Metadaten

Wissenschaftliche Stadtbibliothek Mainz, Hs I 452
Formularius iuris — 14./​15. Jh.

DOI Seite / Zitierlink:
https://doi.org/10.11588/diglit.66212#0251
Überblick
Faksimile
0.5
1 cm
facsimile
Vollansicht
Wasserzeichen
Watermark

Werk/Gegenstand/Objekt

Titel

Titel/Objekt
Formularius iuris
Sachbegriff/Objekttyp
Handschrift

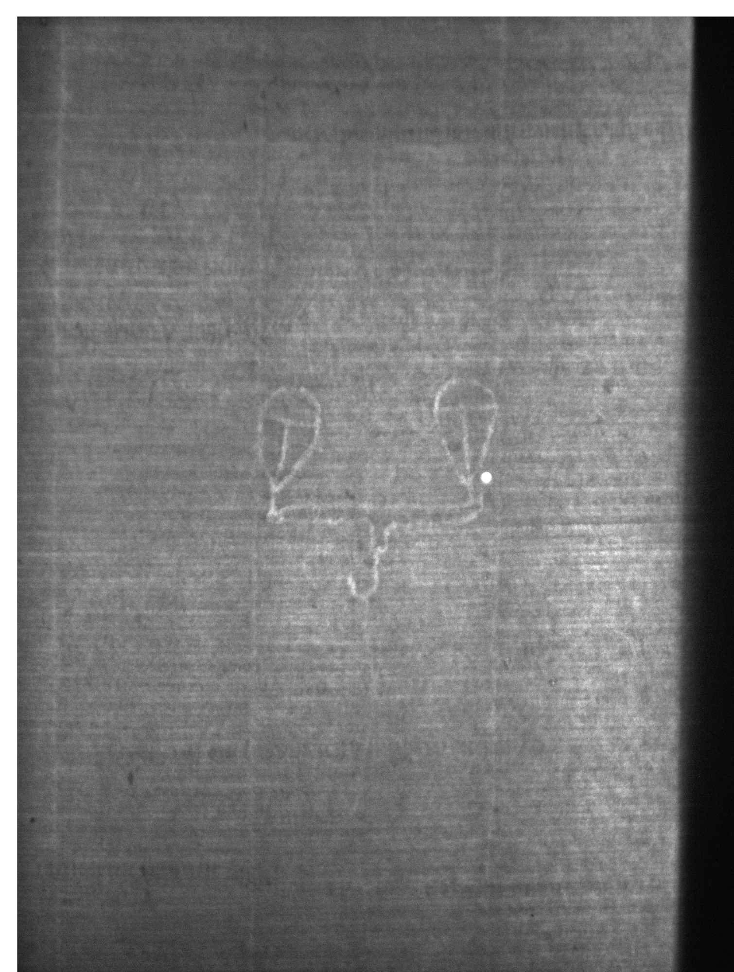
Inschrift/Wasserzeichen

Wasserzeichen
Anbringungsort/Beschreibung
Realien - Waage - frei, ohne Beizeichen Zum jetzigen Zeitpunkt ist in WZIS kein Wasserzeichen mit entsprechenden Details aufgeführt

Aufbewahrung/Standort

Aufbewahrungsort/Standort (GND)
Wissenschaftliche Stadtbibliothek Mainz
Inv. Nr./Signatur
HS I 452, fol. 125

Objektbeschreibung

Sprachen
Latein

Maß-/Formatangaben

Auflage/Druckzustand

Werktitel/Werkverzeichnis

Herstellung/Entstehung

Entstehungsdatum
14./​15. Jh.
Entstehungsdatum (normiert)
1300 - 1500
Material (GND)
Papier

Auftrag

Publikation

Fund/Ausgrabung

Provenienz

Provenienz
Provenienz (GND)
Kloster St. Michael Mainz

Restaurierung

Sammlung Eingang

Ausstellung

Bearbeitung/Umgestaltung

Thema/Bildinhalt

Literaturangabe

Rechte am Objekt

Aufnahmen/Reproduktionen

Künstler/Urheber (GND)
Universitätsbibliothek Heidelberg
Zeitpunkt Aufnahme
2023
Aufbewahrungsort (GND)
Universitätsbibliothek Heidelberg
Reproduktionstyp
Digitales Bild
Rechtsstatus
Public Domain Mark 1.0
 
Annotationen