Metadaten

Heidelberg, Universitätsbibliothek Heidelberg, Cod. Pal. germ. 247
Heinrich <Mynsinger>
Buch von den Falken, Habichten, Sperbern, Pferden und Hunden — Schwaben, um 1460

DOI Page / Citation link:
https://doi.org/10.11588/diglit.108#0010
Overview
Facsimile
0.5
1 cm
facsimile
Scroll
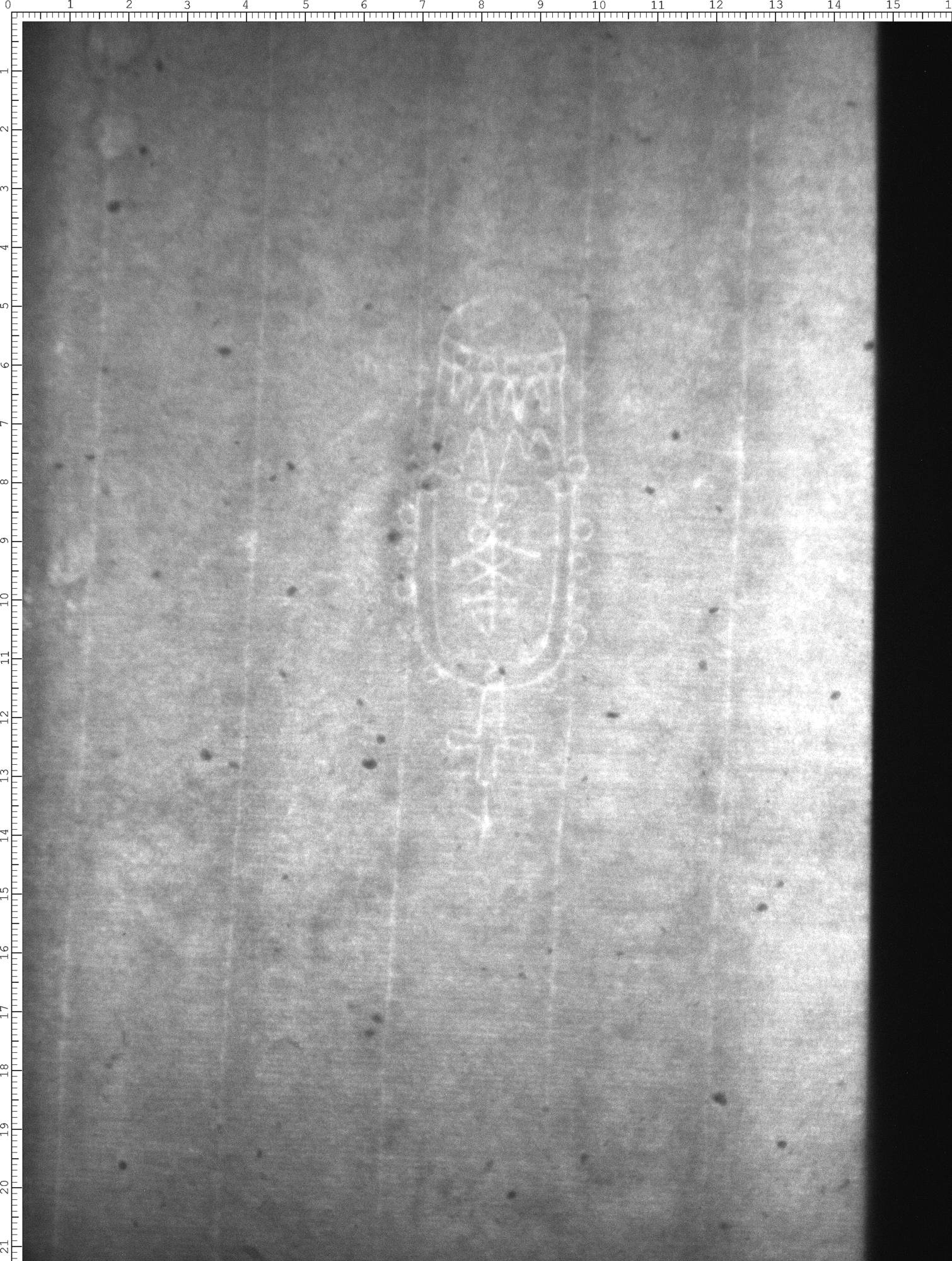
Watermark
Watermark

Werk/Gegenstand/Objekt

Titel

Titel/Objekt
Buch von den Falken, Habichten, Sperbern, Pferden und Hunden
Sachbegriff/Objekttyp
Handschrift

Inschrift/Wasserzeichen

Aufbewahrung/Standort

Aufbewahrungsort/Standort (GND)
Universitätsbibliothek Heidelberg
Inv. Nr./Signatur
Cod. Pal. germ. 247, Bl. 004*

Objektbeschreibung

Sprachen
Deutsch

Maß-/Formatangaben

Auflage/Druckzustand

Werktitel/Werkverzeichnis

Herstellung/Entstehung

Künstler/Urheber/Hersteller (GND)
Heinrich <Mynsinger>
Material/Technik
Papier

Auftrag

Publikation

Fund/Ausgrabung

Provenienz

Provenienz
Kontext
Bibliotheca Palatina Heidelberg

Restaurierung

Sammlung Eingang

Ausstellung

Bearbeitung/Umgestaltung

Thema/Bildinhalt

Thema/Bildinhalt (GND)
Wasserzeichen

Literaturangabe

Rechte am Objekt

Aufnahmen/Reproduktionen

Künstler/Urheber (GND)
Universitätsbibliothek Heidelberg
Zeitpunkt Aufnahme (normiert)
2017 - 2017
Aufbewahrungsort (GND)
Universitätsbibliothek Heidelberg
 
Annotationen