Metadaten

Vatikan, Biblioteca Apostolica Vaticana, Pal. lat. 670
Johannes Andreae
Novella super primo libro decretalium — Frankreich, 1407

DOI Page / Citation link:
https://doi.org/10.11588/diglit.14605#0230
License: In Copyright
Overview
Facsimile
0.5
1 cm
facsimile
Scroll
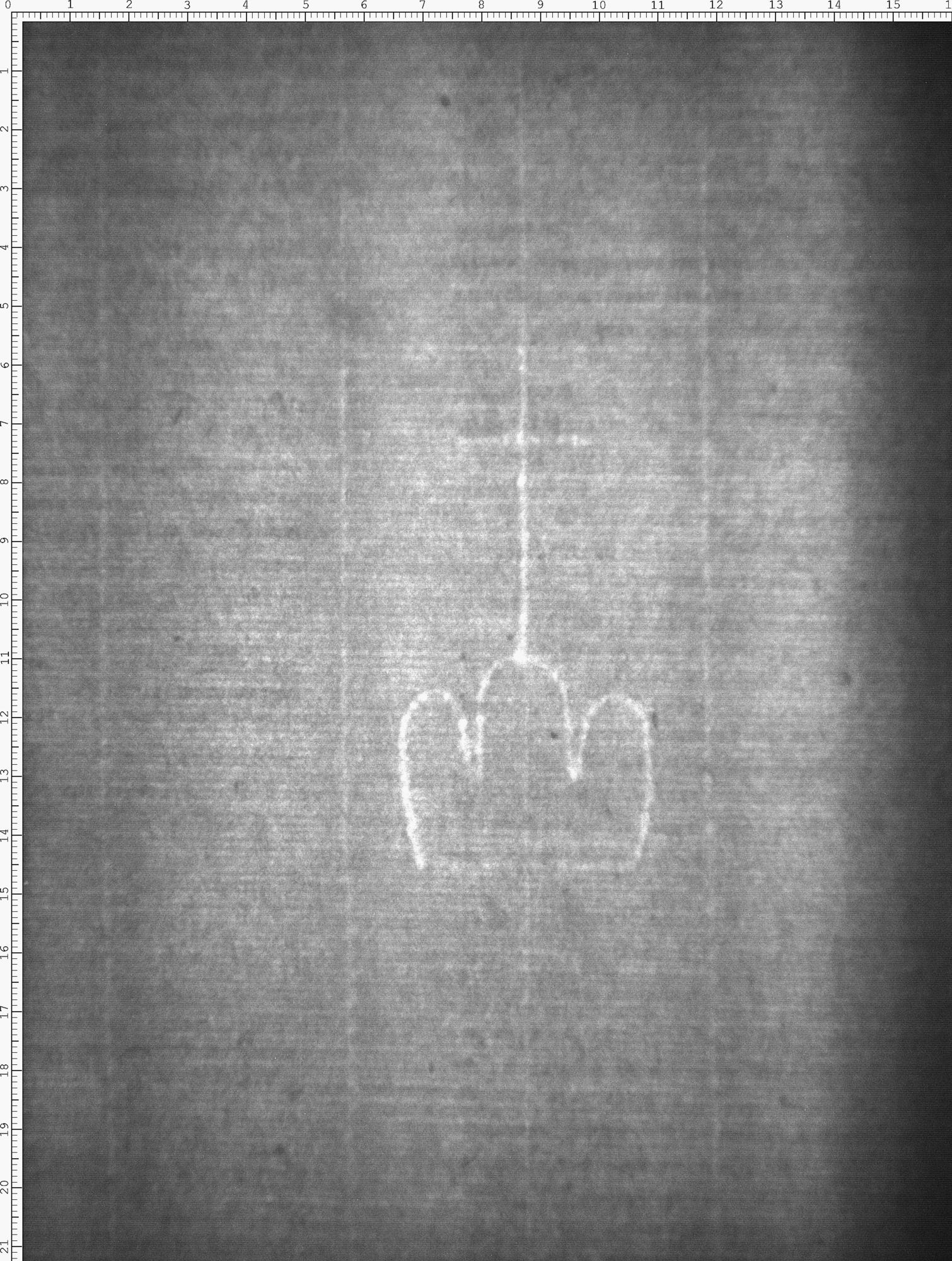
Watermark
Watermark

Werk/Gegenstand/Objekt

Titel

Titel/Objekt
Novella super primo libro decretalium
Sachbegriff/Objekttyp
Handschrift
Standardnummern
WZIS: IT8190-PO-150329

Inschrift/Wasserzeichen

Wasserzeichen
Anbringungsort/Beschreibung
Berge/Himmelskörper - Dreiberg - frei - Beizeichen einkonturige Stange - Kreuz (senkrecht) - einkonturig - ohne weiteres Beizeichen
Verweis

Aufbewahrung/Standort

Aufbewahrungsort/Standort (GND)
Biblioteca Apostolica Vaticana
Inv. Nr./Signatur
Pal. lat. 670, fol. 111

Objektbeschreibung

Sprachen
Latein

Maß-/Formatangaben

Auflage/Druckzustand

Werktitel/Werkverzeichnis

Herstellung/Entstehung

Künstler/Urheber/Hersteller (GND)
Johannes, Andreae
Entstehungsdatum
1407
Entstehungsort (GND)
Mitteleuropa
Material (GND)
Papier

Auftrag

Publikation

Fund/Ausgrabung

Provenienz

Provenienz
Provenienz (GND)
Heidelberg

Restaurierung

Sammlung Eingang

Ausstellung

Bearbeitung/Umgestaltung

Thema/Bildinhalt

Thema/Bildinhalt (GND)
Wasserzeichen

Literaturangabe

Rechte am Objekt

Rechtsstatus
In Copyright (InC) / Urheberrechtsschutz
Rechteinhaber Weblink
Creditline
https://digi.ub.uni-heidelberg.de/diglit/bav_pal_lat_670

Aufnahmen/Reproduktionen

Künstler/Urheber (GND)
Universitätsbibliothek Heidelberg
Aufbewahrungsort (GND)
Universitätsbibliothek Heidelberg
Reproduktionstyp
Digitales Bild
Rechtsstatus
In Copyright (InC) / Urheberrechtsschutz
Rechteinhaber Weblink
Creditline
Vatikan, Biblioteca Apostolica Vaticana (https://digi.ub.uni-heidelberg.de/de/bpd/projekt/nutzungsbedingungen.html)
 
Annotationen