Werk/Gegenstand/Objekt
Titel
Titel/Objekt
Sammelhandschrift
Sachbegriff/Objekttyp
Inschrift/Wasserzeichen
Wasserzeichen
Anbringungsort/Beschreibung
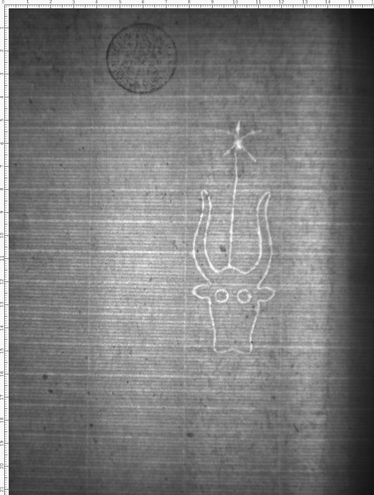
Fauna - Ochsenkopf - frei, mit Oberzeichen - mit einkonturiger Stange - Blume - ohne weiteres Beizeichen - sieben Blütenblätter - mit Augen
Anbringungsort/Beschreibung
Zum Zeitpunkt der Erschließung keine Übereinstimmung in WZIS vorhanden.
Aufbewahrung/Standort
Aufbewahrungsort/Standort (GND)
Inv. Nr./Signatur
Pal. lat. 389, fol. 170
Objektbeschreibung
Kommentar
Zum Zeitpunkt der Erschließung keine Übereinstimmung in WZIS vorhanden.
Sprachen
Maß-/Formatangaben
Auflage/Druckzustand
Werktitel/Werkverzeichnis
Herstellung/Entstehung
Künstler/Urheber/Hersteller (GND)
Entstehungsdatum
1420
Entstehungsort (GND)
Material (GND)
Auftrag
Publikation
Fund/Ausgrabung
Provenienz
Provenienz
Restaurierung
Sammlung Eingang
Ausstellung
Bearbeitung/Umgestaltung
Thema/Bildinhalt
Thema/Bildinhalt (GND)
Literaturangabe
Rechte am Objekt
Rechtsstatus
In Copyright (InC) / Urheberrechtsschutz
Rechteinhaber Weblink
Creditline
https://digi.ub.uni-heidelberg.de/diglit/bav_pal_lat_389
Aufnahmen/Reproduktionen
Künstler/Urheber (GND)
Aufbewahrungsort (GND)
Reproduktionstyp
Digitales Bild
Rechtsstatus
In Copyright (InC) / Urheberrechtsschutz
Rechteinhaber Weblink
Creditline
Vatikan, Biblioteca Apostolica Vaticana (https://digi.ub.uni-heidelberg.de/de/bpd/projekt/nutzungsbedingungen.html)




