Overview
Facsimile
0.5
1 cm
facsimile
Scroll
Watermark
Watermark

Werk/Gegenstand/Objekt

Titel

Titel/Objekt
Sammelhandschrift
Sachbegriff/Objekttyp
Handschrift

Inschrift/Wasserzeichen

Wasserzeichen
Anbringungsort/Beschreibung
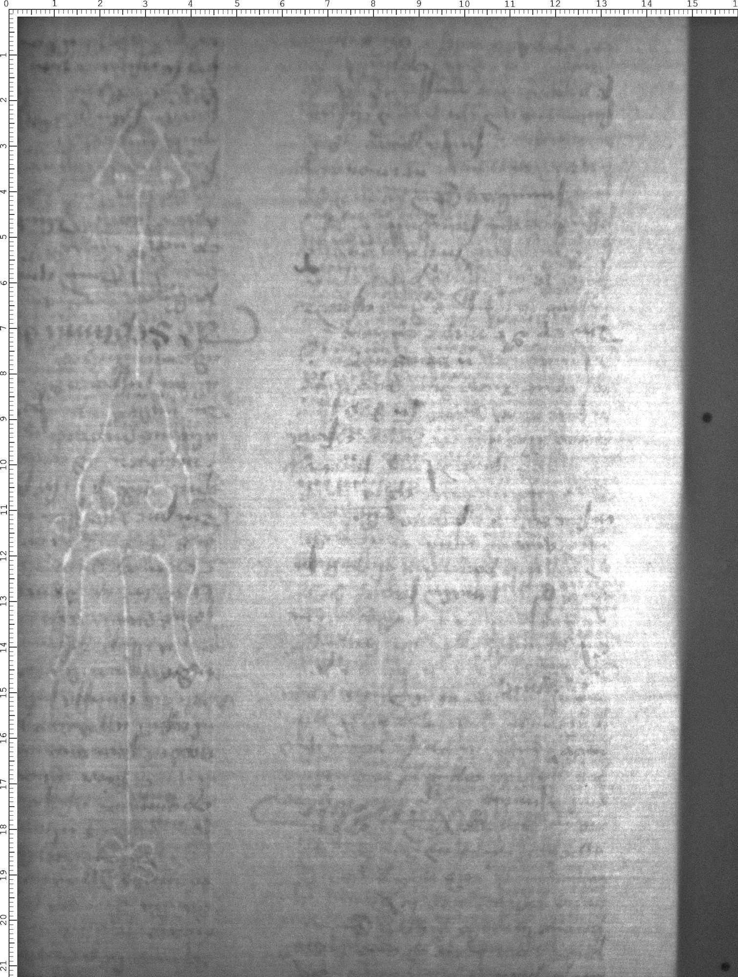
Fauna - Ochsenkopf - frei, mit Ober- und Unterzeichen an Stange - oben und unten einkonturige Stange - oben Blume - ohne weiteres Beizeichen - unten Dreieck - mit Schragen, drei Punkte - zwei Kreuzsprossen - mit Augen

Aufbewahrung/Standort

Aufbewahrungsort/Standort (GND)
Wissenschaftliche Stadtbibliothek Mainz
Inv. Nr./Signatur
HS I 18, fol. 142

Objektbeschreibung

Sprachen
Latein

Maß-/Formatangaben

Auflage/Druckzustand

Werktitel/Werkverzeichnis

Herstellung/Entstehung

Künstler/Urheber/Hersteller (GND)
Johannes, Andreae , Autor/Autorin
Entstehungsdatum
1467-1468
Entstehungsdatum (normiert)
1467 - 1468
Material (GND)
Papier

Auftrag

Publikation

Fund/Ausgrabung

Provenienz

Provenienz
Provenienz (GND)
Kloster St. Michael Mainz

Restaurierung

Sammlung Eingang

Ausstellung

Bearbeitung/Umgestaltung

Thema/Bildinhalt

Thema/Bildinhalt (GND)
Wasserzeichen

Literaturangabe

Rechte am Objekt

Aufnahmen/Reproduktionen

Künstler/Urheber (GND)
Universitätsbibliothek Heidelberg
Zeitpunkt Aufnahme
2020
Aufbewahrungsort (GND)
Universitätsbibliothek Heidelberg
Reproduktionstyp
Digitales Bild
Rechtsstatus
Public Domain Mark 1.0
 
Annotationen