Metadaten

Wissenschaftliche Stadtbibliothek Mainz, Hs I 53d
Hugutio Pisanus
Magnae derivationes — Böhmen (?), 1372

DOI Page / Citation link:
https://doi.org/10.11588/diglit.52392#0358
Overview
Facsimile
0.5
1 cm
facsimile
Scroll
Watermark
Watermark

Werk/Gegenstand/Objekt

Titel

Titel/Objekt
Magnae derivationes
Sachbegriff/Objekttyp
Handschrift

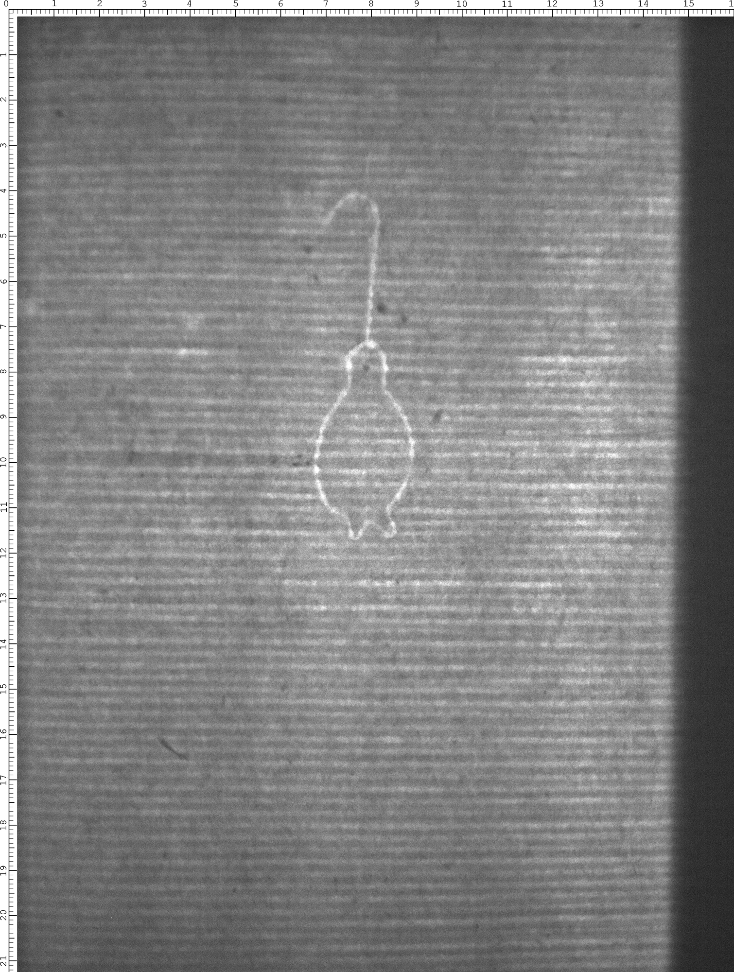
Inschrift/Wasserzeichen

Wasserzeichen
Anbringungsort/Beschreibung
Flora - Frucht - Birne - frei, ohne Blätter - ohne Beizeichen - Stiel einkonturig - Stielende hakenförmig

Aufbewahrung/Standort

Aufbewahrungsort/Standort (GND)
Wissenschaftliche Stadtbibliothek Mainz
Inv. Nr./Signatur
HS I 53d, fol. 175

Objektbeschreibung

Sprachen
Latein

Maß-/Formatangaben

Auflage/Druckzustand

Werktitel/Werkverzeichnis

Herstellung/Entstehung

Künstler/Urheber/Hersteller (GND)
Hugutio , Autor/Autorin
Entstehungsdatum
1372
Entstehungsdatum (normiert)
1372 - 1372
Material (GND)
Papier

Auftrag

Publikation

Fund/Ausgrabung

Provenienz

Provenienz
Provenienz (GND)
Kloster St. Michael Mainz

Restaurierung

Sammlung Eingang

Ausstellung

Bearbeitung/Umgestaltung

Thema/Bildinhalt

Thema/Bildinhalt (GND)
Wasserzeichen

Literaturangabe

Rechte am Objekt

Aufnahmen/Reproduktionen

Künstler/Urheber (GND)
Universitätsbibliothek Heidelberg
Zeitpunkt Aufnahme
2020
Aufbewahrungsort (GND)
Universitätsbibliothek Heidelberg
Reproduktionstyp
Digitales Bild
Rechtsstatus
Public Domain Mark 1.0
 
Annotationen