Werk/Gegenstand/Objekt
Titel
Titel/Objekt
Fuggerbibliothek (diverse Teilkataloge)
Sachbegriff/Objekttyp
Standardnummern
WZIS: DE8085-PO-85337
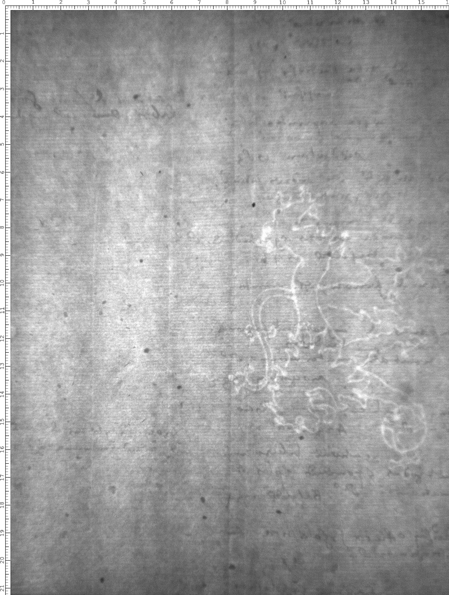
Inschrift/Wasserzeichen
Wasserzeichen
Anbringungsort/Beschreibung
Fauna - Vierfüßer - Löwe - ganze Figur - frei, mit Beizeichen - Reichsapfel - ohne weiteres Beizeichen
Verweis
Wasserzeichen vergleichbar (2024-02-20)
Aufbewahrung/Standort
Aufbewahrungsort/Standort (GND)
Inv. Nr./Signatur
Pal. lat. 1951, fol. 259
Objektbeschreibung
Sprachen
Maß-/Formatangaben
Auflage/Druckzustand
Werktitel/Werkverzeichnis
Herstellung/Entstehung
Künstler/Urheber/Hersteller (GND)
Entstehungsdatum
nach 1603
Entstehungsort (GND)
Material (GND)
Auftrag
Publikation
Fund/Ausgrabung
Provenienz
Provenienz
Restaurierung
Sammlung Eingang
Ausstellung
Bearbeitung/Umgestaltung
Thema/Bildinhalt
Thema/Bildinhalt (GND)
Literaturangabe
Rechte am Objekt
Rechtsstatus
Alle Rechte vorbehalten - Freier Zugang