Überblick
Faksimile
0.5
1 cm
facsimile
Vollansicht
Wasserzeichen
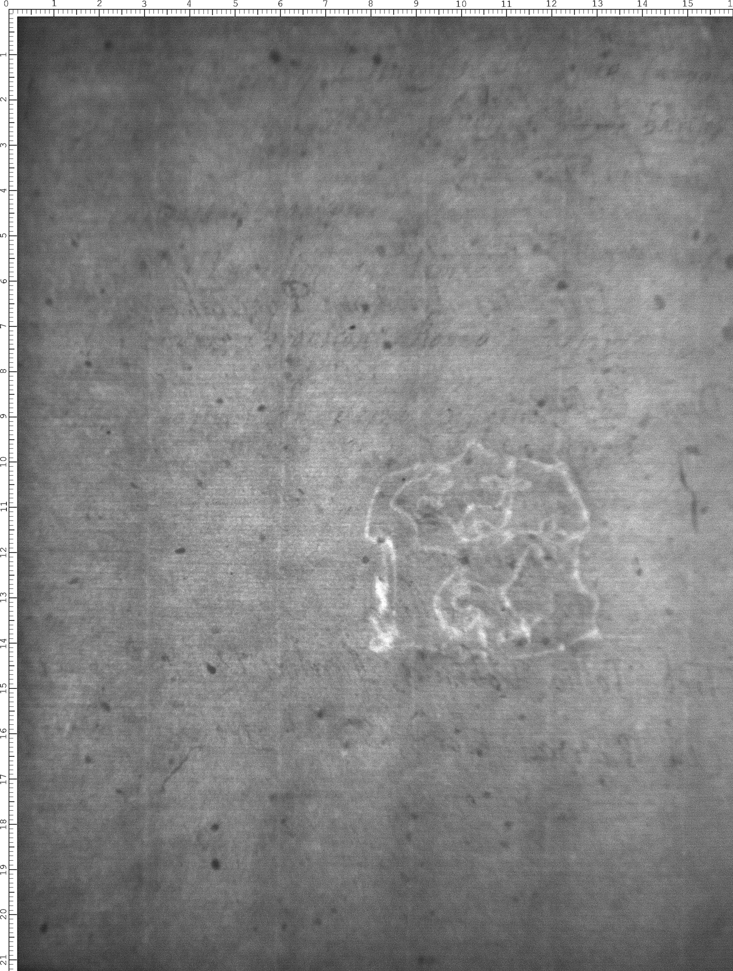
Watermark

Werk/Gegenstand/Objekt

Titel

Titel/Objekt
Zusammengesetzte Handschrift
Weitere Titel/Paralleltitel
Titelzusatz
Verzeichnis griechischer und lateinischer historischer Bücher aus der Bibliothek Ulrich Fuggers
Sachbegriff/Objekttyp
Handschrift
Standardnummern
WZIS: DE4215-PO-85484

Inschrift/Wasserzeichen

Wasserzeichen
Anbringungsort/Beschreibung
Wappen - Gemeine Figuren - Fauna - Vierfüßer - Löwe, frei - ganze Figur - ohne weitere Belegung - ohne Beizeichen zwei Varianten
Verweis

Aufbewahrung/Standort

Aufbewahrungsort/Standort (GND)
Biblioteca Apostolica Vaticana
Inv. Nr./Signatur
Pal. lat. 1920, fol. 123

Objektbeschreibung

Sprachen
Latein
Deutsch

Maß-/Formatangaben

Auflage/Druckzustand

Werktitel/Werkverzeichnis

Herstellung/Entstehung

Entstehungsdatum
um 1590
Entstehungsort (GND)
Heidelberg
Material (GND)
Papier

Auftrag

Publikation

Fund/Ausgrabung

Provenienz

Provenienz
Provenienz (GND)
Heidelberg

Restaurierung

Sammlung Eingang

Ausstellung

Bearbeitung/Umgestaltung

Thema/Bildinhalt

Thema/Bildinhalt (GND)
Wasserzeichen

Literaturangabe

Rechte am Objekt

Rechtsstatus
Alle Rechte vorbehalten - Freier Zugang

Aufnahmen/Reproduktionen

Künstler/Urheber (GND)
Universitätsbibliothek Heidelberg
Aufbewahrungsort (GND)
Universitätsbibliothek Heidelberg
Reproduktionstyp
Digitales Bild
Rechtsstatus
Alle Rechte vorbehalten - Freier Zugang
Rechteinhaber Weblink
Creditline
Vatikan, Biblioteca Apostolica Vaticana (https://digi.ub.uni-heidelberg.de/de/bpd/projekt/nutzungsbedingungen.html)
 
Annotationen