Metadaten

Heidelberg, Universitätsbibliothek Heidelberg, Cod. Pal. germ. 340
'Malagis' ; 'Reinolt von Montelban' — Heidelberg (?), um 1465

DOI Page / Citation link:
https://doi.org/10.11588/diglit.150#0806
Overview
Facsimile
0.5
1 cm
facsimile
Scroll
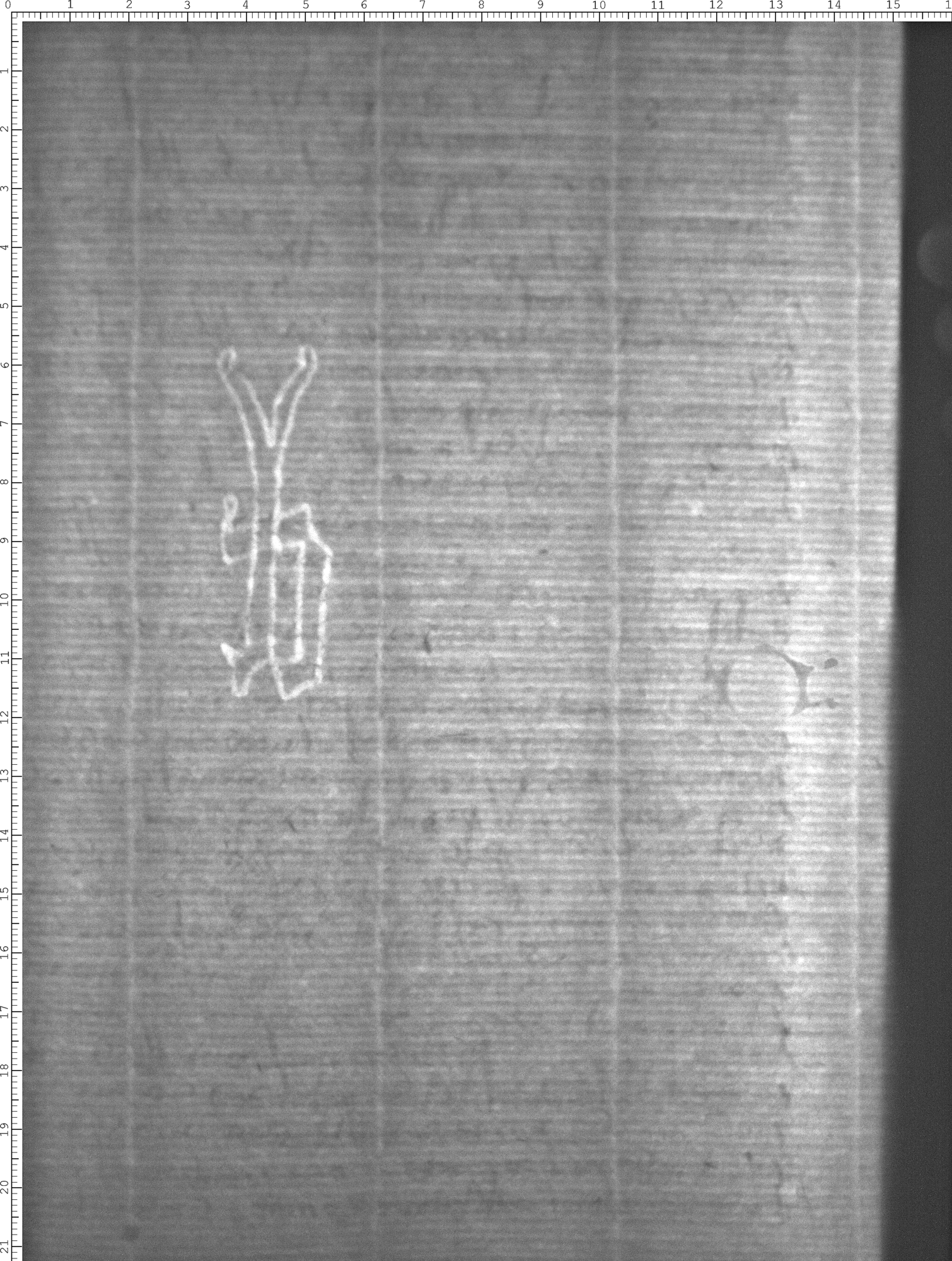
Watermark
Watermark

Werk/Gegenstand/Objekt

Titel

Titel/Objekt
'Malagis' ; 'Reinolt von Montelban'
Sachbegriff/Objekttyp
Handschrift

Inschrift/Wasserzeichen

Aufbewahrung/Standort

Aufbewahrungsort/Standort (GND)
Universitätsbibliothek Heidelberg
Inv. Nr./Signatur
Cod. Pal. germ. 340, Bl. 398

Objektbeschreibung

Sprachen
Deutsch

Maß-/Formatangaben

Auflage/Druckzustand

Werktitel/Werkverzeichnis

Herstellung/Entstehung

Material (GND)
Papier

Auftrag

Publikation

Fund/Ausgrabung

Provenienz

Provenienz
Provenienz (GND)
Bibliotheca Palatina (Heidelberg)

Restaurierung

Sammlung Eingang

Ausstellung

Bearbeitung/Umgestaltung

Thema/Bildinhalt

Thema/Bildinhalt (GND)
Wasserzeichen

Literaturangabe

Rechte am Objekt

Aufnahmen/Reproduktionen

Künstler/Urheber (GND)
Universitätsbibliothek Heidelberg
Zeitpunkt Aufnahme (normiert)
2018 - 2018
Aufbewahrungsort (GND)
Universitätsbibliothek Heidelberg
Reproduktionstyp
Digitales Bild
Image description
There is no information available here for this page.

Temporarily hide column
 
Annotationen