Metadaten

Vatikan, Biblioteca Apostolica Vaticana, Pal. lat. 686
Heinrich von Odendorf; Johannes Andreae; Nikolaus von Schweidnitz; Johannes Hispanus; Johannes Reuter; Federicus de Petruccis de Senis; Lapus de Castiglione; Angelus de Castiglione
Kanonistische Sammelhandschrift — Wien (?), Anfang 15. Jh.

DOI Seite / Zitierlink:
https://doi.org/10.11588/diglit.14621#0361
Lizenz: In Copyright
Überblick
Faksimile
0.5
1 cm
facsimile
Vollansicht
Wasserzeichen
Watermark

Werk/Gegenstand/Objekt

Titel

Titel/Objekt
Kanonistische Sammelhandschrift
Sachbegriff/Objekttyp
Handschrift
Standardnummern
WZIS: IT6900-PO-40684

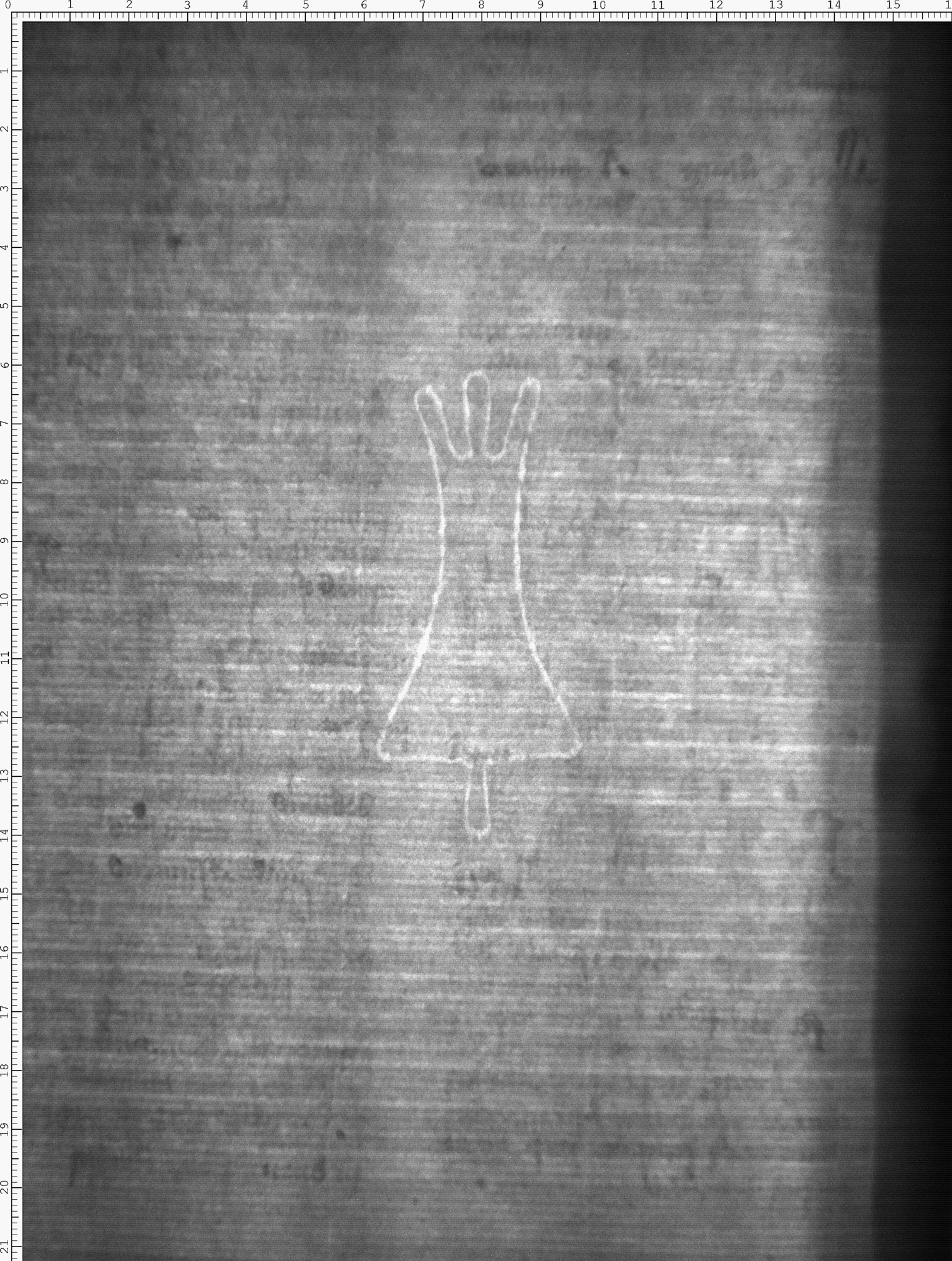
Inschrift/Wasserzeichen

Wasserzeichen
Anbringungsort/Beschreibung
Realien - Glocke - frei, ohne Beizeichen - Glockenkörper ohne Schulter - Glockenmund einkonturig - ohne Joch - mit Klöppel
Verweis

Aufbewahrung/Standort

Aufbewahrungsort/Standort (GND)
Biblioteca Apostolica Vaticana
Inv. Nr./Signatur
Pal. lat. 686, fol. 174

Objektbeschreibung

Sprachen
Latein

Maß-/Formatangaben

Auflage/Druckzustand

Werktitel/Werkverzeichnis

Herstellung/Entstehung

Künstler/Urheber/Hersteller (GND)
Henricus, de Oldendorp
Johannes, Andreae
Schweidnitz, Nicolaus
Johannes, Hispanus Diaconus
Lapus, de Castellione
Petruccius, Fridericus
Material (GND)
Papier

Auftrag

Publikation

Fund/Ausgrabung

Provenienz

Provenienz
Provenienz (GND)
Bibliotheca Palatina (Heidelberg)

Restaurierung

Sammlung Eingang

Ausstellung

Bearbeitung/Umgestaltung

Thema/Bildinhalt

Thema/Bildinhalt (GND)
Wasserzeichen

Literaturangabe

Rechte am Objekt

Aufnahmen/Reproduktionen

Künstler/Urheber (GND)
Universitätsbibliothek Heidelberg
Zeitpunkt Aufnahme (normiert)
2015 - 2015
Aufbewahrungsort (GND)
Universitätsbibliothek Heidelberg
Reproduktionstyp
Digitales Bild
Rechtsstatus
In Copyright (InC) / Urheberrechtsschutz
Rechteinhaber Weblink
Creditline
Vatikan, Biblioteca Apostolica Vaticana (https://digi.ub.uni-heidelberg.de/de/bpd/projekt/nutzungsbedingungen.html)
 
Annotationen