Metadaten

Wissenschaftliche Stadtbibliothek Mainz, Hs I 34
Henricus <Totting>
Quaestiones in quattuor libros Sententiarum Petri Lombardi — Anfang 15. Jh.

DOI Page / Citation link:
https://doi.org/10.11588/diglit.49944#0438
Overview
Facsimile
0.5
1 cm
facsimile
Scroll
Watermark
Watermark

Werk/Gegenstand/Objekt

Titel

Titel/Objekt
Quaestiones in quattuor libros Sententiarum Petri Lombardi
Sachbegriff/Objekttyp
Handschrift

Inschrift/Wasserzeichen

Wasserzeichen
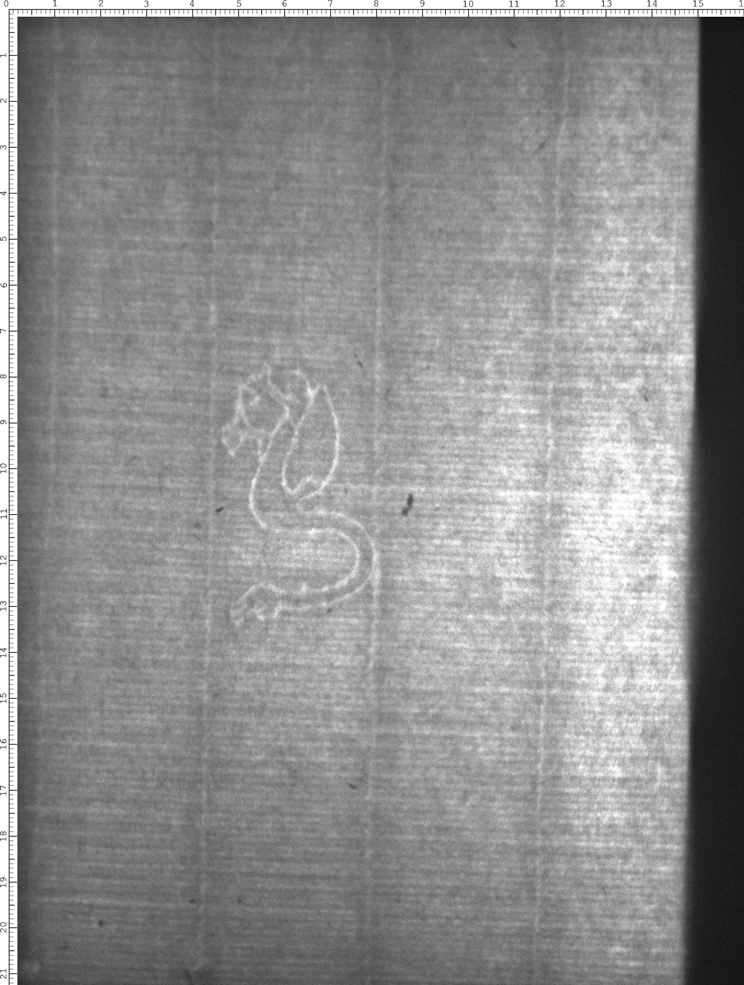
Anbringungsort/Beschreibung
Fauna - Vogel - ganze Figur - frei, ohne Beizeichen - Schwan/Gans/Ente - Beine zweikonturig - um 90° gedreht - mit Augen

Aufbewahrung/Standort

Aufbewahrungsort/Standort (GND)
Wissenschaftliche Stadtbibliothek Mainz
Inv. Nr./Signatur
HS I 34, fol. 215

Objektbeschreibung

Sprachen
Latein

Maß-/Formatangaben

Auflage/Druckzustand

Werktitel/Werkverzeichnis

Herstellung/Entstehung

Künstler/Urheber/Hersteller (GND)
Henricus, Totting , Autor/Autorin
Entstehungsdatum
Anfang 15. Jh.
Entstehungsdatum (normiert)
1401 - 1415
Material (GND)
Papier

Auftrag

Publikation

Fund/Ausgrabung

Provenienz

Provenienz
Provenienz (GND)
Kloster St. Michael Mainz

Restaurierung

Sammlung Eingang

Ausstellung

Bearbeitung/Umgestaltung

Thema/Bildinhalt

Thema/Bildinhalt (GND)
Wasserzeichen

Literaturangabe

Rechte am Objekt

Aufnahmen/Reproduktionen

Künstler/Urheber (GND)
Universitätsbibliothek Heidelberg
Zeitpunkt Aufnahme
2020
Aufbewahrungsort (GND)
Universitätsbibliothek Heidelberg
Reproduktionstyp
Digitales Bild
Rechtsstatus
Public Domain Mark 1.0
 
Annotationen