Metadaten

Vatikan, Biblioteca Apostolica Vaticana, Pal. lat. 392
“Thesaurus pauperum” — Süddeutschland (wohl Dingolfing a.d. Isar), 1474

DOI Page / Citation link:
https://doi.org/10.11588/diglit.13886#0716
License: In Copyright
Overview
Facsimile
0.5
1 cm
facsimile
Scroll
Watermark
Watermark

Werk/Gegenstand/Objekt

Titel

Titel/Objekt
“Thesaurus pauperum”
Sachbegriff/Objekttyp
Handschrift
Standardnummern
WZIS: AT3800-PO-69816

Inschrift/Wasserzeichen

Wasserzeichen
Anbringungsort/Beschreibung
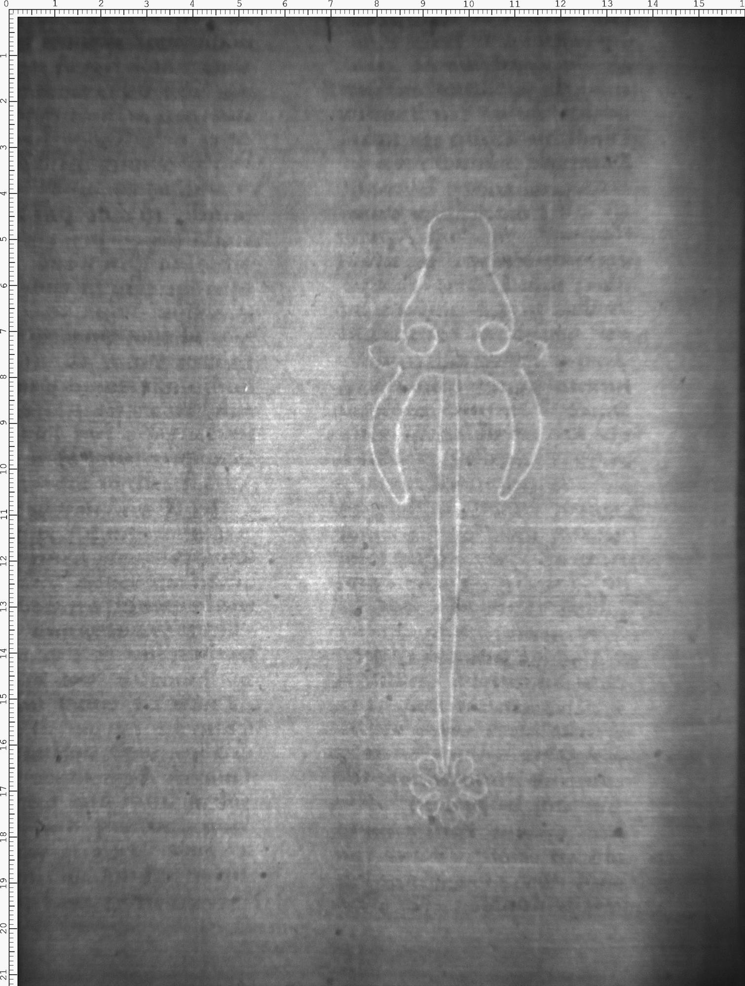
Fauna - Ochsenkopf - frei, mit Oberzeichen - mit zweikonturiger Stange - Blume - ohne weiteres Beizeichen - sieben Blütenblätter - mit Augen - Stangenende zweikonturig

Aufbewahrung/Standort

Aufbewahrungsort/Standort (GND)
Biblioteca Apostolica Vaticana
Biblioteca Apostolica Vaticana
Inv. Nr./Signatur
Pal. lat. 392, fol. 355

Objektbeschreibung

Kommentar
Wasserzeichen annähernd identisch.
Sprachen
Latein

Maß-/Formatangaben

Auflage/Druckzustand

Werktitel/Werkverzeichnis

Herstellung/Entstehung

Entstehungsdatum
1474
Entstehungsort (GND)
Dingolfing
Material (GND)
Papier

Auftrag

Publikation

Fund/Ausgrabung

Provenienz

Provenienz
Provenienz (GND)
Heidelberg

Restaurierung

Sammlung Eingang

Ausstellung

Bearbeitung/Umgestaltung

Thema/Bildinhalt

Thema/Bildinhalt (GND)
Wasserzeichen

Literaturangabe

Rechte am Objekt

Rechtsstatus
In Copyright (InC) / Urheberrechtsschutz
Rechteinhaber
Biblioteca Apostolica Vaticana

Aufnahmen/Reproduktionen

Künstler/Urheber (GND)
Universitätsbibliothek Heidelberg
Aufbewahrungsort (GND)
Universitätsbibliothek Heidelberg
Reproduktionstyp
Digitales Bild
Rechtsstatus
In Copyright (InC) / Urheberrechtsschutz
Rechteinhaber Weblink
Creditline
Vatikan, Biblioteca Apostolica Vaticana (https://digi.ub.uni-heidelberg.de/de/bpd/projekt/nutzungsbedingungen.html)
 
Annotationen