Metadaten

Wissenschaftliche Stadtbibliothek Mainz, Hs I 46
Nicolaus de Lyra
Zusammengesetzte Handschrift — I. 1359; II. um 1400; III. 1. Viertel 15. Jh.

DOI Seite / Zitierlink:
https://doi.org/10.11588/diglit.52223#0781
Überblick
Faksimile
0.5
1 cm
facsimile
Vollansicht
Wasserzeichen
Watermark

Werk/Gegenstand/Objekt

Titel

Titel/Objekt
Zusammengesetzte Handschrift
Sachbegriff/Objekttyp
Handschrift

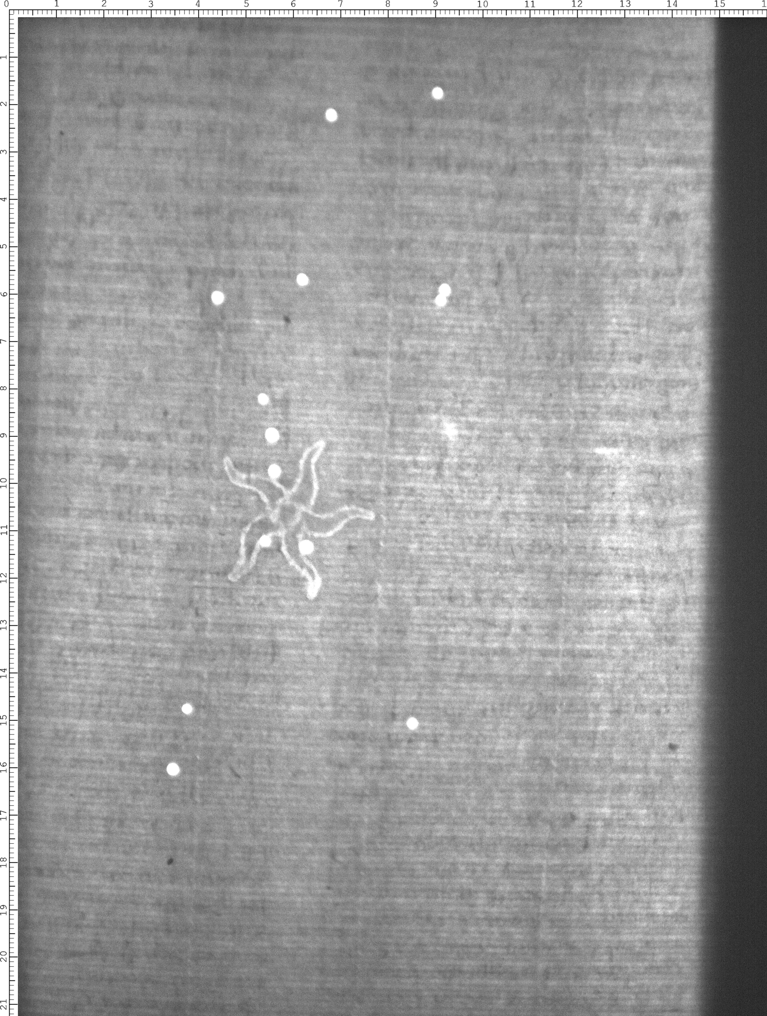
Inschrift/Wasserzeichen

Wasserzeichen
Anbringungsort/Beschreibung
Berge/Himmelskörper - Sonne - frei, ohne Beizeichen - Kreis - fünf Strahlen

Aufbewahrung/Standort

Aufbewahrungsort/Standort (GND)
Wissenschaftliche Stadtbibliothek Mainz
Inv. Nr./Signatur
HS I 46, fol. 390

Objektbeschreibung

Sprachen
Latein

Maß-/Formatangaben

Auflage/Druckzustand

Werktitel/Werkverzeichnis

Herstellung/Entstehung

Künstler/Urheber/Hersteller (GND)
Nicolaus, de Lyra , Autor/Autorin
Entstehungsdatum
I. 1359; II. um 1400; III. 1. Viertel 15. Jh.
Entstehungsdatum (normiert)
1359 - 1425
Material (GND)
Papier

Auftrag

Publikation

Fund/Ausgrabung

Provenienz

Provenienz
Provenienz (GND)
Kloster St. Michael Mainz

Restaurierung

Sammlung Eingang

Ausstellung

Bearbeitung/Umgestaltung

Thema/Bildinhalt

Literaturangabe

Rechte am Objekt

Aufnahmen/Reproduktionen

Künstler/Urheber (GND)
Universitätsbibliothek Heidelberg
Zeitpunkt Aufnahme
2020
Aufbewahrungsort (GND)
Universitätsbibliothek Heidelberg
Reproduktionstyp
Digitales Bild
Rechtsstatus
Public Domain Mark 1.0
 
Annotationen