Metadaten

Vatikan, Biblioteca Apostolica Vaticana, Pal. lat. 297
Theologisch-exegetische Sammelhandschrift (In Apocalypsim) — unbekannt, 15. Jh.

DOI Page / Citation link:
https://doi.org/10.11588/diglit.13384#0115
License: In Copyright
Overview
Facsimile
0.5
1 cm
facsimile
Scroll
Watermark
Watermark

Werk/Gegenstand/Objekt

Titel

Titel/Objekt
Sammelhandschrift
Sachbegriff/Objekttyp
Handschrift

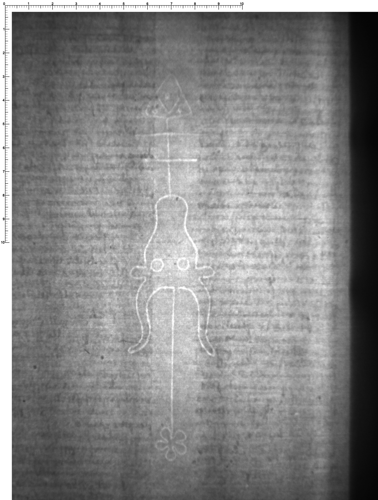
Inschrift/Wasserzeichen

Wasserzeichen
Anbringungsort/Beschreibung
Fauna - Ochsenkopf - frei, mit Ober- und Unterzeichen an Stange - oben und unten einkonturige Stange - oben Blume - ohne weiteres Beizeichen - unten Dreieck - mit Schragen, drei Punkte - zwei Kreuzsprossen - mit Augen

Aufbewahrung/Standort

Aufbewahrungsort/Standort (GND)
Biblioteca Apostolica Vaticana
Inv. Nr./Signatur
Pal. lat. 297, fol. 56

Objektbeschreibung

Kommentar
Zum Zeitpunkt der Erschließung keine Übereinstimmung in WZIS vorhanden.
Sprachen
Latein

Maß-/Formatangaben

Auflage/Druckzustand

Werktitel/Werkverzeichnis

Herstellung/Entstehung

Künstler/Urheber/Hersteller (GND)
Nicolaus, de Lyra
Hugo, von Sankt Victor
Material (GND)
Papier

Auftrag

Publikation

Fund/Ausgrabung

Provenienz

Restaurierung

Sammlung Eingang

Ausstellung

Bearbeitung/Umgestaltung

Thema/Bildinhalt

Thema/Bildinhalt (GND)
Wasserzeichen

Literaturangabe

Rechte am Objekt

Aufnahmen/Reproduktionen

Künstler/Urheber (GND)
Universitätsbibliothek Heidelberg
Zeitpunkt Aufnahme (normiert)
2016 - 2016
Aufbewahrungsort (GND)
Universitätsbibliothek Heidelberg
Reproduktionstyp
Digitales Bild
Rechtsstatus
In Copyright (InC) / Urheberrechtsschutz
Rechteinhaber Weblink
Creditline
Vatikan, Biblioteca Apostolica Vaticana (https://digi.ub.uni-heidelberg.de/de/bpd/projekt/nutzungsbedingungen.html)
 
Annotationen