Metadaten

Wissenschaftliche Stadtbibliothek Mainz, Hs I 454
Juristische Sammelhandschrift — 1453 (79r, 300v)

DOI Seite / Zitierlink:
https://doi.org/10.11588/diglit.66214#0562
Überblick
Faksimile
0.5
1 cm
facsimile
Vollansicht
Wasserzeichen
Watermark

Werk/Gegenstand/Objekt

Titel

Titel/Objekt
Juristische Sammelhandschrift
Sachbegriff/Objekttyp
Handschrift

Inschrift/Wasserzeichen

Wasserzeichen
Anbringungsort/Beschreibung
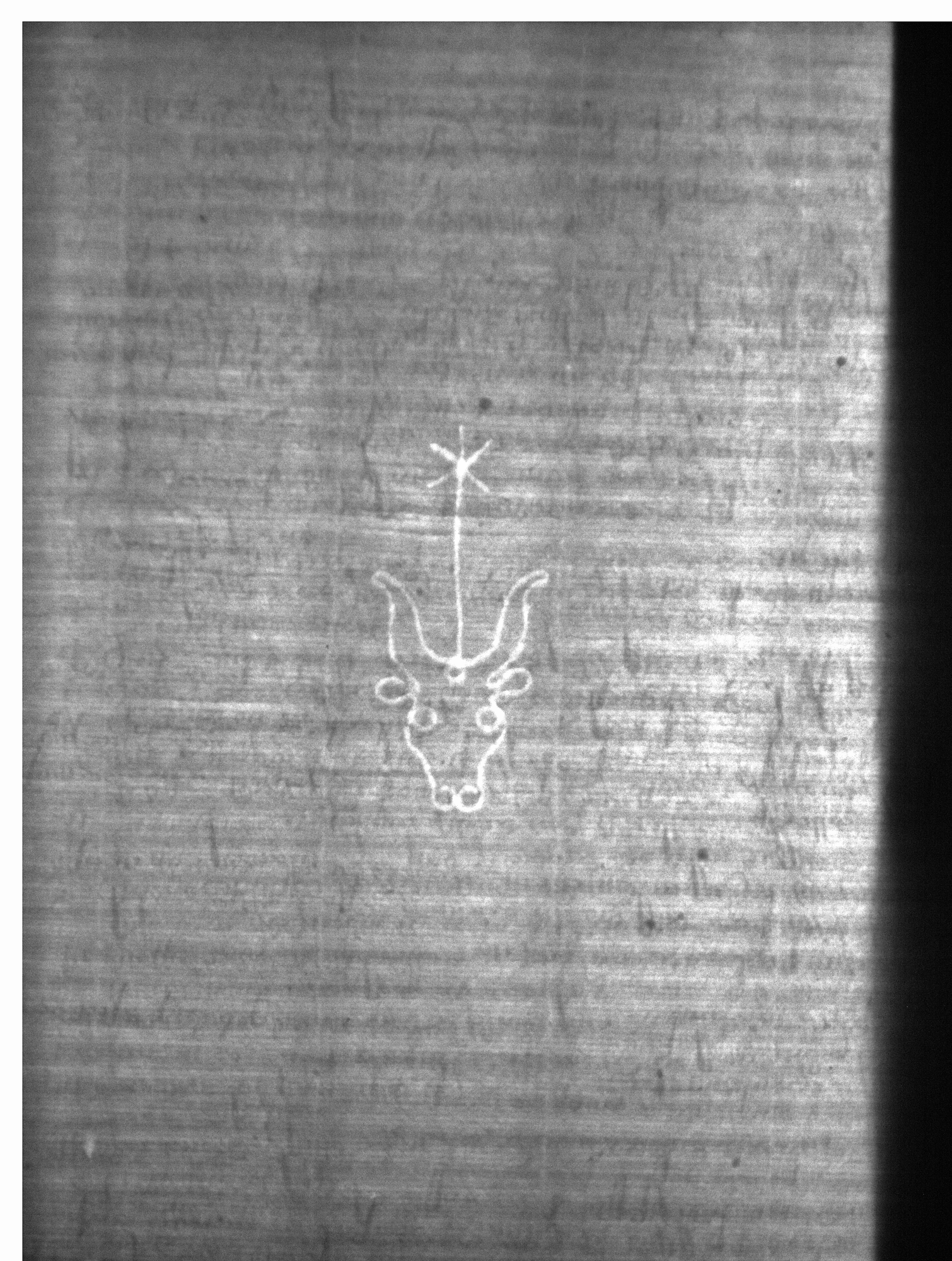
Fauna - Ochsenkopf - frei, mit Oberzeichen - mit einkonturiger Stange - Stern (einkonturig) - sechsstrahlig (Enden gerade) - ohne weiteres Beizeichen - mit Augen und Nasenlöchern - mit Kreis auf Stirn

Aufbewahrung/Standort

Aufbewahrungsort/Standort (GND)
Wissenschaftliche Stadtbibliothek Mainz
Inv. Nr./Signatur
HS I 454, fol. 280

Objektbeschreibung

Sprachen
Latein

Maß-/Formatangaben

Auflage/Druckzustand

Werktitel/Werkverzeichnis

Herstellung/Entstehung

Entstehungsdatum
1453
Entstehungsdatum (normiert)
1453 - 1453
Material (GND)
Papier

Auftrag

Publikation

Fund/Ausgrabung

Provenienz

Provenienz
Provenienz (GND)
Kloster St. Michael Mainz

Restaurierung

Sammlung Eingang

Ausstellung

Bearbeitung/Umgestaltung

Thema/Bildinhalt

Literaturangabe

Rechte am Objekt

Aufnahmen/Reproduktionen

Künstler/Urheber (GND)
Universitätsbibliothek Heidelberg
Zeitpunkt Aufnahme
2023
Aufbewahrungsort (GND)
Universitätsbibliothek Heidelberg
Reproduktionstyp
Digitales Bild
Rechtsstatus
Public Domain Mark 1.0
 
Annotationen