Overview
Facsimile
0.5
1 cm
facsimile
Scroll
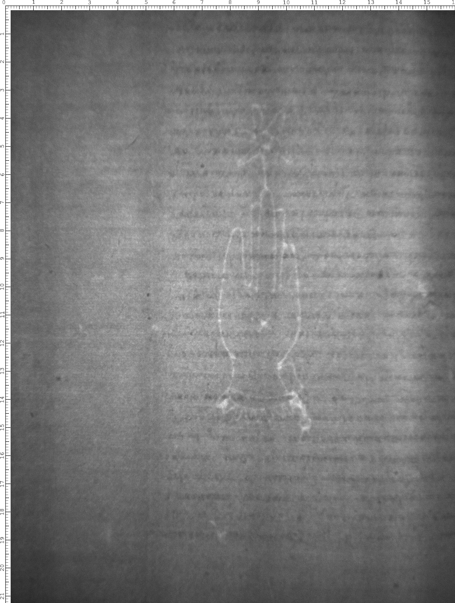
Watermark
Watermark

Werk/Gegenstand/Objekt

Titel

Titel/Objekt
Medizinisch-naturwissenschaftliche Sammelhandschrift
Sachbegriff/Objekttyp
Handschrift

Inschrift/Wasserzeichen

Aufbewahrung/Standort

Aufbewahrungsort/Standort (GND)
Biblioteca Apostolica Vaticana
Inv. Nr./Signatur
Pal. gr. 370, fol. 247

Objektbeschreibung

Sprachen
Griechisch

Maß-/Formatangaben

Auflage/Druckzustand

Werktitel/Werkverzeichnis

Herstellung/Entstehung

Material (GND)
Papier

Auftrag

Publikation

Fund/Ausgrabung

Provenienz

Provenienz
Provenienz (GND)
Bibliotheca Palatina (Heidelberg)

Restaurierung

Sammlung Eingang

Ausstellung

Bearbeitung/Umgestaltung

Thema/Bildinhalt

Thema/Bildinhalt (GND)
Wasserzeichen

Literaturangabe

Rechte am Objekt

Rechtsstatus
In Copyright (InC) / Urheberrechtsschutz
Rechteinhaber
Vatikan, Biblioteca Apostolica Vaticana

Aufnahmen/Reproduktionen

Künstler/Urheber (GND)
Universitätsbibliothek Heidelberg
Zeitpunkt Aufnahme (normiert)
2018 - 2018
Aufbewahrungsort (GND)
Universitätsbibliothek Heidelberg
Reproduktionstyp
Digitales Bild
Rechtsstatus
In Copyright (InC) / Urheberrechtsschutz
Rechteinhaber Weblink
Creditline
Vatikan, Biblioteca Apostolica Vaticana (https://digi.ub.uni-heidelberg.de/de/bpd/projekt/nutzungsbedingungen.html)
 
Annotationen