Werk/Gegenstand/Objekt
Titel
Titel/Objekt
Expositio decalogi
Sachbegriff/Objekttyp
Standardnummern
WZIS: DE4860-Ms289_122
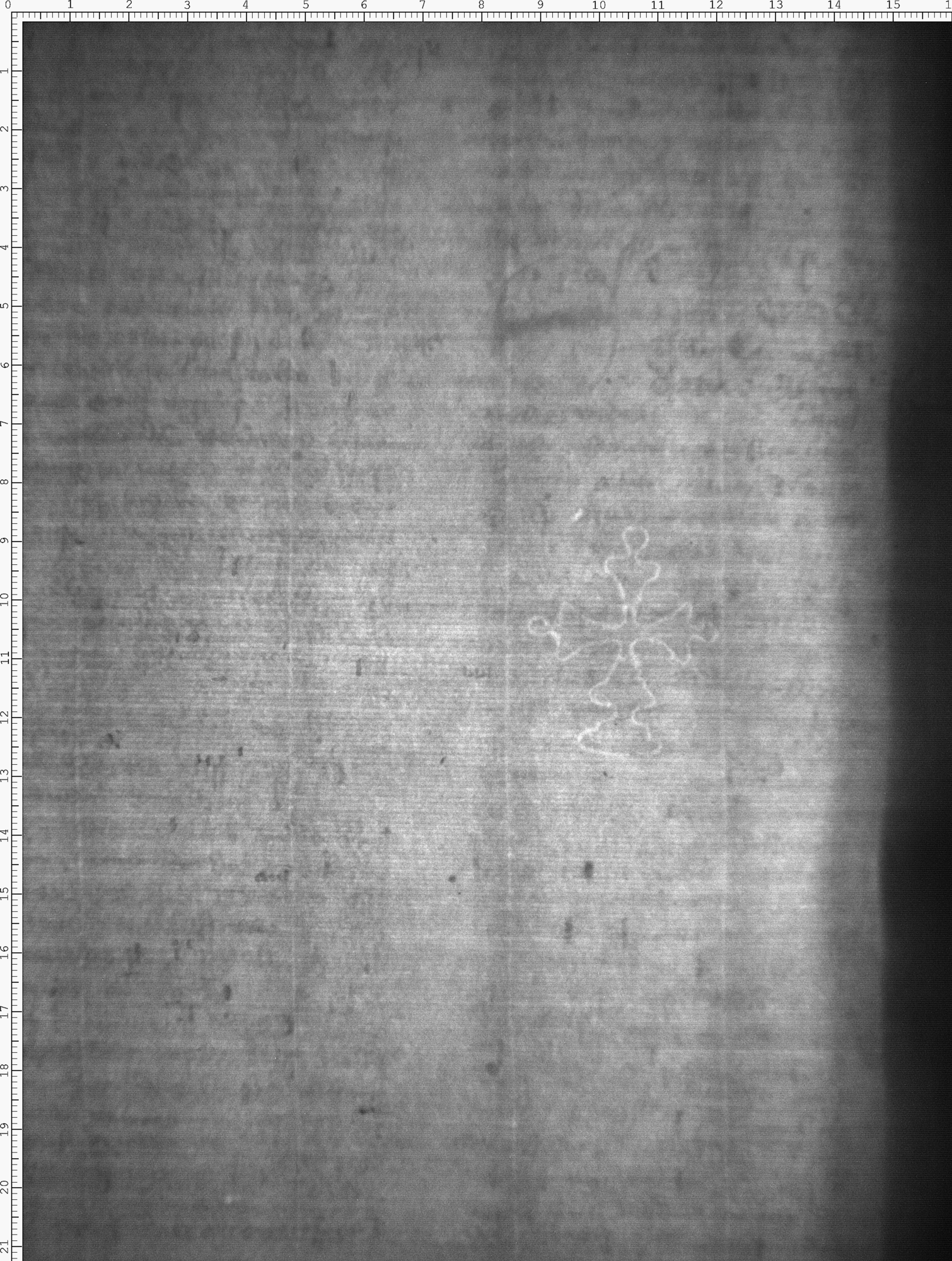
Inschrift/Wasserzeichen
Wasserzeichen
Anbringungsort/Beschreibung
Symbole/Herrschaftszeichen - Kreuz - lateinisches Kreuz - Wiederkreuz/Kleeblattkreuz - frei - zweikonturig - einfach - Sockel - senkrecht
Aufbewahrung/Standort
Aufbewahrungsort/Standort (GND)
Inv. Nr./Signatur
Pal. lat. 390, fol. 085
Objektbeschreibung
Kommentar
Wasserzeichen ähnlich. Zum Zeitpunkt der Erschließung keine exkate Übereinstimmung in WZIS vorhanden.
Sprachen
Maß-/Formatangaben
Auflage/Druckzustand
Werktitel/Werkverzeichnis
Herstellung/Entstehung
Künstler/Urheber/Hersteller (GND)
Entstehungsdatum
2. Hälfte des 15. Jh.
Material (GND)
Auftrag
Publikation
Fund/Ausgrabung
Provenienz
Provenienz
Restaurierung
Sammlung Eingang
Ausstellung
Bearbeitung/Umgestaltung
Thema/Bildinhalt
Thema/Bildinhalt (GND)
Literaturangabe
Rechte am Objekt
Rechtsstatus
In Copyright (InC) / Urheberrechtsschutz
Rechteinhaber Weblink
Creditline
https://digi.ub.uni-heidelberg.de/diglit/bav_pal_lat_390
Aufnahmen/Reproduktionen
Künstler/Urheber (GND)
Aufbewahrungsort (GND)
Reproduktionstyp
Digitales Bild
Rechtsstatus
In Copyright (InC) / Urheberrechtsschutz
Rechteinhaber Weblink
Creditline
Vatikan, Biblioteca Apostolica Vaticana (https://digi.ub.uni-heidelberg.de/de/bpd/projekt/nutzungsbedingungen.html)