Metadaten

Wissenschaftliche Stadtbibliothek Mainz, Hs I 76
Hugo <de Sancto Victore>; Petrus <Abaelardus>; Gregorius <Papa, I.>; Waldkirch, Heinrich von [Oth.]
Sammelhandschrift — Heidelberg, 1458

DOI Page / Citation link:
https://doi.org/10.11588/diglit.53477#0604
Overview
Facsimile
0.5
1 cm
facsimile
Scroll
Watermark
Watermark

Werk/Gegenstand/Objekt

Titel

Titel/Objekt
Sammelhandschrift
Sachbegriff/Objekttyp
Handschrift

Inschrift/Wasserzeichen

Wasserzeichen
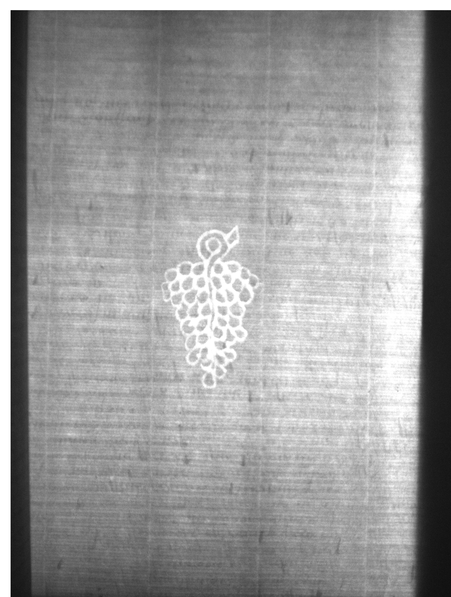
Anbringungsort/Beschreibung
Flora - Frucht - Traube - ohne Beizeichen - Stiel zweikonturig - mit Ranke - Ranke hinten geführt

Aufbewahrung/Standort

Aufbewahrungsort/Standort (GND)
Wissenschaftliche Stadtbibliothek Mainz
Inv. Nr./Signatur
HS I 76, fol. 300

Objektbeschreibung

Sprachen
Latein

Maß-/Formatangaben

Auflage/Druckzustand

Werktitel/Werkverzeichnis

Herstellung/Entstehung

Künstler/Urheber/Hersteller (GND)
Hugo, von Sankt Victor , Autor/Autorin
Abaelard, Peter , Autor/Autorin
Gregor I., Papst , Autor/Autorin
Entstehungsdatum
1458
Entstehungsdatum (normiert)
1458 - 1458
Material (GND)
Papier

Auftrag

Publikation

Fund/Ausgrabung

Provenienz

Provenienz
Provenienz (GND)
Kloster St. Michael Mainz

Restaurierung

Sammlung Eingang

Ausstellung

Bearbeitung/Umgestaltung

Thema/Bildinhalt

Thema/Bildinhalt (GND)
Wasserzeichen

Literaturangabe

Rechte am Objekt

Aufnahmen/Reproduktionen

Künstler/Urheber (GND)
Universitätsbibliothek Heidelberg
Zeitpunkt Aufnahme
2021
Aufbewahrungsort (GND)
Universitätsbibliothek Heidelberg
Reproduktionstyp
Digitales Bild
Rechtsstatus
Public Domain Mark 1.0
 
Annotationen