Werk/Gegenstand/Objekt
Titel
Titel/Objekt
Juristische Sammelhandschrift
Sachbegriff/Objekttyp
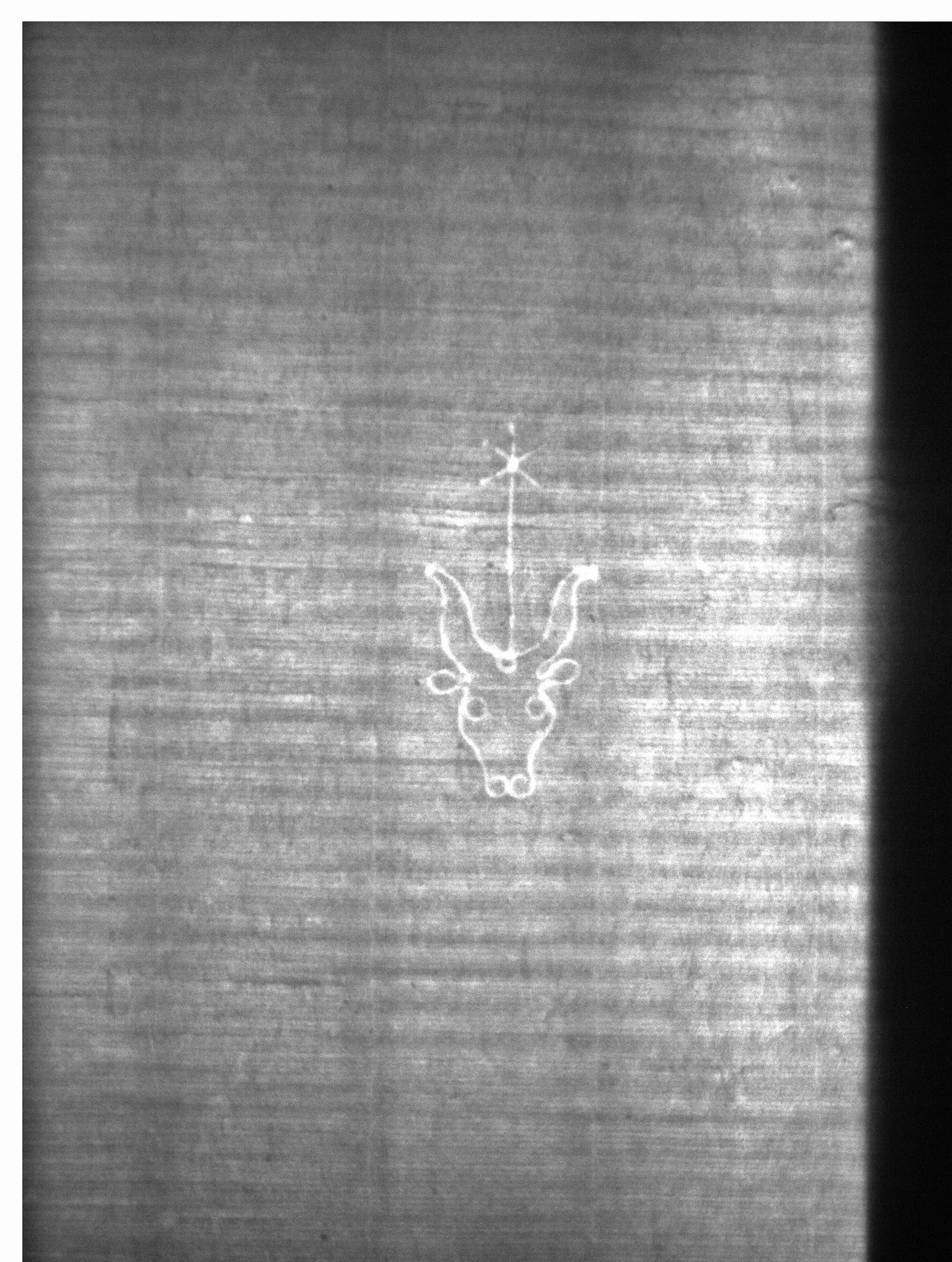
Inschrift/Wasserzeichen
Wasserzeichen
Anbringungsort/Beschreibung
Fauna - Ochsenkopf - frei, mit Oberzeichen - mit einkonturiger Stange - Stern (einkonturig) - sechsstrahlig (Enden gerade) - ohne weiteres Beizeichen - mit Augen und Nasenlöchern - mit Kreis auf Stirn
Aufbewahrung/Standort
Aufbewahrungsort/Standort (GND)
Inv. Nr./Signatur
HS I 454, fol. 11
Objektbeschreibung
Sprachen
Maß-/Formatangaben
Auflage/Druckzustand
Werktitel/Werkverzeichnis
Herstellung/Entstehung
Entstehungsdatum
1453
Entstehungsdatum (normiert)
1453 - 1453
Material (GND)
Auftrag
Publikation
Fund/Ausgrabung
Provenienz
Provenienz