Metadaten

Vatikan, Biblioteca Apostolica Vaticana, Pal. lat. 620
Exemplasammlung zu den vier Kardinaltugenden — Heidelberg (?), um 1620

DOI Seite / Zitierlink:
https://doi.org/10.11588/diglit.14342#0217
Lizenz: In Copyright
Überblick
Faksimile
0.5
1 cm
facsimile
Vollansicht
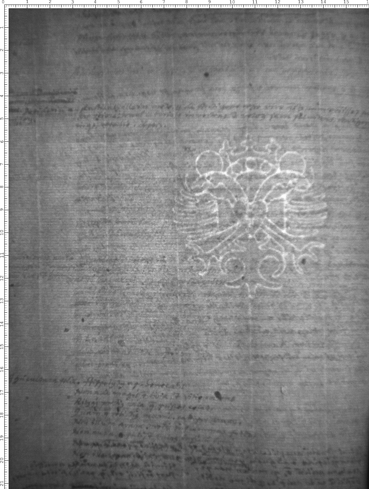
Wasserzeichen
Watermark

Werk/Gegenstand/Objekt

Titel

Titel/Objekt
Exemplasammlung zu den vier Kardinaltugenden
Sachbegriff/Objekttyp
Handschrift

Inschrift/Wasserzeichen

Wasserzeichen
Anbringungsort/Beschreibung
Wappen - Heraldischer Adler - frei, mit Herzschild - Gemeine Figuren - Flora - Blume - Krone - Doppeladler zwei Varianten, zurzeit nicht in WZIS vorhanden

Aufbewahrung/Standort

Aufbewahrungsort/Standort (GND)
Biblioteca Apostolica Vaticana
Inv. Nr./Signatur
Pal. lat. 620, fol. 102

Objektbeschreibung

Sprachen
Latein

Maß-/Formatangaben

Auflage/Druckzustand

Werktitel/Werkverzeichnis

Herstellung/Entstehung

Entstehungsdatum
1620
Entstehungsdatum (normiert)
1620 - 1620
Entstehungsort (GND)
Heidelberg
Material (GND)
Papier

Auftrag

Publikation

Fund/Ausgrabung

Provenienz

Provenienz
Provenienz (GND)
Heidelberg

Restaurierung

Sammlung Eingang

Ausstellung

Bearbeitung/Umgestaltung

Thema/Bildinhalt

Literaturangabe

Rechte am Objekt

Rechtsstatus
In Copyright (InC) / Urheberrechtsschutz

Aufnahmen/Reproduktionen

 
Annotationen