Metadaten

Wissenschaftliche Stadtbibliothek Mainz, Hs I 36
Deutsche Hoheliedauslegung — Mittelrhein, 3. Viertel 15. Jh.

DOI Seite / Zitierlink:
https://doi.org/10.11588/diglit.49946#0022
Überblick
Faksimile
0.5
1 cm
facsimile
Vollansicht
Wasserzeichen
Watermark

Werk/Gegenstand/Objekt

Titel

Titel/Objekt
Sammelhandschrift
Sachbegriff/Objekttyp
Handschrift

Inschrift/Wasserzeichen

Wasserzeichen
Anbringungsort/Beschreibung
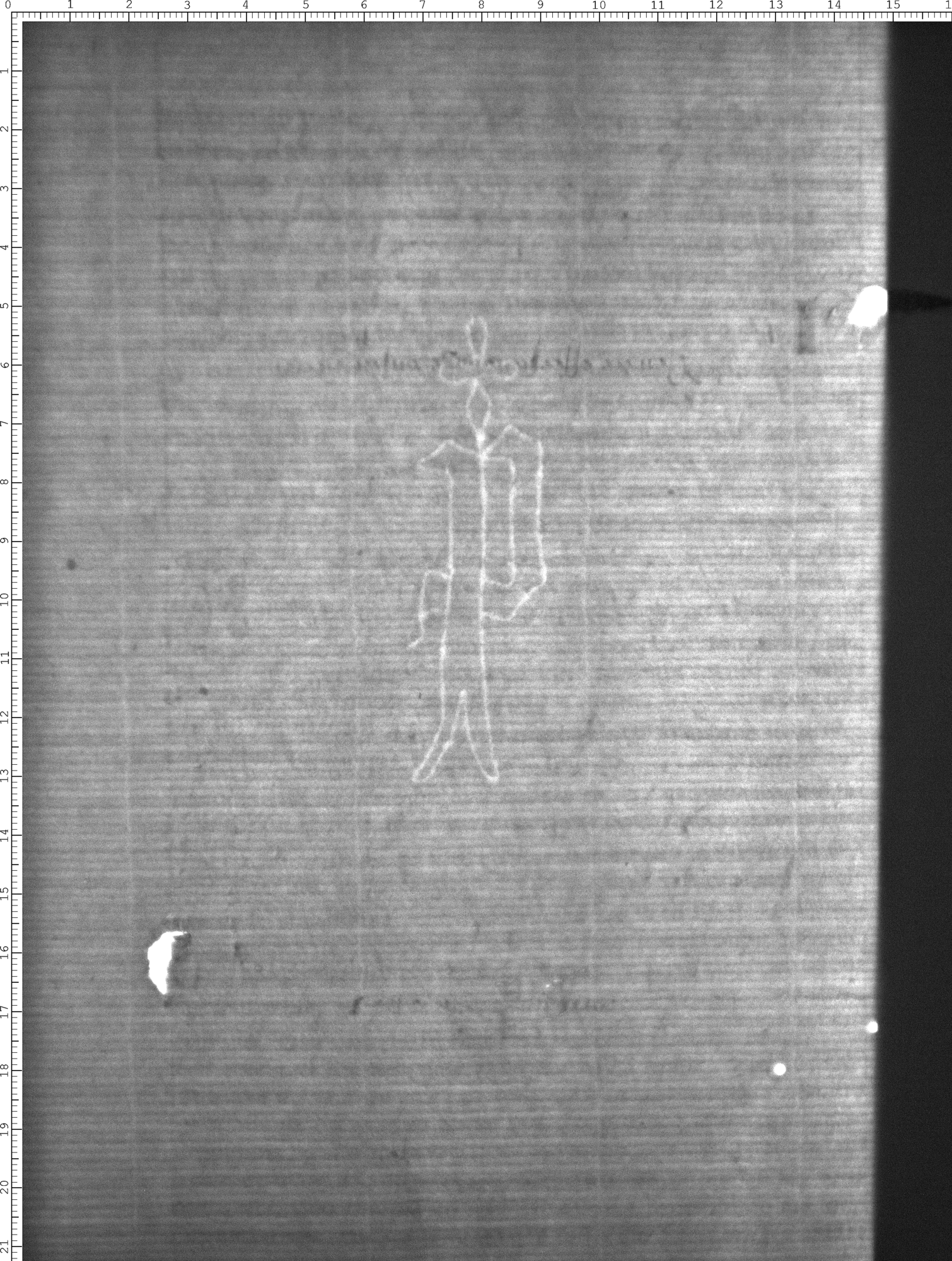
Buchstaben/Ziffern - Buchstabe P - frei, gotische Form, mit Beizeichen - Blume/Blatt - vierblättrig, ohne weiteres Beizeichen, ohne Querstrich - Bogenende hinter dem Schaft - Schaftende gespalten, ohne Schnörkel - Bogenende mit Dorn (einkonturig) - Blätter rund, ohne Stempel

Aufbewahrung/Standort

Aufbewahrungsort/Standort (GND)
Wissenschaftliche Stadtbibliothek Mainz
Inv. Nr./Signatur
HS I 36, fol. 10

Objektbeschreibung

Sprachen
Latein

Maß-/Formatangaben

Auflage/Druckzustand

Werktitel/Werkverzeichnis

Herstellung/Entstehung

Künstler/Urheber/Hersteller (GND)
Guilelmus, Arvernus , Autor/Autorin
Johannes, Calderinus , Autor/Autorin
Johannes, Andreae , Autor/Autorin
Nikolaus, von Jauer , Autor/Autorin
Entstehungsdatum
3. Viertel 15. Jh.
Entstehungsdatum (normiert)
1451 - 1475
Material (GND)
Papier

Auftrag

Publikation

Fund/Ausgrabung

Provenienz

Provenienz
Provenienz (GND)
Kloster St. Michael Mainz

Restaurierung

Sammlung Eingang

Ausstellung

Bearbeitung/Umgestaltung

Thema/Bildinhalt

Thema/Bildinhalt (GND)
Wasserzeichen

Literaturangabe

Rechte am Objekt

Aufnahmen/Reproduktionen

Künstler/Urheber (GND)
Universitätsbibliothek Heidelberg
Zeitpunkt Aufnahme
2020
Aufbewahrungsort (GND)
Universitätsbibliothek Heidelberg
Reproduktionstyp
Digitales Bild
Rechtsstatus
Public Domain Mark 1.0
 
Annotationen