Metadaten

Wissenschaftliche Stadtbibliothek Mainz, Hs I 525
Kräuterbuch, deutsch — 15. Jh.

Citation link:
https://digi.ub.uni-heidelberg.de/diglit/mzstb_hs_i_525/0093
Overview
Facsimile
0.5
1 cm
facsimile
Scroll
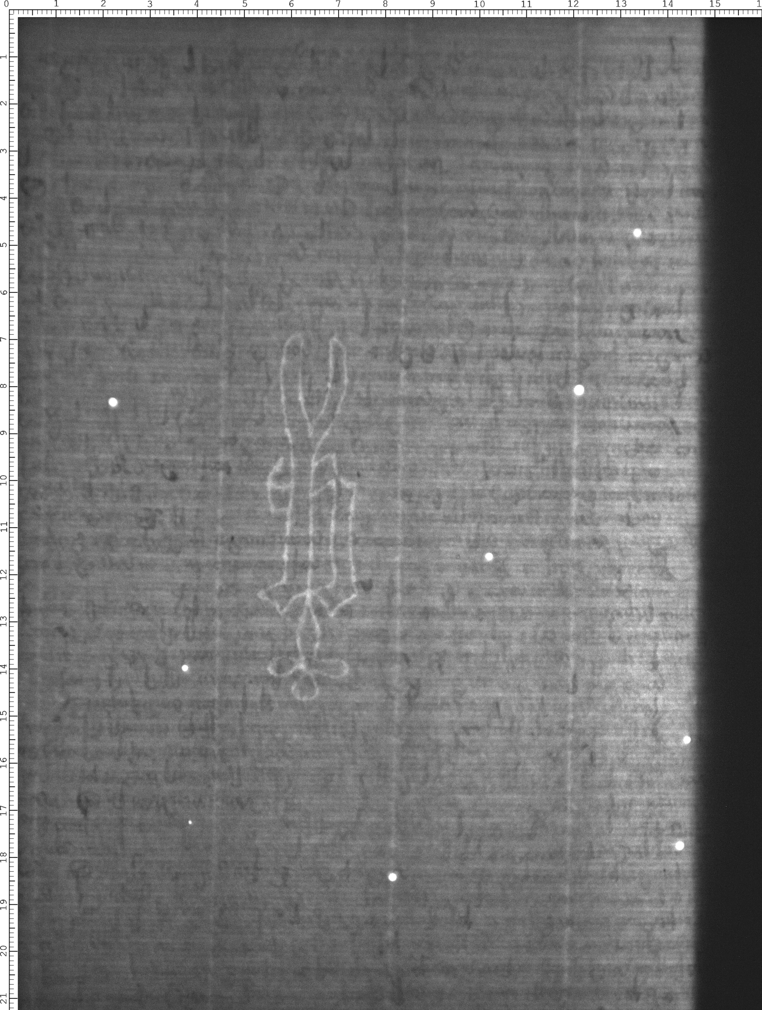
Watermark
Watermark

Werk/Gegenstand/Objekt

Titel

Titel/Objekt
Kräuterbuch
Sachbegriff/Objekttyp
Handschrift

Inschrift/Wasserzeichen

Wasserzeichen
Anbringungsort/Beschreibung
Buchstaben/Ziffern - Buchstabe P - frei, gotische Form, mit Beizeichen - Blume/Blatt - vierblättrig, ohne weiteres Beizeichen, ohne Querstrich - Bogenende hinter dem Schaft - Schaftende gespalten, ohne Schnörkel - Bogenende mit Dorn (einkonturig) - Blätter rund, ohne Stempel

Aufbewahrung/Standort

Aufbewahrungsort/Standort (GND)
Wissenschaftliche Stadtbibliothek Mainz
Inv. Nr./Signatur
HS I 525, fol. 39

Objektbeschreibung

Sprachen
Latein

Maß-/Formatangaben

Auflage/Druckzustand

Werktitel/Werkverzeichnis

Herstellung/Entstehung

Entstehungsdatum
15. Jh.
Entstehungsdatum (normiert)
1400 - 1499
Material (GND)
Papier

Auftrag

Publikation

Fund/Ausgrabung

Provenienz

Provenienz
Provenienz (GND)
Kloster St. Michael Mainz

Restaurierung

Sammlung Eingang

Ausstellung

Bearbeitung/Umgestaltung

Thema/Bildinhalt

Literaturangabe

Rechte am Objekt

Aufnahmen/Reproduktionen

Künstler/Urheber (GND)
Universitätsbibliothek Heidelberg
Zeitpunkt Aufnahme
2024
Aufbewahrungsort (GND)
Universitätsbibliothek Heidelberg
Reproduktionstyp
Digitales Bild
Rechtsstatus
Public Domain Mark 1.0
 
Annotationen