Metadaten

Vatikan, Biblioteca Apostolica Vaticana, Pal. lat. 124
Alexander Bonini de Alexandria
Expositio in evangelium secundum Iohannem — Südwestdeutschland (Heidelberg?), um 1400-1410

DOI Page / Citation link:
https://doi.org/10.11588/diglit.12841#0142
License: In Copyright
Overview
Facsimile
0.5
1 cm
facsimile
Scroll
Watermark
Watermark

Werk/Gegenstand/Objekt

Titel

Titel/Objekt
Sammelhandschrift
Sachbegriff/Objekttyp
Handschrift
Standardnummern
WZIS: DE2730-PO-29570

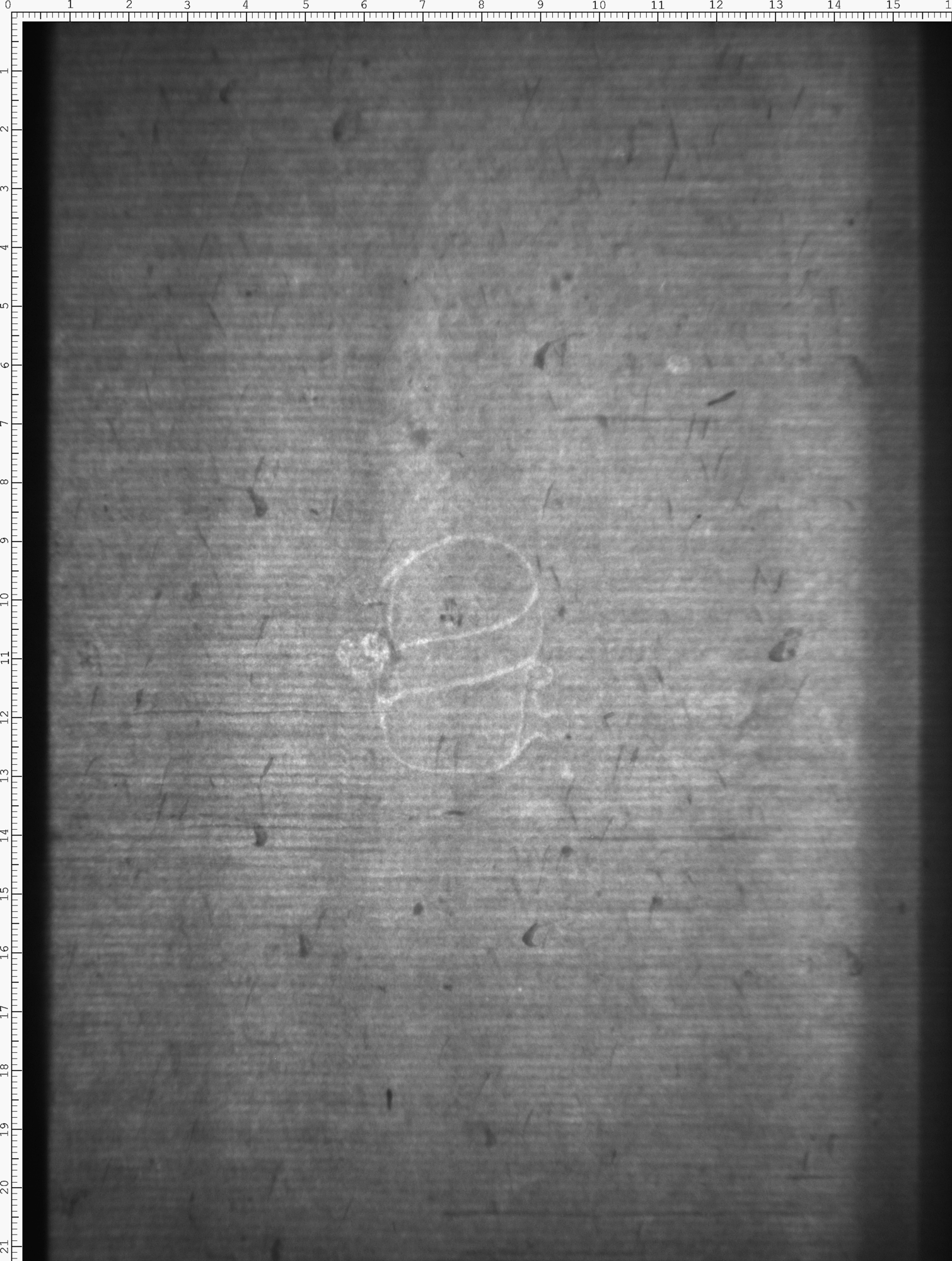
Inschrift/Wasserzeichen

Wasserzeichen
Anbringungsort/Beschreibung
Buchstaben/Ziffern - ein Buchstabe - Buchstabe S - frei, ohne Beizeichen - zweikonturig - senkrecht - nur Mittelteil zweikonturig

Aufbewahrung/Standort

Aufbewahrungsort/Standort (GND)
Biblioteca Apostolica Vaticana
Inv. Nr./Signatur
Pal. lat. 124, fol. 69

Objektbeschreibung

Kommentar
Wasserzeichen identisch.
Sprachen
Latein

Maß-/Formatangaben

Auflage/Druckzustand

Werktitel/Werkverzeichnis

Herstellung/Entstehung

Künstler/Urheber/Hersteller (GND)
Alessandro, Bonini di Alessandria
Material (GND)
Papier

Auftrag

Publikation

Fund/Ausgrabung

Provenienz

Provenienz
Kontext
Bibliotheca Palatina, Heidelberg

Restaurierung

Sammlung Eingang

Ausstellung

Bearbeitung/Umgestaltung

Thema/Bildinhalt

Thema/Bildinhalt (GND)
Wasserzeichen

Literaturangabe

Rechte am Objekt

Aufnahmen/Reproduktionen

Künstler/Urheber (GND)
Universitätsbibliothek Heidelberg
Zeitpunkt Aufnahme (normiert)
2015 - 2015
Aufbewahrungsort (GND)
Universitätsbibliothek Heidelberg
Reproduktionstyp
Digitales Bild
Rechtsstatus
In Copyright (InC) / Urheberrechtsschutz
Rechteinhaber Weblink
Creditline
Vatikan, Biblioteca Apostolica Vaticana (https://digi.ub.uni-heidelberg.de/de/bpd/projekt/nutzungsbedingungen.html)
 
Annotationen