Metadaten

Wissenschaftliche Stadtbibliothek Mainz, Hs I 72
Conradus Holtnicker de Saxonia; Richardus de Sancto Victore; Thomas Gallus (?) (Ps.-Bonaventura); Ps.-Thomas de Aquino; Paulinus Aquileiensis; Adso Dervensis; Hugo de Folieto; Johannes Friburgensis; Matthaeus de Cracovia
Zusammengesetzte Handschrift — I. 1461; II.1457

DOI Seite / Zitierlink:
https://doi.org/10.11588/diglit.52409#0195
Überblick
Faksimile
0.5
1 cm
facsimile
Vollansicht
Wasserzeichen
Watermark

Werk/Gegenstand/Objekt

Titel

Titel/Objekt
Zusammengesetzte Handschrift
Sachbegriff/Objekttyp
Handschrift

Inschrift/Wasserzeichen

Wasserzeichen
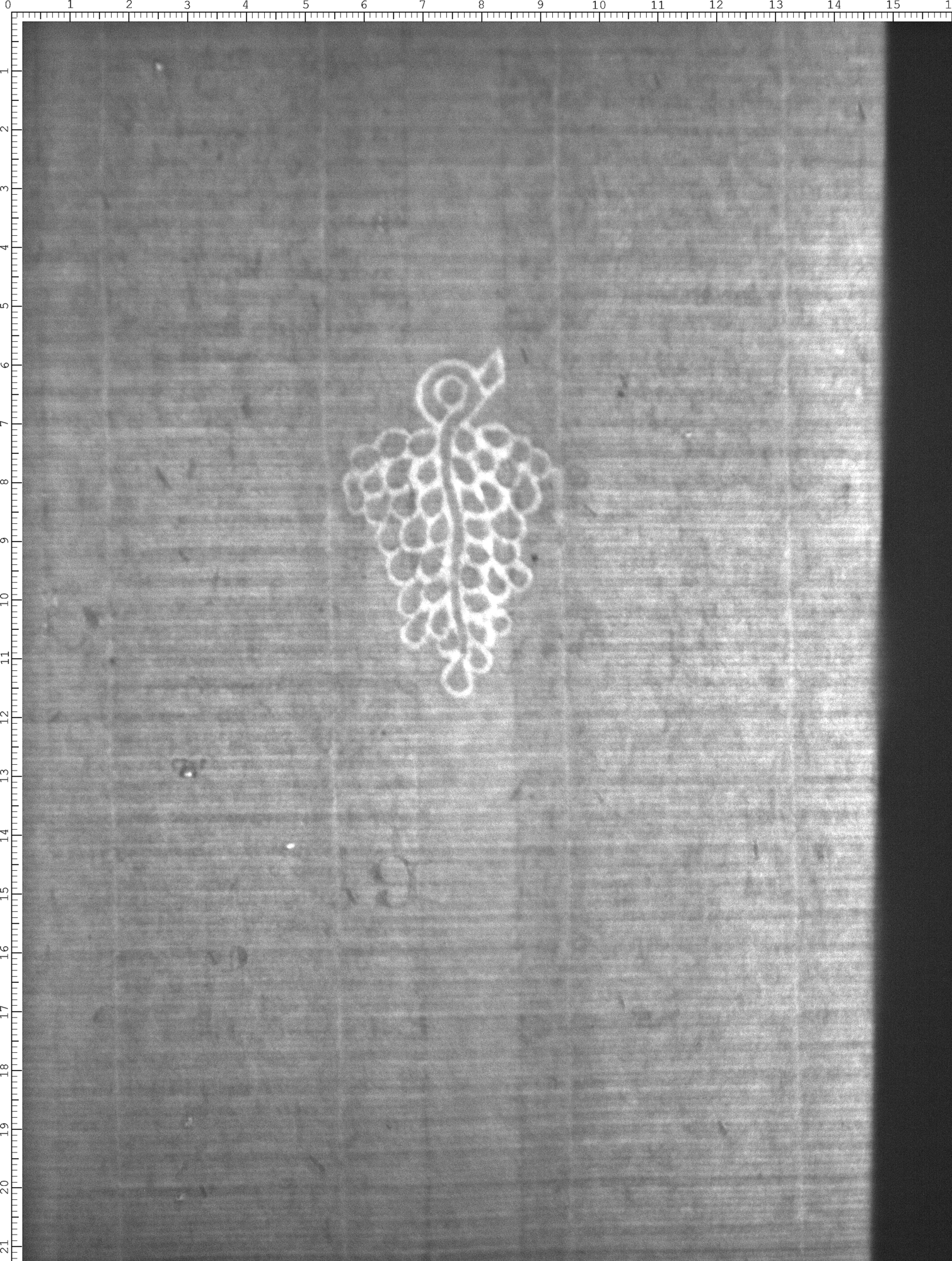
Anbringungsort/Beschreibung
Flora - Frucht - Traube - ohne Beizeichen - Stiel zweikonturig - mit Ranke - Ranke hinten geführt

Aufbewahrung/Standort

Aufbewahrungsort/Standort (GND)
Wissenschaftliche Stadtbibliothek Mainz
Inv. Nr./Signatur
HS I 72, fol. 97

Objektbeschreibung

Sprachen
Latein

Maß-/Formatangaben

Auflage/Druckzustand

Werktitel/Werkverzeichnis

Herstellung/Entstehung

Künstler/Urheber/Hersteller (GND)
Conradus, de Saxonia , Autor/Autorin
Richardus, de Sancto Victore , Autor/Autorin
Thomas, Wallensis , Autor/Autorin
Paulinus II., Aquileja, Patriarch, Heiliger , Autor/Autorin
Adso, Dervensis , Autor/Autorin
Hugo, de Folieto , Autor/Autorin
Johannes, de Friburgo , Autor/Autorin
Matthaeus, de Cracovia , Autor/Autorin
Entstehungsdatum
I. 1461; II.1457
Entstehungsdatum (normiert)
1457 - 1461
Material (GND)
Papier

Auftrag

Publikation

Fund/Ausgrabung

Provenienz

Provenienz
Provenienz (GND)
Kloster St. Michael Mainz

Restaurierung

Sammlung Eingang

Ausstellung

Bearbeitung/Umgestaltung

Thema/Bildinhalt

Thema/Bildinhalt (GND)
Wasserzeichen

Literaturangabe

Rechte am Objekt

Aufnahmen/Reproduktionen

Künstler/Urheber (GND)
Universitätsbibliothek Heidelberg
Zeitpunkt Aufnahme
2020
Aufbewahrungsort (GND)
Universitätsbibliothek Heidelberg
Reproduktionstyp
Digitales Bild
Rechtsstatus
Public Domain Mark 1.0
 
Annotationen