Metadaten

Vatikan, Biblioteca Apostolica Vaticana, Pal. lat. 813
Pietro del Monte
Repertorium utriusque iuris, pars VIII — Süddeutschland (?), um 1470-1480

DOI Seite / Zitierlink:
https://doi.org/10.11588/diglit.14980#0006
Lizenz: In Copyright
Überblick
Faksimile
0.5
1 cm
facsimile
Vollansicht
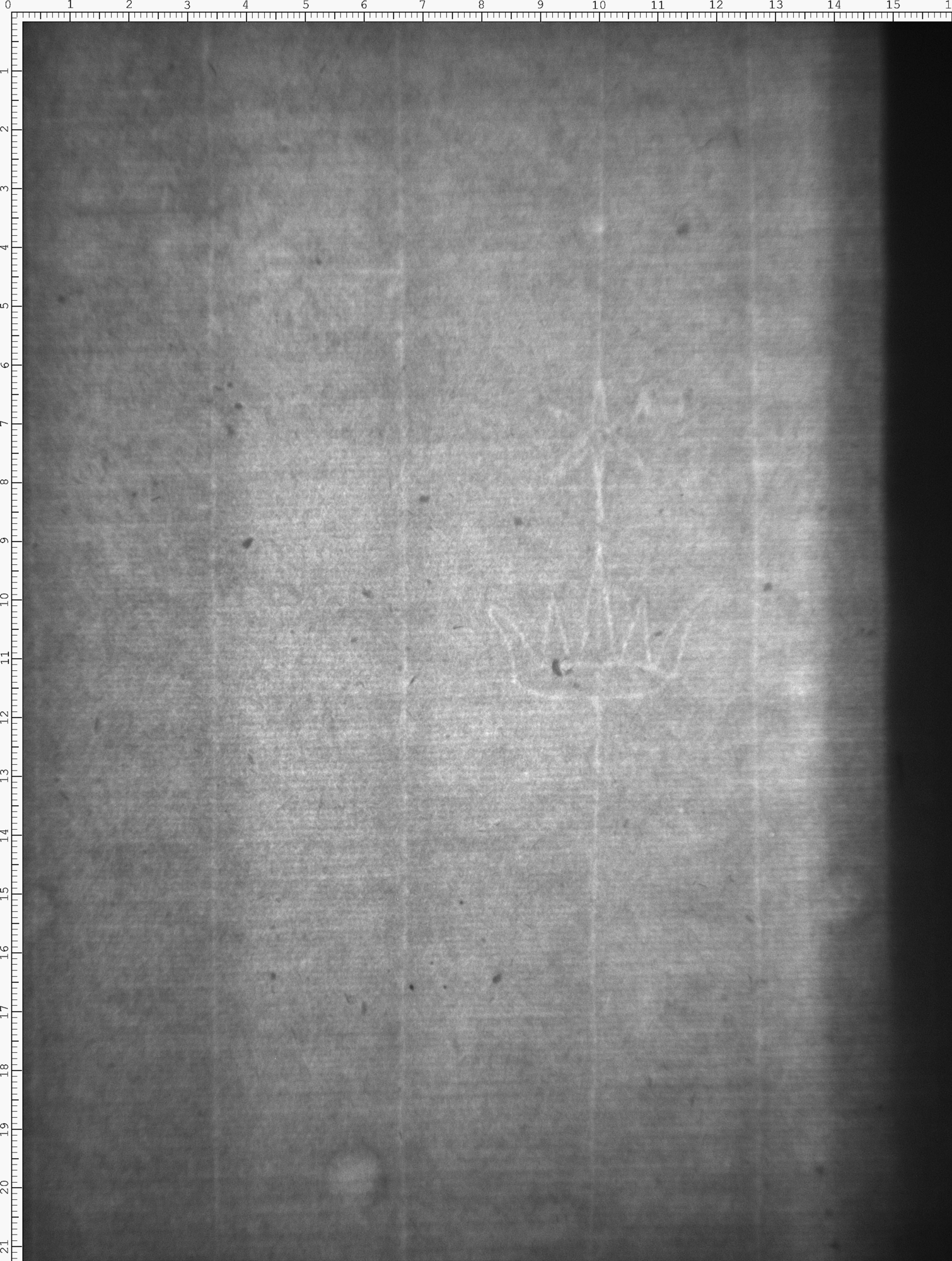
Wasserzeichen
Watermark

Werk/Gegenstand/Objekt

Titel

Titel/Objekt
Repertorium utriusque iuris, pars VIII
Sachbegriff/Objekttyp
Handschrift
Standardnummern
WZIS: AT3800-PO-51661

Inschrift/Wasserzeichen

Wasserzeichen
Anbringungsort/Beschreibung
Symbole/Herrschaftszeichen - Krone - ohne Bügel - frei, mit Beizeichen - Stern (zweikonturig) - ohne weiteres Beizeichen - Reif einfach - Mittelzinken zackenförmig
Verweis

Aufbewahrung/Standort

Aufbewahrungsort/Standort (GND)
Biblioteca Apostolica Vaticana
Inv. Nr./Signatur
Pal. lat. 813, fol. 002a

Objektbeschreibung

Sprachen
Latein

Maß-/Formatangaben

Auflage/Druckzustand

Werktitel/Werkverzeichnis

Herstellung/Entstehung

Material (GND)
Papier

Auftrag

Publikation

Fund/Ausgrabung

Provenienz

Provenienz
Provenienz (GND)
Bibliotheca Palatina (Heidelberg)

Restaurierung

Sammlung Eingang

Ausstellung

Bearbeitung/Umgestaltung

Thema/Bildinhalt

Thema/Bildinhalt (GND)
Wasserzeichen

Literaturangabe

Rechte am Objekt

Rechtsstatus
Alle Rechte vorbehalten - Freier Zugang

Aufnahmen/Reproduktionen

Künstler/Urheber (GND)
Universitätsbibliothek Heidelberg
Aufbewahrungsort (GND)
Universitätsbibliothek Heidelberg
Reproduktionstyp
Digitales Bild
Rechtsstatus
Alle Rechte vorbehalten - Freier Zugang
 
Annotationen