Metadaten

Wissenschaftliche Stadtbibliothek Mainz, Hs I 448
Bartholomaeus Pisanus — 15. Jh. 1. Hälfte

DOI Seite / Zitierlink:
https://doi.org/10.11588/diglit.66208#0325
Überblick
Faksimile
0.5
1 cm
facsimile
Vollansicht
Wasserzeichen
Watermark

Werk/Gegenstand/Objekt

Titel

Titel/Objekt
Sammelhandschrift
Sachbegriff/Objekttyp
Handschrift

Inschrift/Wasserzeichen

Wasserzeichen
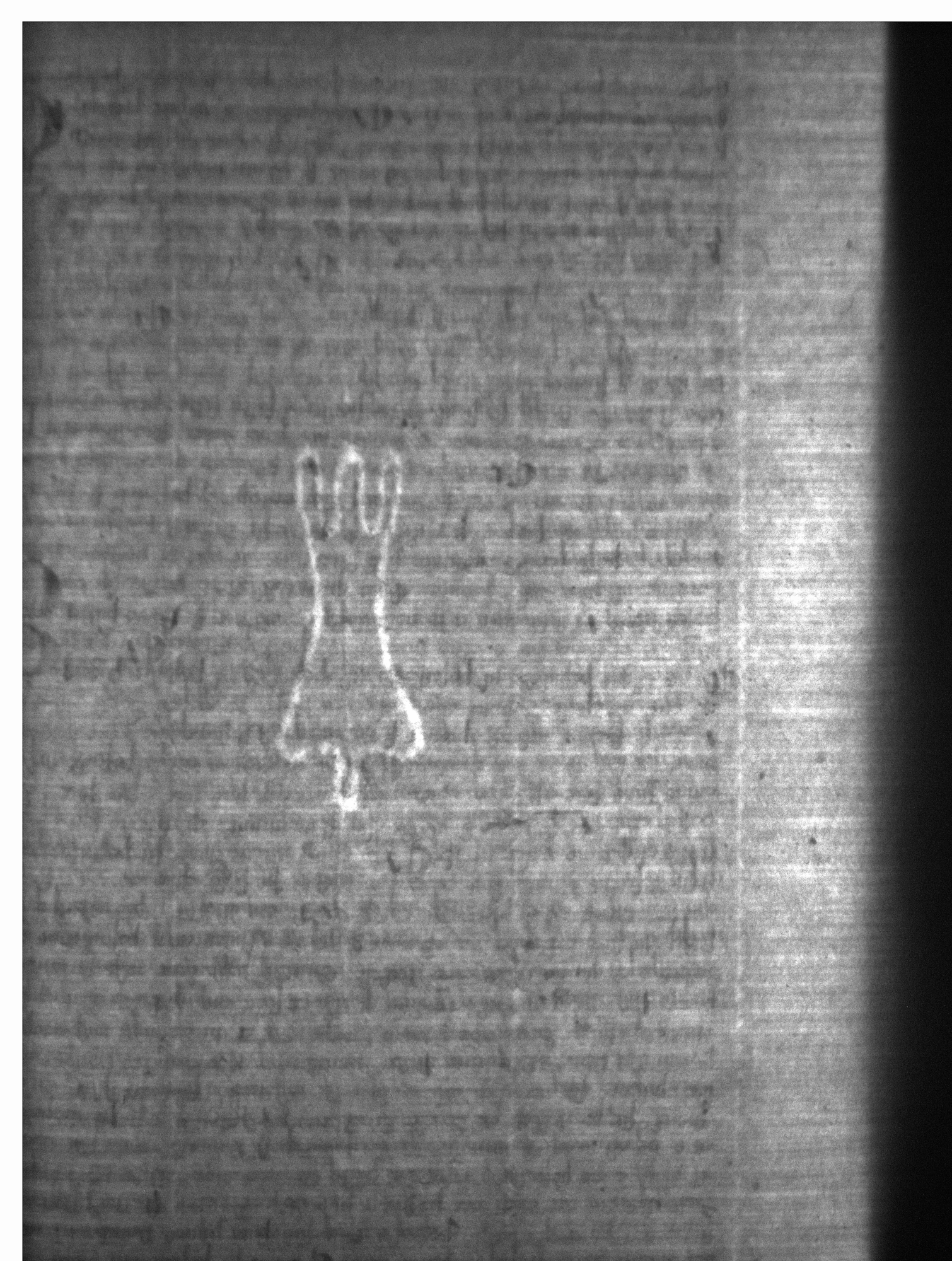
Anbringungsort/Beschreibung
Realien - Glocke - frei, ohne Beizeichen - Glockenkörper ohne Schulter - Glockenmund einkonturig - ohne Joch - mit Klöppel

Aufbewahrung/Standort

Aufbewahrungsort/Standort (GND)
Wissenschaftliche Stadtbibliothek Mainz
Inv. Nr./Signatur
HS I 448, fol. 161

Objektbeschreibung

Sprachen
Latein

Maß-/Formatangaben

Auflage/Druckzustand

Werktitel/Werkverzeichnis

Herstellung/Entstehung

Künstler/Urheber/Hersteller (GND)
Bartholomaeus, de Rinonico , Autor/Autorin
Entstehungsdatum
15. Jh. 1. Hälfte
Entstehungsdatum (normiert)
1400 - 1450
Material (GND)
Papier

Auftrag

Publikation

Fund/Ausgrabung

Provenienz

Provenienz
Provenienz (GND)
Kloster St. Michael Mainz

Restaurierung

Sammlung Eingang

Ausstellung

Bearbeitung/Umgestaltung

Thema/Bildinhalt

Literaturangabe

Rechte am Objekt

Aufnahmen/Reproduktionen

Künstler/Urheber (GND)
Universitätsbibliothek Heidelberg
Zeitpunkt Aufnahme
2023
Aufbewahrungsort (GND)
Universitätsbibliothek Heidelberg
Reproduktionstyp
Digitales Bild
Rechtsstatus
Public Domain Mark 1.0
 
Annotationen