Metadaten

Vatikan, Biblioteca Apostolica Vaticana, Pal. lat. 390
Iohannes Nider
Expositio decalogi — Deutschland, 15. Jh. (wohl 2. Hälfte)

DOI Page / Citation link:
https://doi.org/10.11588/diglit.13884#0345
License: In Copyright
Overview
Facsimile
0.5
1 cm
facsimile
Scroll
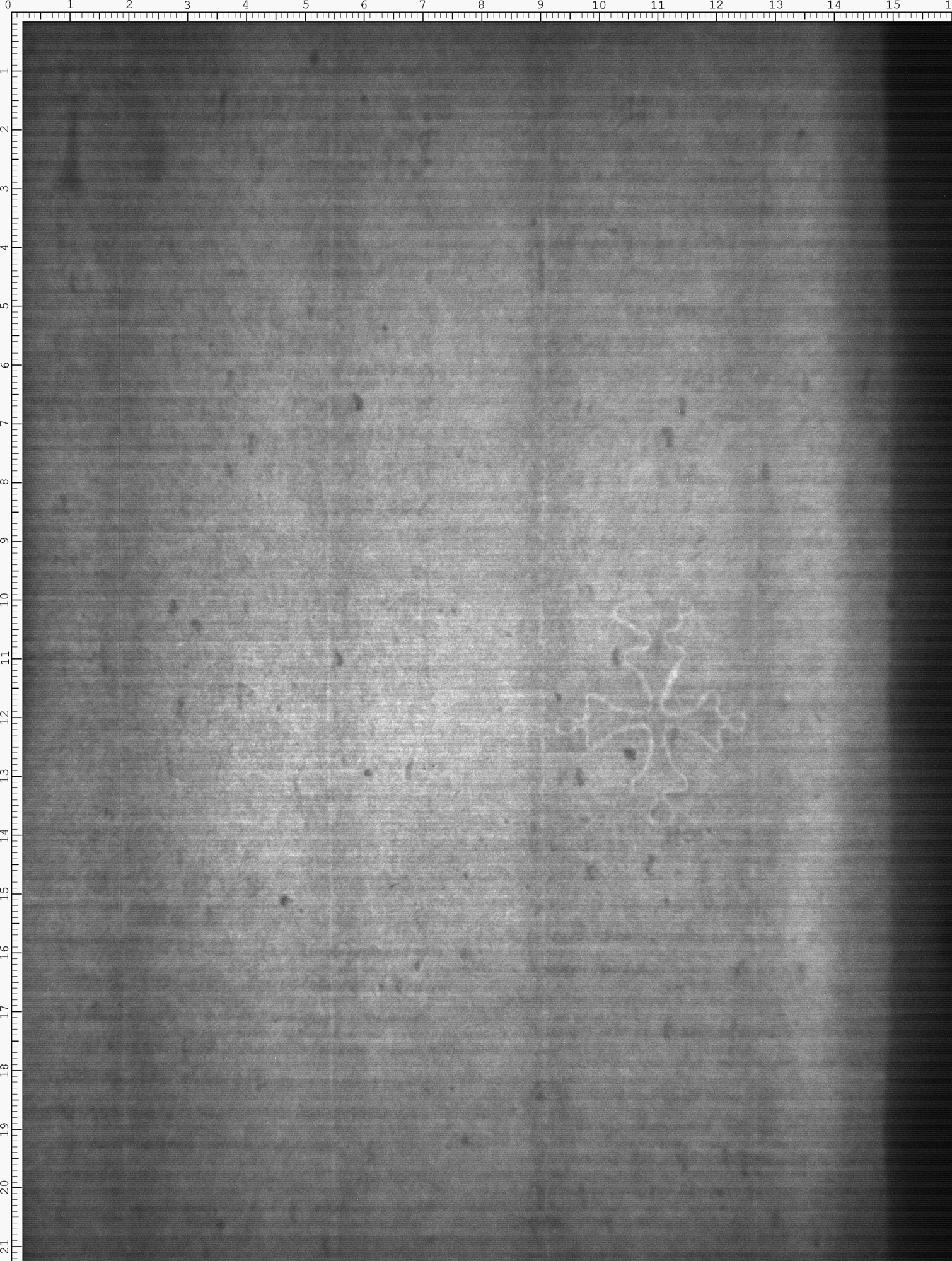
Watermark
Watermark

Werk/Gegenstand/Objekt

Titel

Titel/Objekt
Expositio decalogi
Sachbegriff/Objekttyp
Handschrift
Standardnummern
WZIS: DE4860-Ms289_122

Inschrift/Wasserzeichen

Wasserzeichen
Anbringungsort/Beschreibung
Symbole/Herrschaftszeichen - Kreuz - lateinisches Kreuz - Wiederkreuz/Kleeblattkreuz - frei - zweikonturig - einfach - Sockel - senkrecht

Aufbewahrung/Standort

Aufbewahrungsort/Standort (GND)
Biblioteca Apostolica Vaticana
Biblioteca Apostolica Vaticana
Inv. Nr./Signatur
Pal. lat. 390, fol. 169

Objektbeschreibung

Kommentar
Wasserzeichen ähnlich. Zum Zeitpunkt der Erschließung keine exkate Übereinstimmung in WZIS vorhanden.
Sprachen
Latein

Maß-/Formatangaben

Auflage/Druckzustand

Werktitel/Werkverzeichnis

Herstellung/Entstehung

Künstler/Urheber/Hersteller (GND)
Nider, Johannes , Autor/Autorin
Entstehungsdatum
2. Hälfte des 15. Jh.
Material (GND)
Papier

Auftrag

Publikation

Fund/Ausgrabung

Provenienz

Provenienz
Provenienz (GND)
Bibliotheca Palatina (Heidelberg)

Restaurierung

Sammlung Eingang

Ausstellung

Bearbeitung/Umgestaltung

Thema/Bildinhalt

Thema/Bildinhalt (GND)
Wasserzeichen

Literaturangabe

Rechte am Objekt

Rechtsstatus
In Copyright (InC) / Urheberrechtsschutz
Rechteinhaber Weblink
Creditline
https://digi.ub.uni-heidelberg.de/diglit/bav_pal_lat_390

Aufnahmen/Reproduktionen

Künstler/Urheber (GND)
Universitätsbibliothek Heidelberg
Aufbewahrungsort (GND)
Universitätsbibliothek Heidelberg
Reproduktionstyp
Digitales Bild
Rechtsstatus
In Copyright (InC) / Urheberrechtsschutz
Rechteinhaber Weblink
Creditline
Vatikan, Biblioteca Apostolica Vaticana (https://digi.ub.uni-heidelberg.de/de/bpd/projekt/nutzungsbedingungen.html)
 
Annotationen