Metadaten

Wissenschaftliche Stadtbibliothek Mainz, Hs I 68
Sermones — um 1400 (1399)

DOI Seite / Zitierlink:
https://doi.org/10.11588/diglit.65995#0155
Überblick
Faksimile
0.5
1 cm
facsimile
Vollansicht
Wasserzeichen
Watermark

Werk/Gegenstand/Objekt

Titel

Titel/Objekt
Sermones
Sachbegriff/Objekttyp
Handschrift

Inschrift/Wasserzeichen

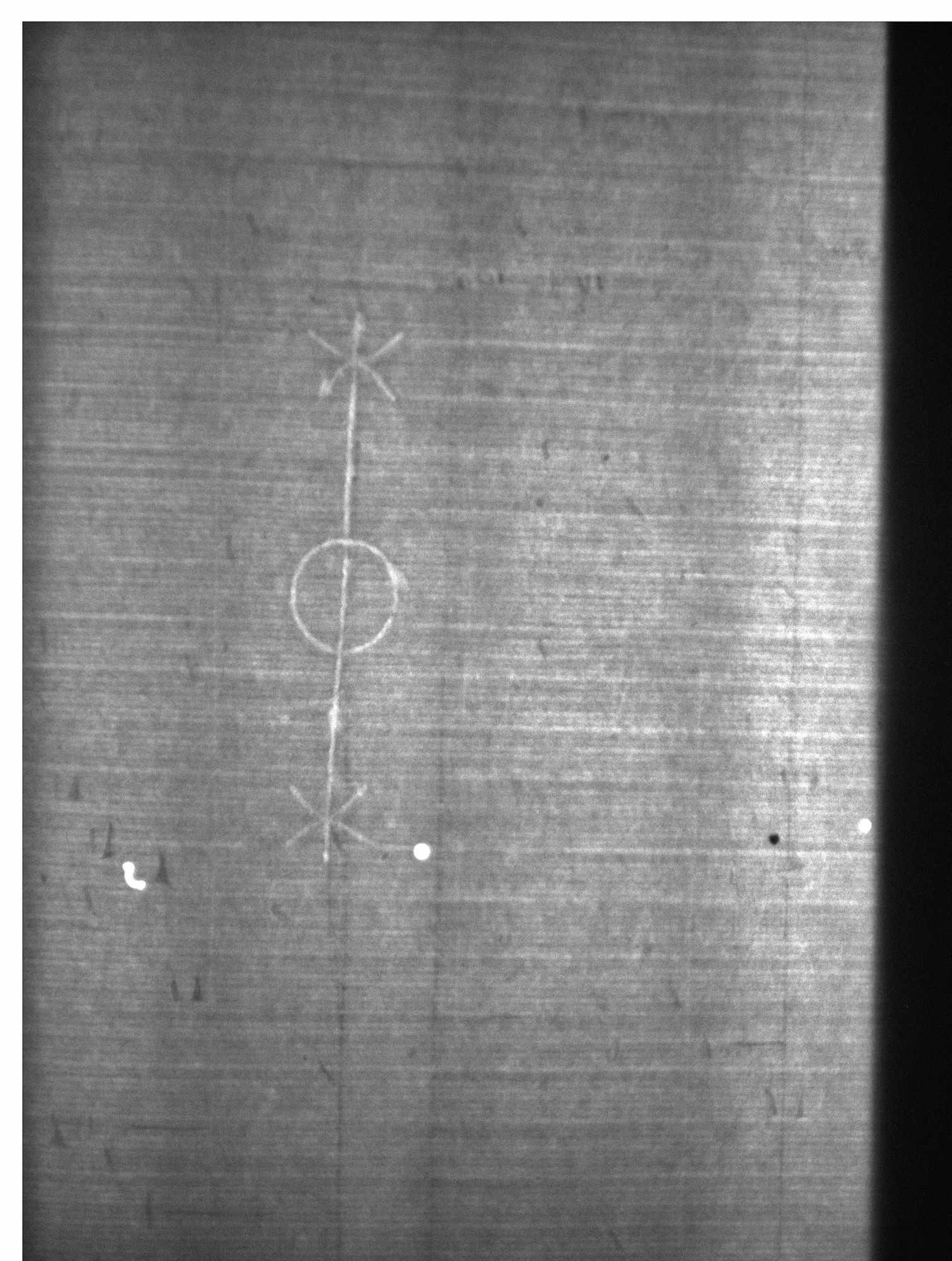
Wasserzeichen
Anbringungsort/Beschreibung
Geometrische Figuren - drei Elemente - Stern - Kreis - Stern - ohne Beizeichen - senkrecht

Aufbewahrung/Standort

Aufbewahrungsort/Standort (GND)
Wissenschaftliche Stadtbibliothek Mainz
Inv. Nr./Signatur
HS I 68, fol. 73

Objektbeschreibung

Sprachen
Latein

Maß-/Formatangaben

Auflage/Druckzustand

Werktitel/Werkverzeichnis

Herstellung/Entstehung

Entstehungsdatum
um 1400 (1399)
Entstehungsdatum (normiert)
1399 - 1400
Material (GND)
Papier

Auftrag

Publikation

Fund/Ausgrabung

Provenienz

Provenienz
Provenienz (GND)
Kloster St. Michael Mainz

Restaurierung

Sammlung Eingang

Ausstellung

Bearbeitung/Umgestaltung

Thema/Bildinhalt

Literaturangabe

Rechte am Objekt

Aufnahmen/Reproduktionen

Künstler/Urheber (GND)
Universitätsbibliothek Heidelberg
Zeitpunkt Aufnahme
2023
Aufbewahrungsort (GND)
Universitätsbibliothek Heidelberg
Reproduktionstyp
Digitales Bild
Rechtsstatus
Public Domain Mark 1.0
 
Annotationen