Metadaten

Vatikan, Biblioteca Apostolica Vaticana, Pal. lat. 791
Iacopo Alvarotti
Lectura Librorum feudorum — Oberitalien, Mitte 15. Jh.

DOI Page / Citation link:
https://doi.org/10.11588/diglit.14958#0401
License: In Copyright
Overview
Facsimile
0.5
1 cm
facsimile
Scroll
Watermark
Watermark

Werk/Gegenstand/Objekt

Titel

Titel/Objekt
Iacobi de Alvarottis patavini de feudis
Sachbegriff/Objekttyp
Handschrift
Standardnummern
WZIS: IT6900-PO-153600

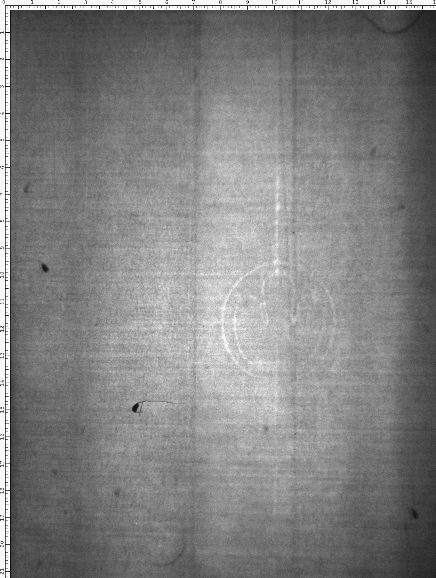
Inschrift/Wasserzeichen

Wasserzeichen
Anbringungsort/Beschreibung
Berge/Himmelskörper - Dreiberg - im Kreis - Beizeichen einkonturige Stange - Kreuz (senkrecht) - einkonturig - ohne weiteres Beizeichen - Grundlinie einfach
Verweis

Aufbewahrung/Standort

Aufbewahrungsort/Standort (GND)
Biblioteca Apostolica Vaticana
Inv. Nr./Signatur
Pal. lat. 791, fol. 198

Objektbeschreibung

Sprachen
Latein

Maß-/Formatangaben

Auflage/Druckzustand

Werktitel/Werkverzeichnis

Herstellung/Entstehung

Künstler/Urheber/Hersteller (GND)
Alvarottus, Jacobus
Material (GND)
Papier

Auftrag

Publikation

Fund/Ausgrabung

Provenienz

Provenienz
Provenienz (GND)
Bibliotheca Palatina (Heidelberg)

Restaurierung

Sammlung Eingang

Ausstellung

Bearbeitung/Umgestaltung

Thema/Bildinhalt

Thema/Bildinhalt (GND)
Wasserzeichen

Literaturangabe

Rechte am Objekt

Aufnahmen/Reproduktionen

Künstler/Urheber (GND)
Universitätsbibliothek Heidelberg
Zeitpunkt Aufnahme
2017
Aufbewahrungsort (GND)
Universitätsbibliothek Heidelberg
Reproduktionstyp
Digitales Bild
Rechtsstatus
Alle Rechte vorbehalten - Freier Zugang
 
Annotationen