Werk/Gegenstand/Objekt
Titel
Titel/Objekt
Juristische und philosophische Studienhandschrift
Sachbegriff/Objekttyp
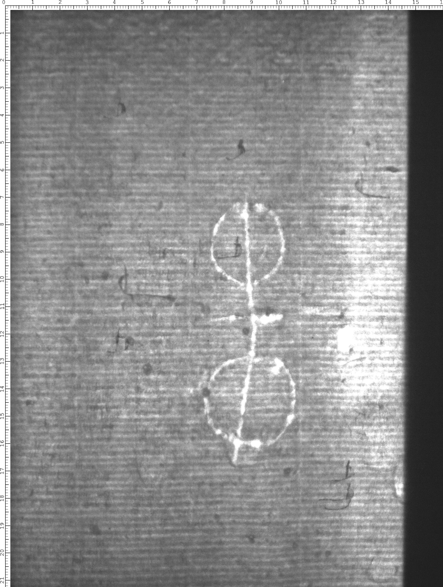
Inschrift/Wasserzeichen
Wasserzeichen
Anbringungsort/Beschreibung
Geometrische Figuren - drei Elemente - Kreis - Kreuz - Kreis - ohne Beizeichen
Aufbewahrung/Standort
Aufbewahrungsort/Standort (GND)
Inv. Nr./Signatur
HS I 464, fol. 38
Objektbeschreibung
Sprachen
Maß-/Formatangaben
Auflage/Druckzustand
Werktitel/Werkverzeichnis
Herstellung/Entstehung
Material (GND)
Auftrag
Publikation
Fund/Ausgrabung
Provenienz
Provenienz



