Metadaten

Wissenschaftliche Stadtbibliothek Mainz, Hs I 79
Jacobus <de Teramo>; Theodoricus <de Apolda>; Mayr, Sixtus [Oth.]
Zusammengesetzte Handschrift — Fasz. I: 1404; Fasz. II: Mitte 15. Jh.; Fasz. III u. IV: 2. Hälfte 14. Jh.

DOI Page / Citation link:
https://doi.org/10.11588/diglit.53480#0247
Overview
Facsimile
0.5
1 cm
facsimile
Scroll
Watermark
Watermark

Werk/Gegenstand/Objekt

Titel

Titel/Objekt
Zusammengesetzte Handschrift
Sachbegriff/Objekttyp
Handschrift

Inschrift/Wasserzeichen

Wasserzeichen
Anbringungsort/Beschreibung
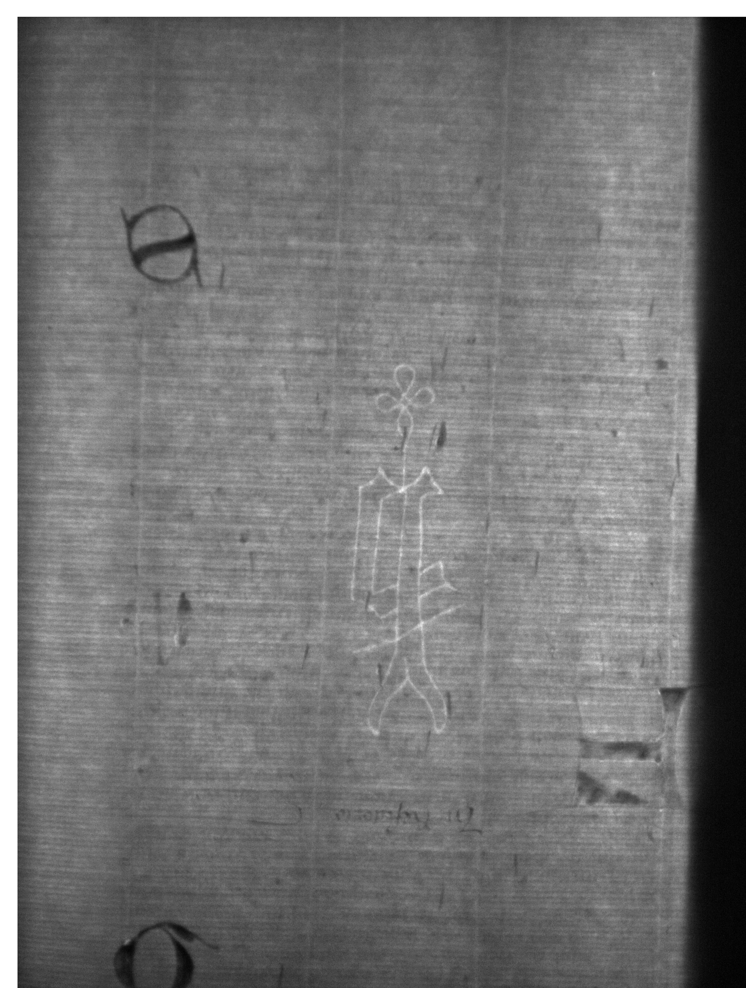
Buchstaben/Ziffern - Buchstabe P - frei, gotische Form, mit Beizeichen - Blume/Blatt - vierblättrig, ohne weiteres Beizeichen, Schaft mit Querstrich - Querstrich vor dem Schaft - Bogenende hinter dem Schaft - Querstrich mit Bogenende verbunden - Blätter rund

Aufbewahrung/Standort

Aufbewahrungsort/Standort (GND)
Wissenschaftliche Stadtbibliothek Mainz
Inv. Nr./Signatur
HS I 79, fol. 122

Objektbeschreibung

Sprachen
Latein

Maß-/Formatangaben

Auflage/Druckzustand

Werktitel/Werkverzeichnis

Herstellung/Entstehung

Künstler/Urheber/Hersteller (GND)
Jacobus, de Teramo , Autor/Autorin
Theodoricus, de Apolda , Autor/Autorin
Sixtus, de Werdea , Autor/Autorin
Entstehungsdatum
Fasz. I: 1404; Fasz. II: Mitte 15. Jh.; Fasz. III u. IV: 2. Hälfte 14. Jh.
Entstehungsdatum (normiert)
1351 - 1450
Material (GND)
Papier

Auftrag

Publikation

Fund/Ausgrabung

Provenienz

Provenienz
Provenienz (GND)
Kloster St. Michael Mainz

Restaurierung

Sammlung Eingang

Ausstellung

Bearbeitung/Umgestaltung

Thema/Bildinhalt

Thema/Bildinhalt (GND)
Wasserzeichen

Literaturangabe

Rechte am Objekt

Aufnahmen/Reproduktionen

Künstler/Urheber (GND)
Universitätsbibliothek Heidelberg
Zeitpunkt Aufnahme
2021
Aufbewahrungsort (GND)
Universitätsbibliothek Heidelberg
Reproduktionstyp
Digitales Bild
Rechtsstatus
Public Domain Mark 1.0
 
Annotationen