Metadaten

Vatikan, Biblioteca Apostolica Vaticana, Pal. lat. 1931
Kopie der Bibliothekskataloge Pal. lat. 1927, 1930, 1945 und 1956 — Heidelberg, nach 1581

DOI Page / Citation link:
https://doi.org/10.11588/diglit.10599#0049
License: In Copyright
Overview
Facsimile
0.5
1 cm
facsimile
Scroll
Watermark
Watermark

Werk/Gegenstand/Objekt

Titel

Titel/Objekt
Katalog der Palatina, Theologie, Geschichte und Jurisprudenz
Sachbegriff/Objekttyp
Handschrift

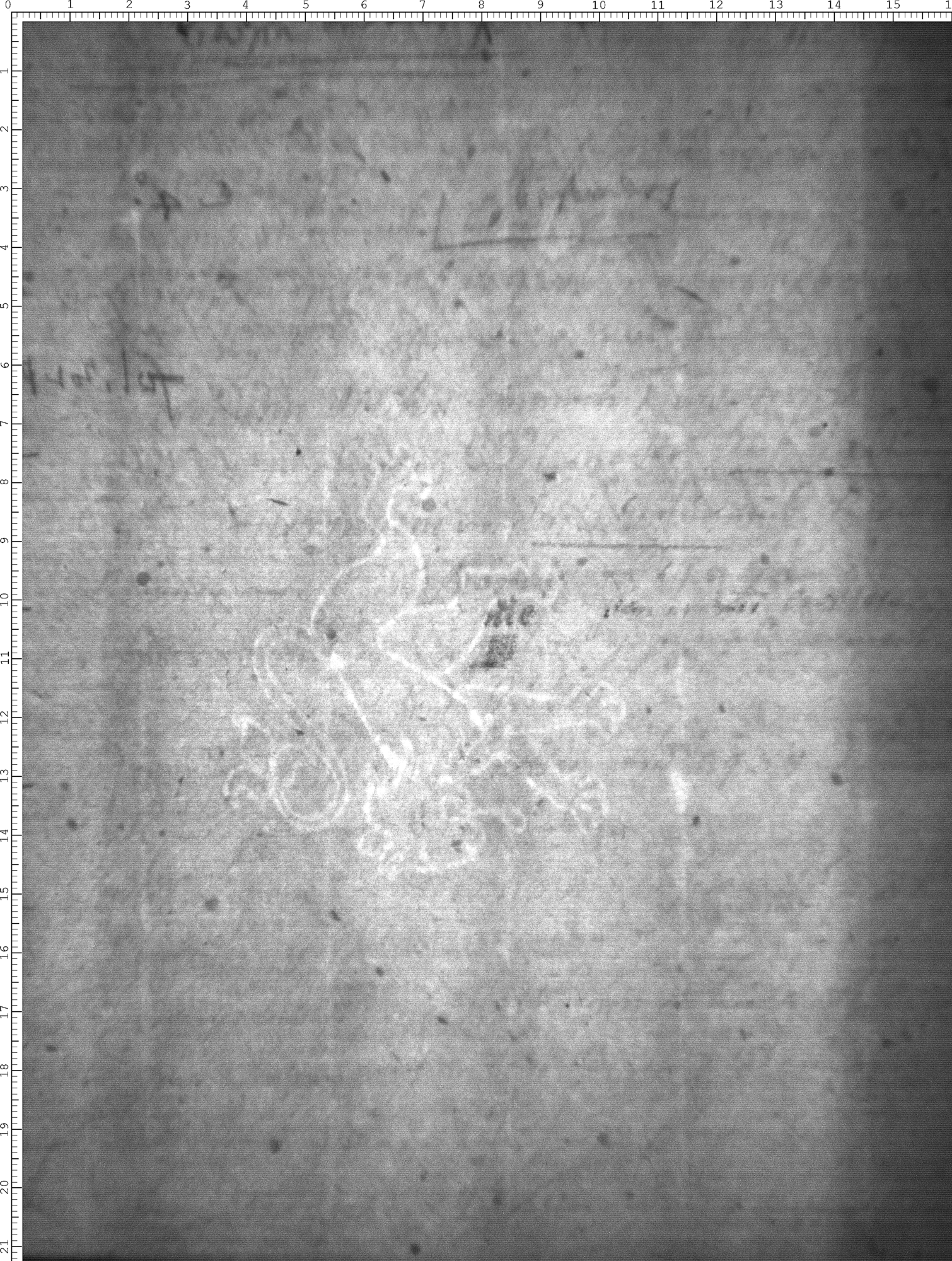
Inschrift/Wasserzeichen

Wasserzeichen
Anbringungsort/Beschreibung
Fauna - Vierfüßer - Löwe - ganze Figur - frei, ohne Beizeichen - aufrecht stehend - mit Schultermähne

Aufbewahrung/Standort

Aufbewahrungsort/Standort (GND)
Biblioteca Apostolica Vaticana
Inv. Nr./Signatur
Pal. lat. 1931, fol. 023

Objektbeschreibung

Sprachen
Latein
Deutsch

Maß-/Formatangaben

Auflage/Druckzustand

Werktitel/Werkverzeichnis

Herstellung/Entstehung

Künstler/Urheber/Hersteller (GND)
Lautenbach, Conrad
Strupp, Joachim
Schede Melissus, Paulus
Entstehungsdatum
1581-1586
Entstehungsdatum (normiert)
1581 - 1586
Entstehungsort (GND)
Heidelberg
Material (GND)
Papier

Auftrag

Publikation

Fund/Ausgrabung

Provenienz

Provenienz
Provenienz (GND)
Bibliotheca Palatina (Heidelberg)

Restaurierung

Sammlung Eingang

Ausstellung

Bearbeitung/Umgestaltung

Thema/Bildinhalt

Thema/Bildinhalt (GND)
Wasserzeichen

Literaturangabe

Rechte am Objekt

Rechtsstatus
Alle Rechte vorbehalten - Freier Zugang

Aufnahmen/Reproduktionen

 
Annotationen