Overview
Facsimile
0.5
1 cm
facsimile
Scroll
Watermark
Watermark

Werk/Gegenstand/Objekt

Titel

Titel/Objekt
Katalog der Fuggerbibliothek (Griechische und hebräische Werke)
Sachbegriff/Objekttyp
Handschrift
Standardnummern
WZIS: DE8085-PO-33097

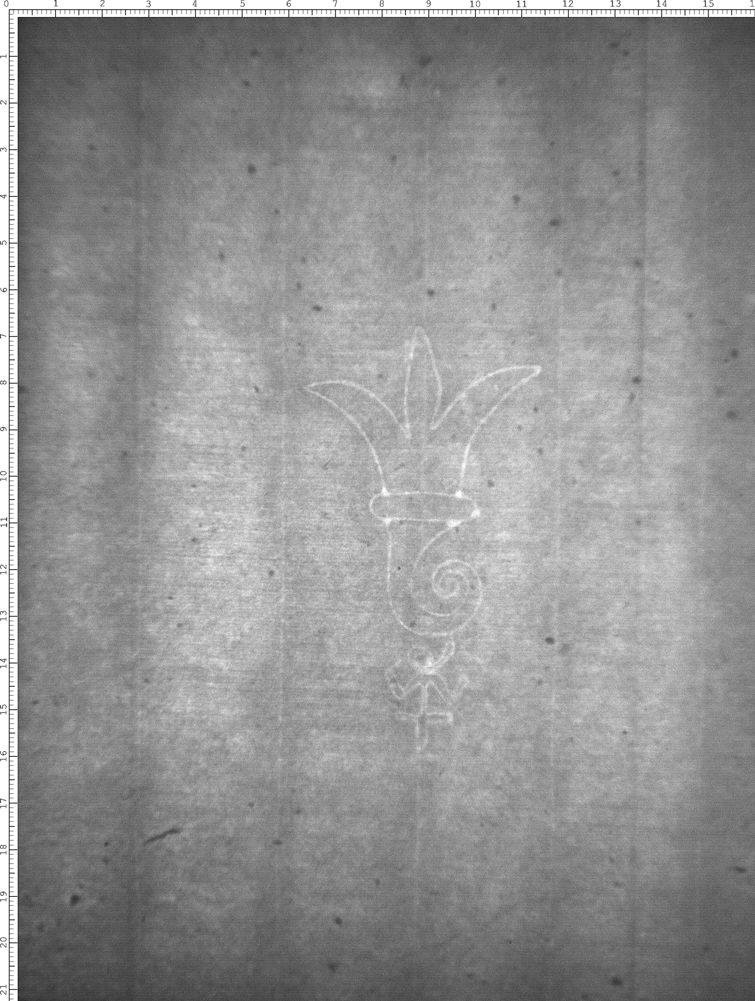
Inschrift/Wasserzeichen

Wasserzeichen
Anbringungsort/Beschreibung
Symbole/Herrschaftszeichen - Baselstab - frei, mit Beizeichen - Buchstaben - M, Kreuz und Schnörkel (Heusler) - zweikonturig, ohne Beizeichen - darüber - Knauf einfach
Verweis

Aufbewahrung/Standort

Aufbewahrungsort/Standort (GND)
Biblioteca Apostolica Vaticana
Inv. Nr./Signatur
Pal. lat. 1950, fol. 241

Objektbeschreibung

Sprachen
Latein
Deutsch

Maß-/Formatangaben

Auflage/Druckzustand

Werktitel/Werkverzeichnis

Herstellung/Entstehung

Entstehungsdatum
wohl 2. Hälfte 16. Jh.
Entstehungsort (GND)
Straßburg
Material (GND)
Papier

Auftrag

Publikation

Fund/Ausgrabung

Provenienz

Provenienz
Provenienz (GND)
Bibliotheca Palatina (Heidelberg)

Restaurierung

Sammlung Eingang

Ausstellung

Bearbeitung/Umgestaltung

Thema/Bildinhalt

Thema/Bildinhalt (GND)
Wasserzeichen

Literaturangabe

Rechte am Objekt

Rechtsstatus
Alle Rechte vorbehalten - Freier Zugang

Aufnahmen/Reproduktionen

Künstler/Urheber (GND)
Universitätsbibliothek Heidelberg
Zeitpunkt Aufnahme
2013
Aufbewahrungsort (GND)
Universitätsbibliothek Heidelberg
Reproduktionstyp
Digitales Bild
Rechtsstatus
Alle Rechte vorbehalten - Freier Zugang
 
Annotationen