Metadaten

Vatikan, Biblioteca Apostolica Vaticana, Pal. lat. 1930
Katalog der Palatina (1581). Theologie — 1581

DOI Page / Citation link:
https://doi.org/10.11588/diglit.9867#0364
License: In Copyright
Overview
Facsimile
0.5
1 cm
facsimile
Scroll
Watermark
Watermark

Werk/Gegenstand/Objekt

Titel

Titel/Objekt
Katalog der Palatina, Theologie
Sachbegriff/Objekttyp
Handschrift
Standardnummern
WZIS: AT3800-PO-33721

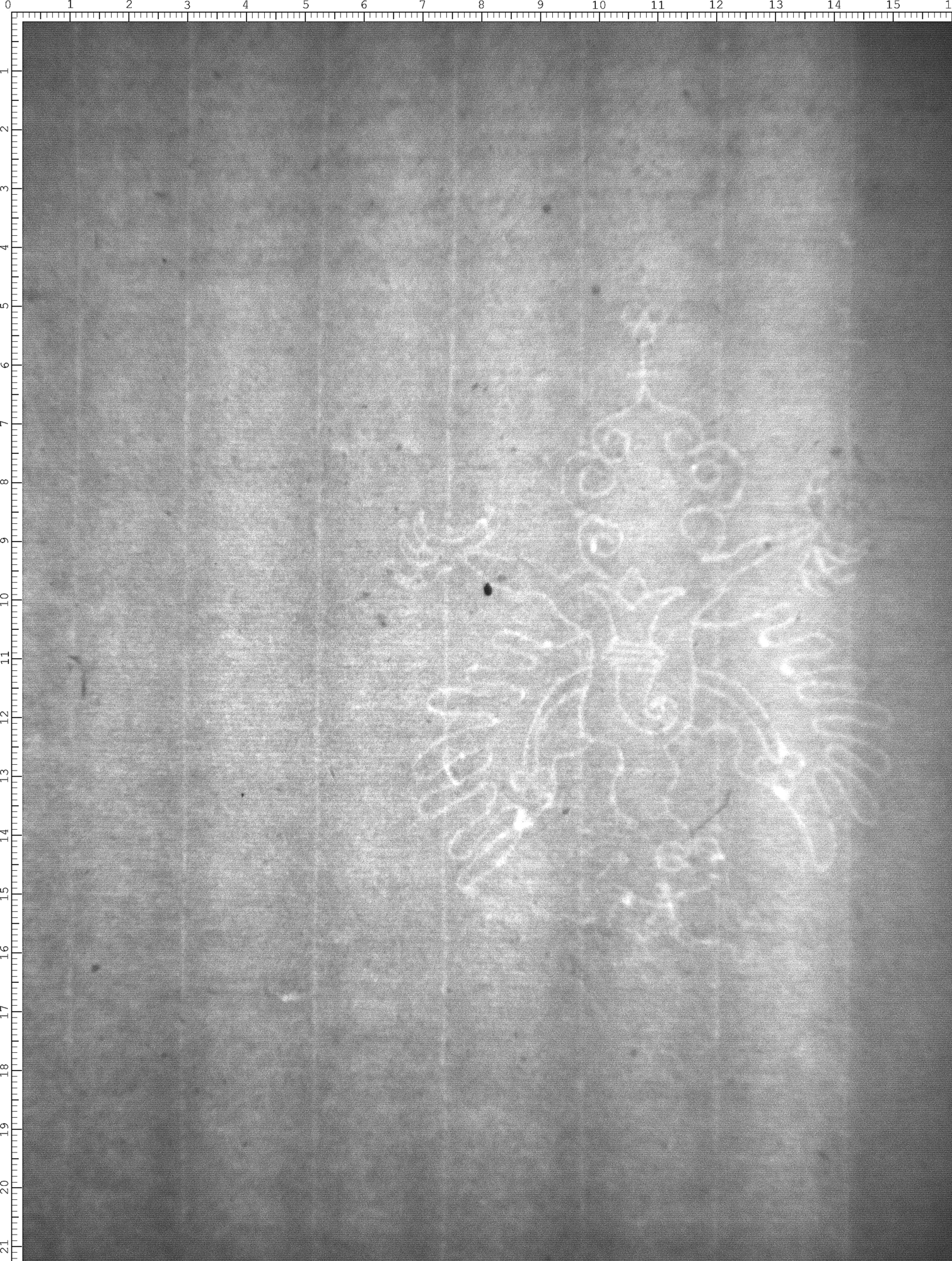
Inschrift/Wasserzeichen

Wasserzeichen
Anbringungsort/Beschreibung
Wappen - Heraldischer Adler - frei, mit Herzschild - Symbole/Herrschaftszeichen - Baselstab - Marke - Kreuz, drei Ringe - Adler einköpfig, bekrönt
Verweis

Aufbewahrung/Standort

Aufbewahrungsort/Standort (GND)
Biblioteca Apostolica Vaticana
Inv. Nr./Signatur
Pal. lat. 1930, p. 351/352

Objektbeschreibung

Sprachen
Latein
Deutsch

Maß-/Formatangaben

Auflage/Druckzustand

Werktitel/Werkverzeichnis

Herstellung/Entstehung

Künstler/Urheber/Hersteller (GND)
Lautenbach, Conrad
Strupp, Joachim
Entstehungsdatum
1581
Entstehungsdatum (normiert)
1581 - 1581
Entstehungsort (GND)
Heidelberg
Material (GND)
Papier

Auftrag

Publikation

Fund/Ausgrabung

Provenienz

Provenienz
Provenienz (GND)
Bibliotheca Palatina (Heidelberg)

Restaurierung

Sammlung Eingang

Ausstellung

Bearbeitung/Umgestaltung

Thema/Bildinhalt

Thema/Bildinhalt (GND)
Wasserzeichen

Literaturangabe

Rechte am Objekt

Rechtsstatus
In Copyright (InC) / Urheberrechtsschutz

Aufnahmen/Reproduktionen

Künstler/Urheber (GND)
Universitätsbibliothek Heidelberg
Aufbewahrungsort (GND)
Universitätsbibliothek Heidelberg
Reproduktionstyp
Digitales Bild
Rechtsstatus
In Copyright (InC) / Urheberrechtsschutz
Rechteinhaber Weblink
Creditline
Vatikan, Biblioteca Apostolica Vaticana (https://digi.ub.uni-heidelberg.de/de/bpd/projekt/nutzungsbedingungen.html)
 
Annotationen