Werk/Gegenstand/Objekt
Titel
Titel/Objekt
Sermones
Sachbegriff/Objekttyp
Inschrift/Wasserzeichen
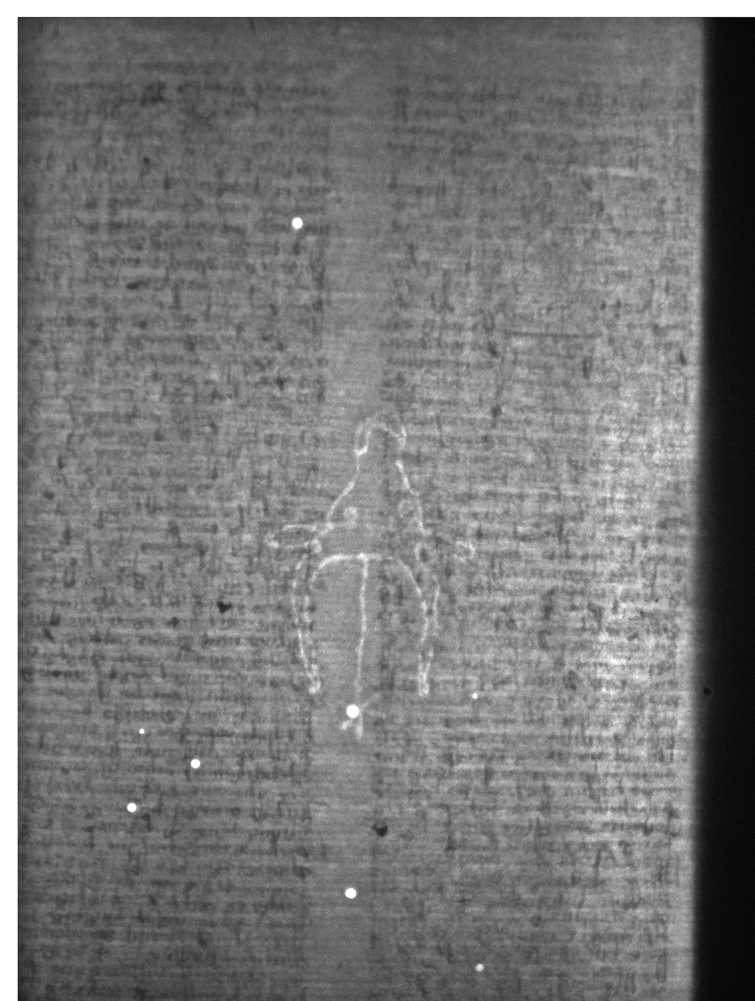
Wasserzeichen
Anbringungsort/Beschreibung
Fauna - Ochsenkopf - frei, mit Oberzeichen - mit einkonturiger Stange - Stern (einkonturig) - sechsstrahlig (Enden gerade) - ohne weiteres Beizeichen - mit Augen und Maul - Augen mit Verbindungslinien
Aufbewahrung/Standort
Aufbewahrungsort/Standort (GND)
Inv. Nr./Signatur
HS I 68, fol. 98
Objektbeschreibung
Sprachen
Maß-/Formatangaben
Auflage/Druckzustand
Werktitel/Werkverzeichnis
Herstellung/Entstehung
Entstehungsdatum
um 1400 (1399)
Entstehungsdatum (normiert)
1399 - 1400
Material (GND)
Auftrag
Publikation
Fund/Ausgrabung
Provenienz
Provenienz