Überblick
Faksimile
0.5
1 cm
facsimile
Vollansicht
Wasserzeichen
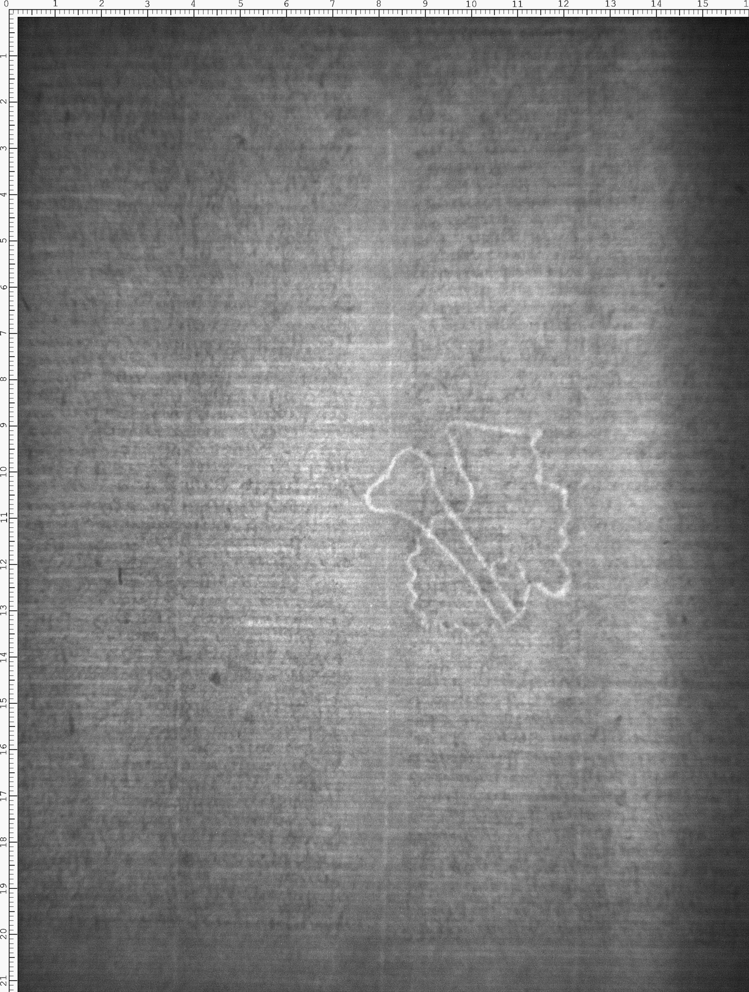
Watermark

Werk/Gegenstand/Objekt

Titel

Titel/Objekt
Sammelhandschrift
Sachbegriff/Objekttyp
Handschrift
Standardnummern
WZIS: AT3800-PO-20184

Inschrift/Wasserzeichen

Wasserzeichen
Anbringungsort/Beschreibung
Figuren, anthropomorphe - Kopf - Mohr - frei, mit Kopfbedeckung - Stirnband - ohne Beizeichen - mit Augen - Linie Hinterkopf sichtbar - Stirnbandende einteilig
Verweis

Aufbewahrung/Standort

Aufbewahrungsort/Standort (GND)
Biblioteca Apostolica Vaticana
Inv. Nr./Signatur
Pal. lat. 438

Objektbeschreibung

Sprachen
Latein

Maß-/Formatangaben

Auflage/Druckzustand

Werktitel/Werkverzeichnis

Herstellung/Entstehung

Künstler/Urheber/Hersteller (GND)
Johannes, Wenck , Autor/Autorin
Innozenz III., Papst , Autor/Autorin
Martinus, Alaunovicanus , Autor/Autorin
Iordanus, de Quedlinburgo , Autor/Autorin
Matthias, de Liegnitz , Autor/Autorin
Johannes Bonaventura, Kardinal, Heiliger , Autor/Autorin
Entstehungsdatum
1. Hälfte 15. Jh.(zw. 1420/25-1437?)
Entstehungsort (GND)
Südwestdeutschland
Material (GND)
Papier

Auftrag

Publikation

Fund/Ausgrabung

Provenienz

Restaurierung

Sammlung Eingang

Ausstellung

Bearbeitung/Umgestaltung

Thema/Bildinhalt

Thema/Bildinhalt (GND)
Wasserzeichen

Literaturangabe

Rechte am Objekt

Rechtsstatus
In Copyright (InC) / Urheberrechtsschutz
Rechteinhaber Weblink
Creditline
https://digi.ub.uni-heidelberg.de/diglit/bav_pal_lat_438

Aufnahmen/Reproduktionen

Künstler/Urheber (GND)
Universitätsbibliothek Heidelberg
Zeitpunkt Aufnahme (normiert)
2015 - 2015
Aufbewahrungsort (GND)
Universitätsbibliothek Heidelberg
Reproduktionstyp
Digitales Bild
Rechtsstatus
In Copyright (InC) / Urheberrechtsschutz
Rechteinhaber Weblink
Creditline
Vatikan, Biblioteca Apostolica Vaticana (https://digi.ub.uni-heidelberg.de/de/bpd/projekt/nutzungsbedingungen.html)
 
Annotationen