Metadaten

Heidelberg, Universitätsbibliothek Heidelberg, Cod. Pal. germ. 785
Johannes Adler
Urkundensammlung (Formularbuch) — Speyer (?), um 1540

Citation link:
https://digi.ub.uni-heidelberg.de/diglit/cpg785_v2/0438
Overview
Facsimile
0.5
1 cm
facsimile
Scroll
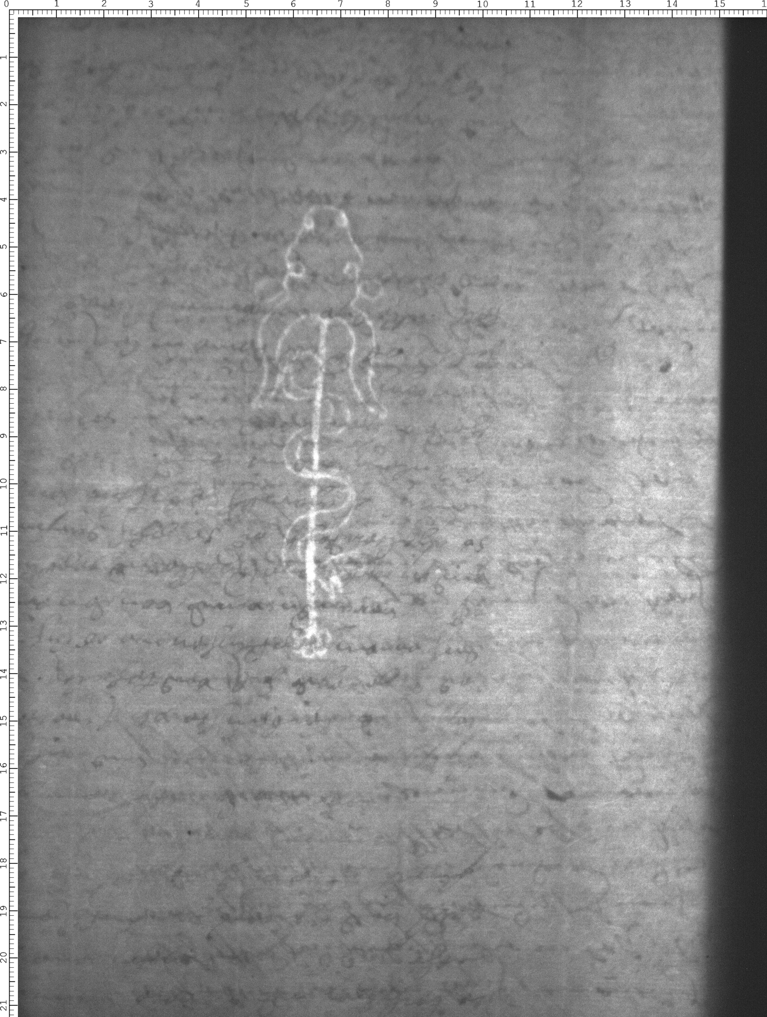
Watermark
Watermark

Werk/Gegenstand/Objekt

Titel

Titel/Objekt
Urkundensammlung (Formularbuch)
Sachbegriff/Objekttyp
Handschrift

Inschrift/Wasserzeichen

Aufbewahrung/Standort

Aufbewahrungsort/Standort (GND)
Universitätsbibliothek Heidelberg
Inv. Nr./Signatur
Cod. Pal. germ. 785, Bl. 190

Objektbeschreibung

Sprachen
Deutsch

Maß-/Formatangaben

Auflage/Druckzustand

Werktitel/Werkverzeichnis

Herstellung/Entstehung

Material (GND)
Papier

Auftrag

Publikation

Fund/Ausgrabung

Provenienz

Provenienz
Provenienz (GND)
Bibliotheca Palatina (Heidelberg)

Restaurierung

Sammlung Eingang

Ausstellung

Bearbeitung/Umgestaltung

Thema/Bildinhalt

Thema/Bildinhalt (GND)
Wasserzeichen

Literaturangabe

Rechte am Objekt

Aufnahmen/Reproduktionen

Künstler/Urheber (GND)
Universitätsbibliothek Heidelberg
Zeitpunkt Aufnahme
2018
Aufbewahrungsort (GND)
Universitätsbibliothek Heidelberg
Reproduktionstyp
Digitales Bild
Rechtsstatus
Alle Rechte vorbehalten - Freier Zugang
 
Annotationen