Werk/Gegenstand/Objekt
Titel
Titel/Objekt
Sermones
Sachbegriff/Objekttyp
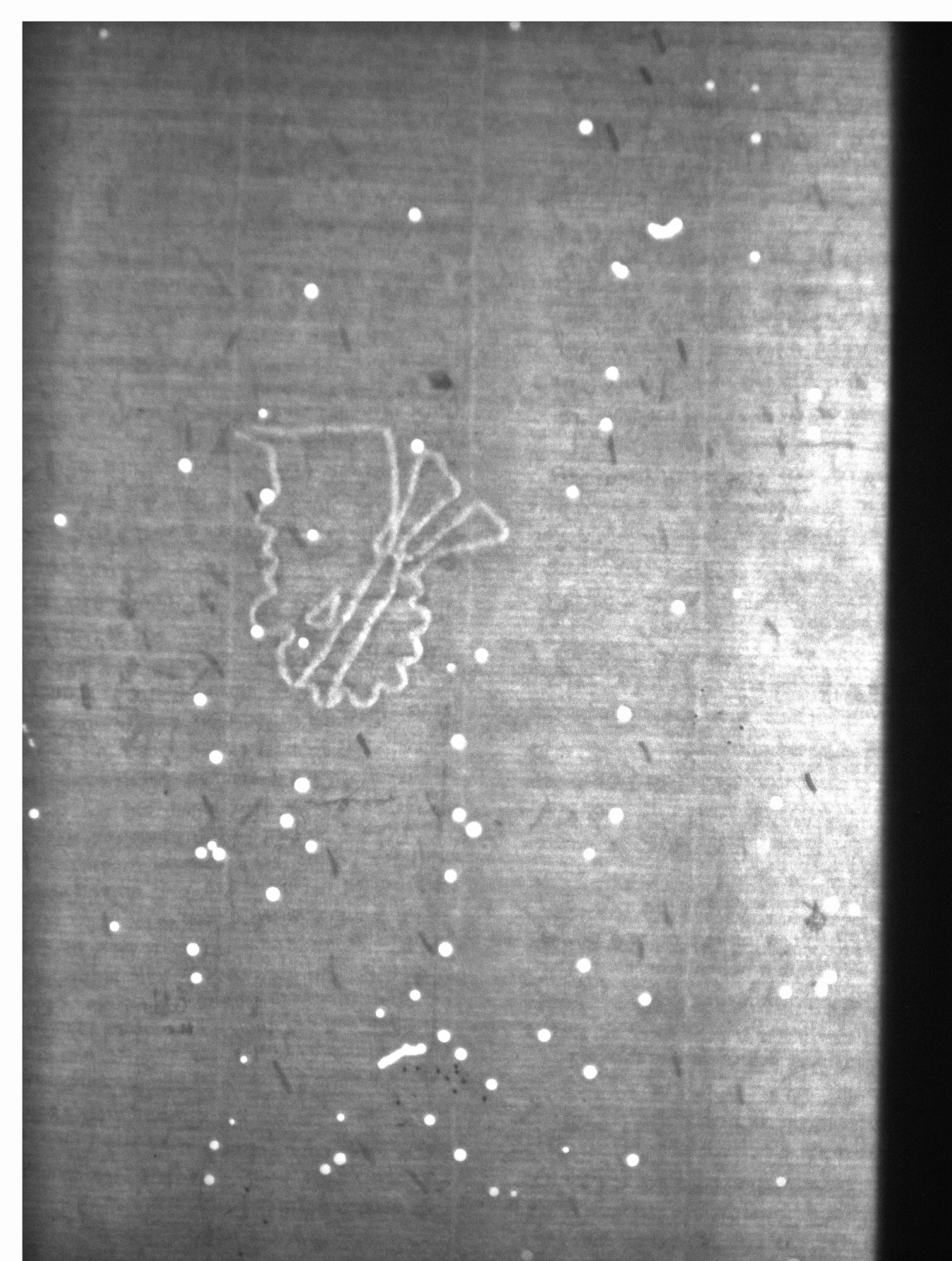
Inschrift/Wasserzeichen
Wasserzeichen
Anbringungsort/Beschreibung
Figuren, anthropomorphe - Kopf - Mohr - frei, mit Kopfbedeckung - Stirnband - ohne Beizeichen - mit Augen - Linie Hinterkopf sichtbar - Stirnbandende zweiteilig
Aufbewahrung/Standort
Aufbewahrungsort/Standort (GND)
Inv. Nr./Signatur
HS I 68, fol. 168
Objektbeschreibung
Sprachen
Maß-/Formatangaben
Auflage/Druckzustand
Werktitel/Werkverzeichnis
Herstellung/Entstehung
Entstehungsdatum
um 1400 (1399)
Entstehungsdatum (normiert)
1399 - 1400
Material (GND)
Auftrag
Publikation
Fund/Ausgrabung
Provenienz
Provenienz