Metadaten

Vatikan, Biblioteca Apostolica Vaticana, Pal. lat. 353
Thomas de Aquino
Summa theologiae, prima secundae — wohl Deutschland, 15. Jh.

DOI Page / Citation link:
https://doi.org/10.11588/diglit.13679#0153
License: In Copyright
Overview
Facsimile
0.5
1 cm
facsimile
Scroll
Watermark
Watermark

Werk/Gegenstand/Objekt

Titel

Titel/Objekt
Sammelhandschrift
Sachbegriff/Objekttyp
Handschrift
Standardnummern
WZIS: DE8085-PO-100586

Inschrift/Wasserzeichen

Wasserzeichen
Anbringungsort/Beschreibung
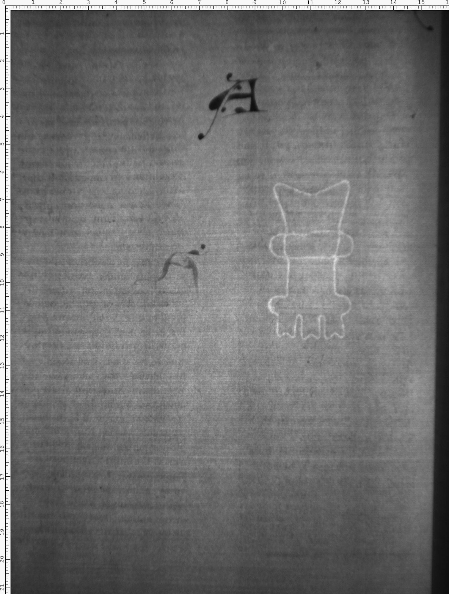
Realien - Bauwerke - Turm (mit Zinnen) - ein Turm, frei - ohne Anbau - ohne Fenster - mit Wulst - ohne Beizeichen - mit Binnenzeichnung - drei Zinnen

Aufbewahrung/Standort

Aufbewahrungsort/Standort (GND)
Biblioteca Apostolica Vaticana
Inv. Nr./Signatur
Pal. lat. 353, fol. 072

Objektbeschreibung

Kommentar
Wasserzeichen ähnlich. Zum Zeitpunkt der Erschließung keine exakte Übereinstimmung in WZIS vorhanden.
Sprachen
Latein

Maß-/Formatangaben

Auflage/Druckzustand

Werktitel/Werkverzeichnis

Herstellung/Entstehung

Material (GND)
Papier

Auftrag

Publikation

Fund/Ausgrabung

Provenienz

Restaurierung

Sammlung Eingang

Ausstellung

Bearbeitung/Umgestaltung

Thema/Bildinhalt

Thema/Bildinhalt (GND)
Wasserzeichen

Literaturangabe

Rechte am Objekt

Aufnahmen/Reproduktionen

Künstler/Urheber (GND)
Universitätsbibliothek Heidelberg
Aufbewahrungsort (GND)
Universitätsbibliothek Heidelberg
Reproduktionstyp
Digitales Bild
Rechtsstatus
In Copyright (InC) / Urheberrechtsschutz
Rechteinhaber Weblink
Creditline
Vatikan, Biblioteca Apostolica Vaticana (https://digi.ub.uni-heidelberg.de/de/bpd/projekt/nutzungsbedingungen.html)
 
Annotationen