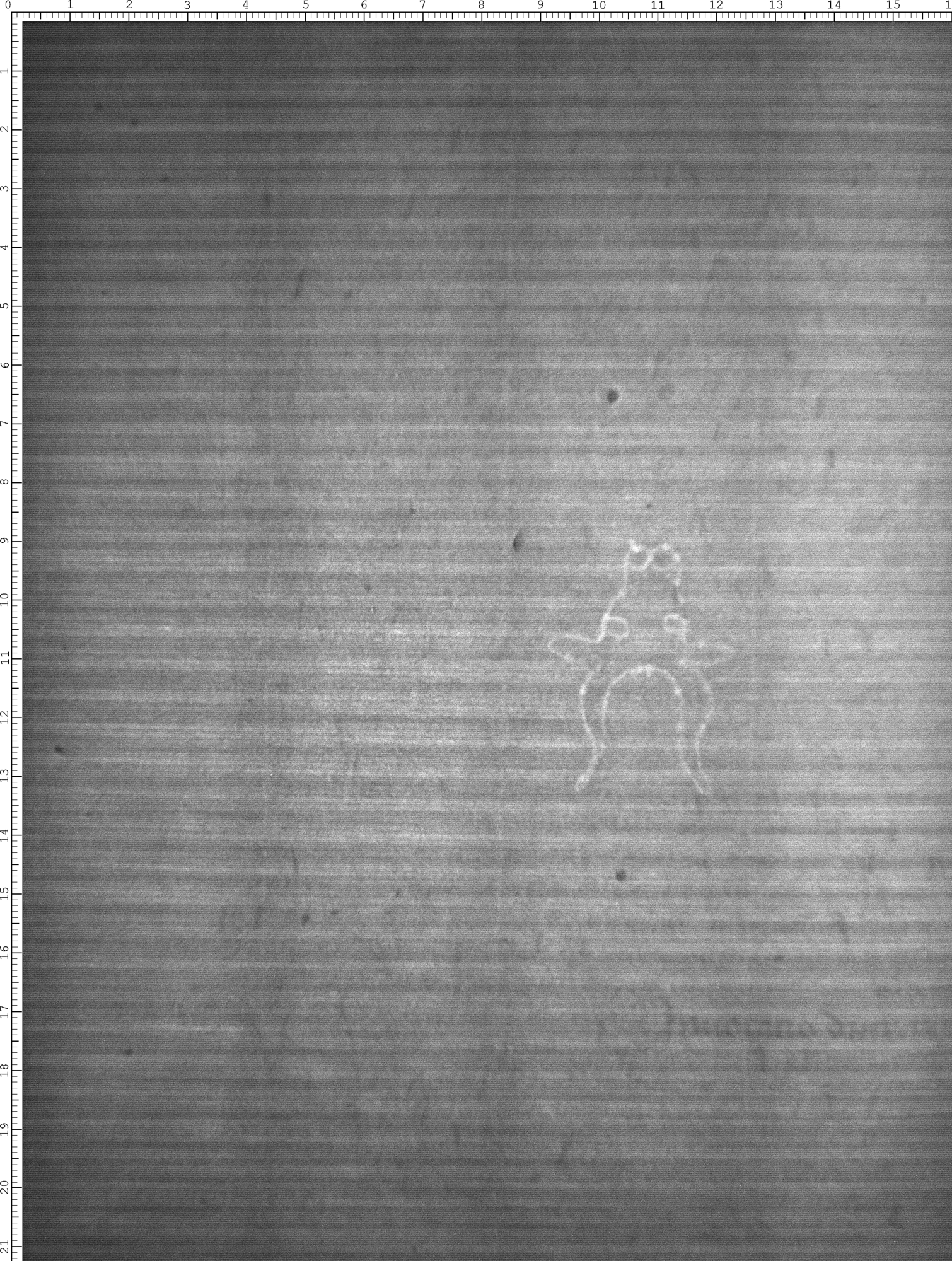
Inschrift/Wasserzeichen

Wasserzeichen
Anbringungsort/Beschreibung
Fauna - Ochsenkopf - frei, ohne Beizeichen - senkrecht - Kontur der Stirn glatt/gebogen - mit Augen und Nasenlöchern - Augen innen - Augen frei/anliegend
Verweis

Aufbewahrung/Standort

Aufbewahrungsort/Standort (GND)
Biblioteca Apostolica Vaticana
Inv. Nr./Signatur
Pal. lat. 599, fol. 023

Objektbeschreibung

Sprachen
Latein

Maß-/Formatangaben

Auflage/Druckzustand

Werktitel/Werkverzeichnis

Herstellung/Entstehung

Entstehungsdatum
1444
Entstehungsdatum (normiert)
1444 - 1444
Material (GND)
Papier

Auftrag

Publikation

Fund/Ausgrabung

Provenienz

Provenienz
Provenienz (GND)
Bibliotheca Palatina (Heidelberg)

Restaurierung

Sammlung Eingang

Ausstellung

Bearbeitung/Umgestaltung

Thema/Bildinhalt

Literaturangabe

Rechte am Objekt

Rechtsstatus
In Copyright (InC) / Urheberrechtsschutz

Aufnahmen/Reproduktionen

Künstler/Urheber (GND)
Universitätsbibliothek Heidelberg
Zeitpunkt Aufnahme
Januar 2013
Aufbewahrungsort (GND)
Universitätsbibliothek Heidelberg
Reproduktionstyp
Digitales Bild
Rechtsstatus
In Copyright (InC) / Urheberrechtsschutz
 
Annotationen