Metadaten

Wissenschaftliche Stadtbibliothek Mainz, Hs I 25
Albertus Magnus; Geist, Marcellus [Adr.]; Mayr, Sixtus [Bearb.]
Summa theologiae — 1450

DOI Seite / Zitierlink:
https://doi.org/10.11588/diglit.49935#0456
Überblick
Faksimile
0.5
1 cm
facsimile
Vollansicht
Wasserzeichen
Watermark

Werk/Gegenstand/Objekt

Titel

Titel/Objekt
Summa theologiae
Sachbegriff/Objekttyp
Handschrift

Inschrift/Wasserzeichen

Wasserzeichen
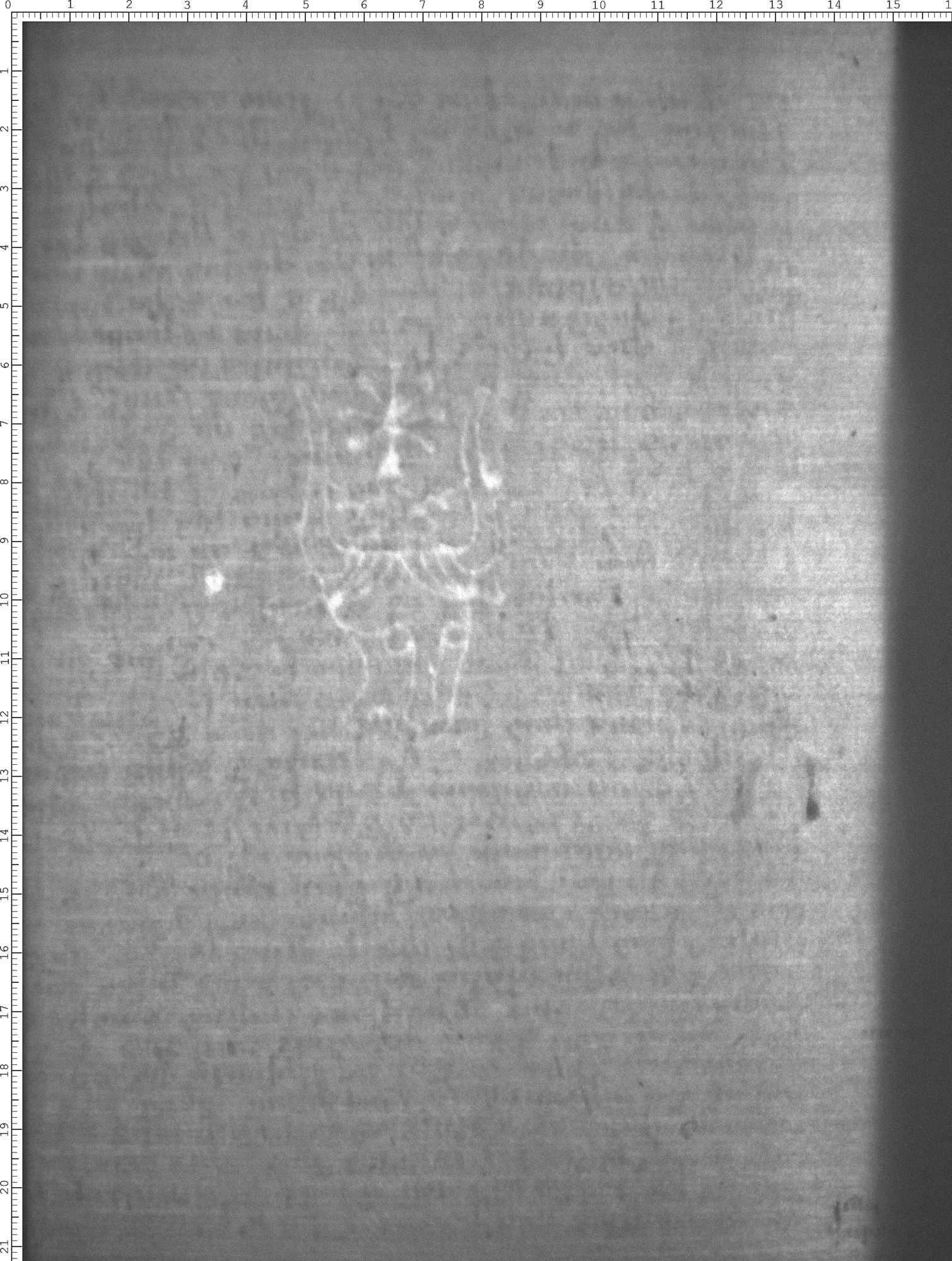
Anbringungsort/Beschreibung
Fauna - Ochsenkopf - im Profil - Halbprofil - frei, mit Oberzeichen - ohne Stange - Krone - Stern (einkonturig) - Stirn mit Fransen (einkonturig)

Aufbewahrung/Standort

Aufbewahrungsort/Standort (GND)
Wissenschaftliche Stadtbibliothek Mainz
Inv. Nr./Signatur
HS I 25, fol. 224

Objektbeschreibung

Sprachen
Latein

Maß-/Formatangaben

Auflage/Druckzustand

Werktitel/Werkverzeichnis

Herstellung/Entstehung

Künstler/Urheber/Hersteller (GND)
Albertus, Magnus, Heiliger , Autor/Autorin
Geist, Marcellus , Autor/Autorin
Sixtus, de Werdea , Autor/Autorin
Entstehungsdatum
1450
Entstehungsdatum (normiert)
1450 - 1450
Material (GND)
Papier

Auftrag

Publikation

Fund/Ausgrabung

Provenienz

Provenienz
Provenienz (GND)
Kloster St. Michael Mainz

Restaurierung

Sammlung Eingang

Ausstellung

Bearbeitung/Umgestaltung

Thema/Bildinhalt

Thema/Bildinhalt (GND)
Wasserzeichen
Wasserzeichen

Literaturangabe

Rechte am Objekt

Aufnahmen/Reproduktionen

Künstler/Urheber (GND)
Universitätsbibliothek Heidelberg
Zeitpunkt Aufnahme
2020
Aufbewahrungsort (GND)
Universitätsbibliothek Heidelberg
Reproduktionstyp
Digitales Bild
Rechtsstatus
Public Domain Mark 1.0
 
Annotationen