Überblick
Faksimile
0.5
1 cm
facsimile
Vollansicht
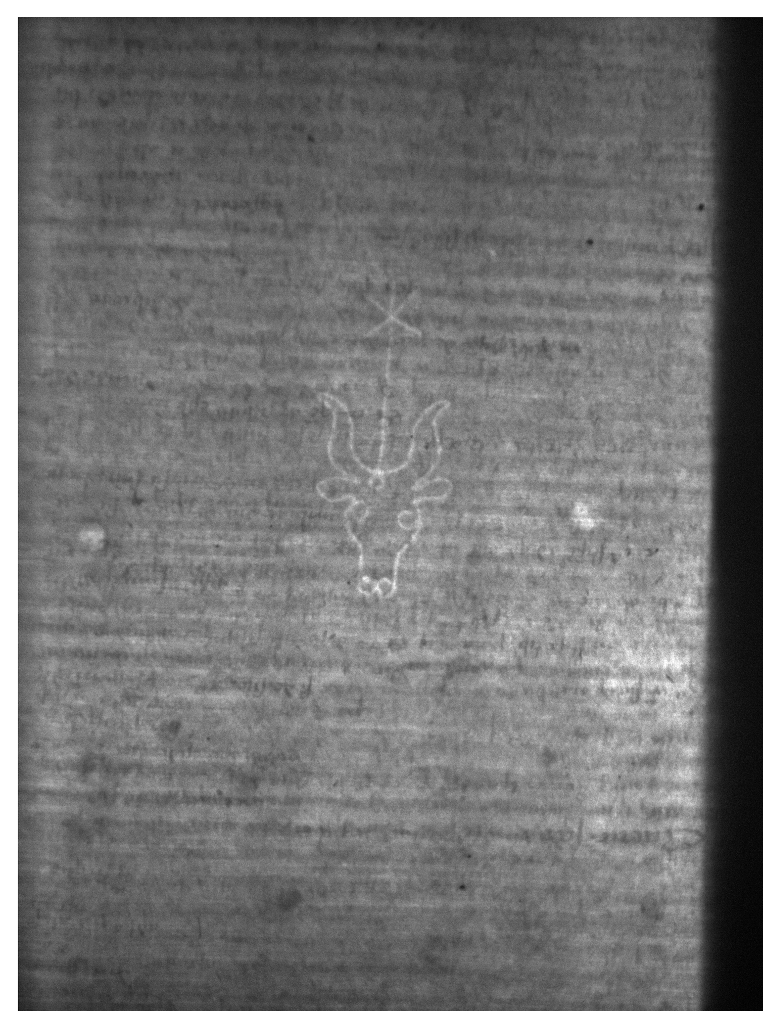
Wasserzeichen
Watermark

Werk/Gegenstand/Objekt

Titel

Titel/Objekt
Philosophische Sammelhandschrift
Sachbegriff/Objekttyp
Handschrift

Inschrift/Wasserzeichen

Wasserzeichen
Anbringungsort/Beschreibung
Fauna - Ochsenkopf - frei, mit Oberzeichen - mit einkonturiger Stange - Stern (einkonturig) - sechsstrahlig (Enden gerade) - ohne weiteres Beizeichen - mit Augen und Nasenlöchern - mit Kreis auf Stirn

Aufbewahrung/Standort

Aufbewahrungsort/Standort (GND)
Wissenschaftliche Stadtbibliothek Mainz
Inv. Nr./Signatur
HS I 81, fol. 274

Objektbeschreibung

Sprachen
Latein

Maß-/Formatangaben

Auflage/Druckzustand

Werktitel/Werkverzeichnis

Herstellung/Entstehung

Künstler/Urheber/Hersteller (GND)
Albertus, Magnus, Heiliger , Autor/Autorin
Sixtus, de Werdea , Autor/Autorin
Entstehungsdatum
Mitte 15. Jh. (1453)
Entstehungsdatum (normiert)
1453 - 1453
Material (GND)
Papier

Auftrag

Publikation

Fund/Ausgrabung

Provenienz

Provenienz
Provenienz (GND)
Kloster St. Michael Mainz

Restaurierung

Sammlung Eingang

Ausstellung

Bearbeitung/Umgestaltung

Thema/Bildinhalt

Thema/Bildinhalt (GND)
Wasserzeichen

Literaturangabe

Rechte am Objekt

Aufnahmen/Reproduktionen

Künstler/Urheber (GND)
Universitätsbibliothek Heidelberg
Zeitpunkt Aufnahme
2021
Aufbewahrungsort (GND)
Universitätsbibliothek Heidelberg
Reproduktionstyp
Digitales Bild
Rechtsstatus
Public Domain Mark 1.0
 
Annotationen