Metadaten

Vatikan, Biblioteca Apostolica Vaticana, Pal. lat. 647
Kuriale Kanzleiregeln / Sitzungsberichte des Basler Konzils — Basel (?), um 1438

DOI Page / Citation link:
https://doi.org/10.11588/diglit.14470#0485
License: In Copyright
Overview
Facsimile
0.5
1 cm
facsimile
Scroll
Watermark
Watermark

Werk/Gegenstand/Objekt

Titel

Titel/Objekt
Regule cancellariae plurium summorum pontificum et sessiones seu decreta Concilii Basiliensis
Sachbegriff/Objekttyp
Handschrift
Standardnummern
WZIS: DE8580-HAAB_Q_78_118

Inschrift/Wasserzeichen

Wasserzeichen
Anbringungsort/Beschreibung
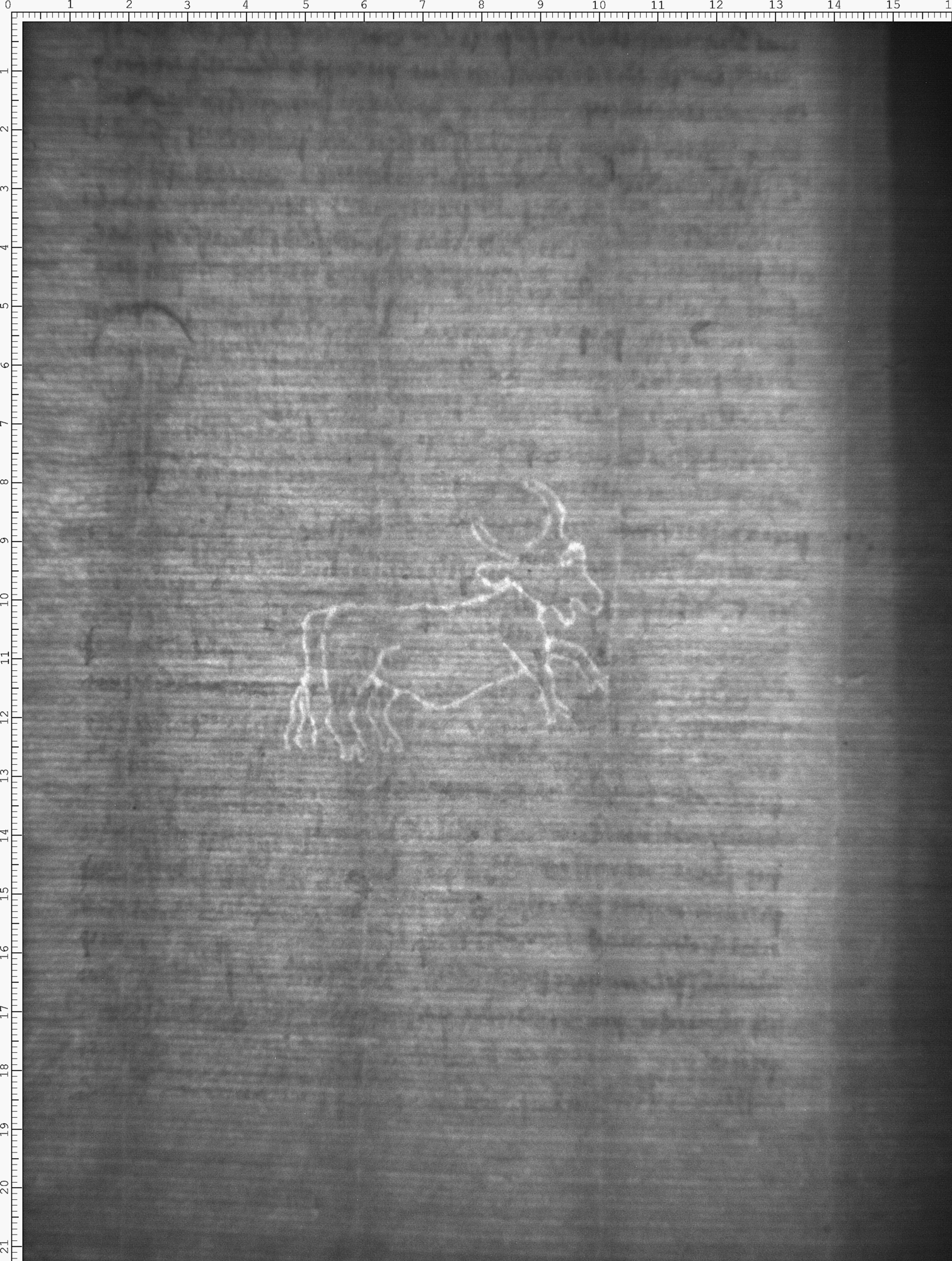
Fauna - Vierfüßer - Ochse - ganze Figur - frei, ohne Beizeichen - waagrecht - Hörner zweikonturig - ohne Nasenlöcher - Schwanzquaste hängend
Verweis

Aufbewahrung/Standort

Aufbewahrungsort/Standort (GND)
Biblioteca Apostolica Vaticana
Inv. Nr./Signatur
Pal. lat. 647, fol. 230

Objektbeschreibung

Sprachen
Latein

Maß-/Formatangaben

Auflage/Druckzustand

Werktitel/Werkverzeichnis

Herstellung/Entstehung

Entstehungsdatum
15. Jh.
Entstehungsort (GND)
Oberdeutschland
Basel
Material (GND)
Papier

Auftrag

Publikation

Fund/Ausgrabung

Provenienz

Provenienz
Provenienz (GND)
Bibliotheca Palatina (Heidelberg)

Restaurierung

Sammlung Eingang

Ausstellung

Bearbeitung/Umgestaltung

Thema/Bildinhalt

Thema/Bildinhalt (GND)
Wasserzeichen

Literaturangabe

Rechte am Objekt

Aufnahmen/Reproduktionen

Künstler/Urheber (GND)
Universitätsbibliothek Heidelberg
Zeitpunkt Aufnahme (normiert)
2015 - 2015
Aufbewahrungsort (GND)
Universitätsbibliothek Heidelberg
Reproduktionstyp
Digitales Bild
Rechtsstatus
In Copyright (InC) / Urheberrechtsschutz
Rechteinhaber Weblink
Creditline
Vatikan, Biblioteca Apostolica Vaticana (https://digi.ub.uni-heidelberg.de/de/bpd/projekt/nutzungsbedingungen.html)
 
Annotationen