Überblick
Faksimile
0.5
1 cm
facsimile
Vollansicht
Wasserzeichen
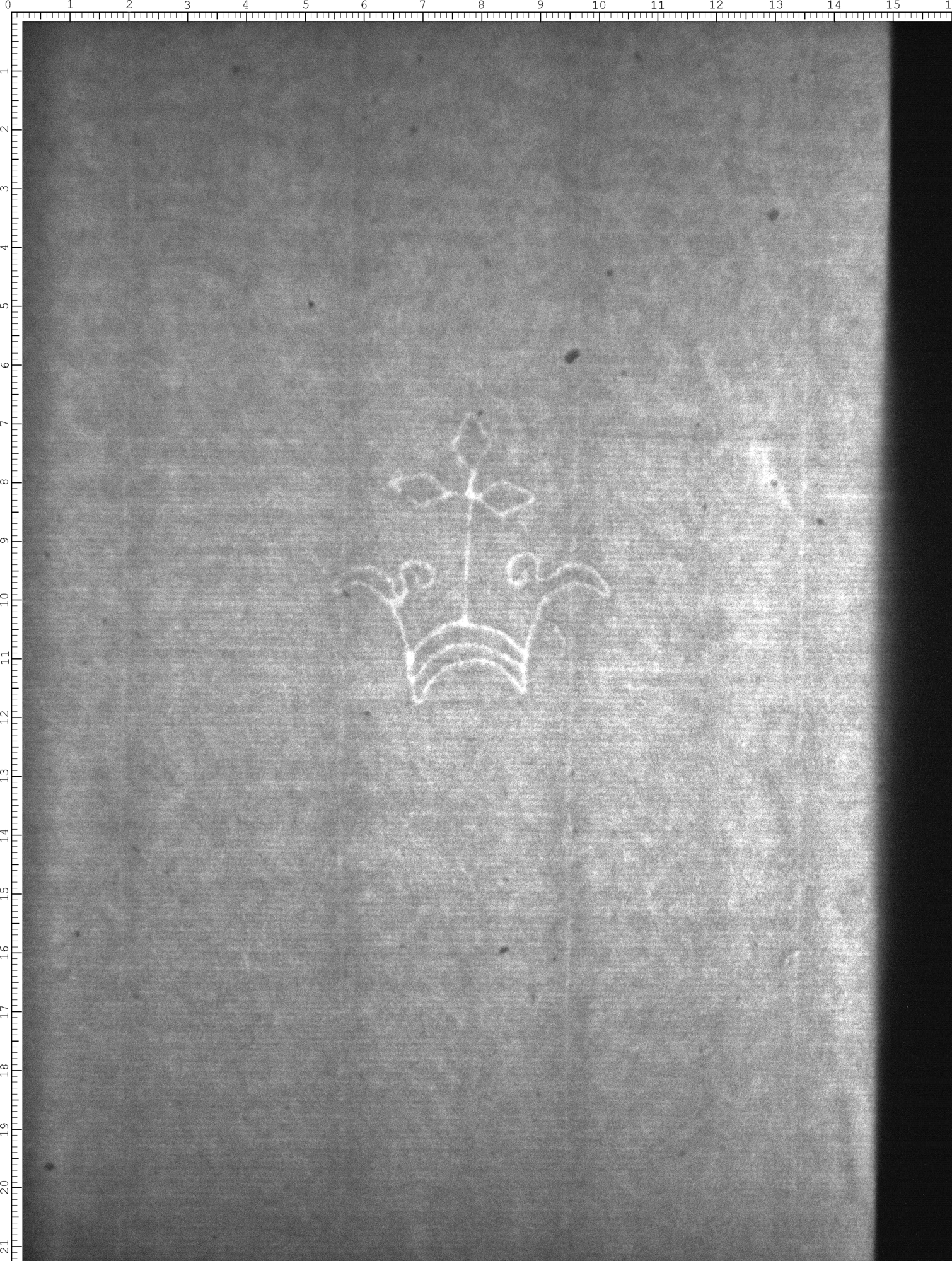
Watermark

Werk/Gegenstand/Objekt

Titel

Titel/Objekt
Heilsgeschichtliches Kompendium
Sachbegriff/Objekttyp
Handschrift

Inschrift/Wasserzeichen

Wasserzeichen
Anbringungsort/Beschreibung
Symbole/Herrschaftszeichen - Krone - ohne Bügel - frei, ohne Beizeichen - senkrecht - Mittelzinken einkonturig - Ende blattförmig - Zinkenreihe offen - Reif zweiteilig - ohne Schmuck

Aufbewahrung/Standort

Aufbewahrungsort/Standort (GND)
Wissenschaftliche Stadtbibliothek Mainz
Inv. Nr./Signatur
HS I 631, fol. 274

Objektbeschreibung

Sprachen
Latein

Maß-/Formatangaben

Auflage/Druckzustand

Werktitel/Werkverzeichnis

Herstellung/Entstehung

Entstehungsdatum
2. Hälfte 15. Jh.
Entstehungsdatum (normiert)
1451 - 1500
Material (GND)
Papier

Auftrag

Publikation

Fund/Ausgrabung

Provenienz

Provenienz
Provenienz (GND)
Kloster St. Michael Mainz

Restaurierung

Sammlung Eingang

Ausstellung

Bearbeitung/Umgestaltung

Thema/Bildinhalt

Literaturangabe

Rechte am Objekt

Aufnahmen/Reproduktionen

Künstler/Urheber (GND)
Universitätsbibliothek Heidelberg
Zeitpunkt Aufnahme
2024
Aufbewahrungsort (GND)
Universitätsbibliothek Heidelberg
Reproduktionstyp
Digitales Bild
Rechtsstatus
Public Domain Mark 1.0
 
Annotationen