Metadaten

Vatikan, Biblioteca Apostolica Vaticana, Pal. lat. 684
Kanonistische Sammelhandschrift — Südwestdeutschland, Mitte 15. Jh.

DOI Page / Citation link:
https://doi.org/10.11588/diglit.14619#0016
License: In Copyright
Overview
Facsimile
0.5
1 cm
facsimile
Scroll
Watermark
Watermark

Werk/Gegenstand/Objekt

Titel

Titel/Objekt
Egudii Bellimere (sic) decisiones in ius canonicum
Sachbegriff/Objekttyp
Handschrift
Standardnummern
WZIS: AT3800-PO-122892

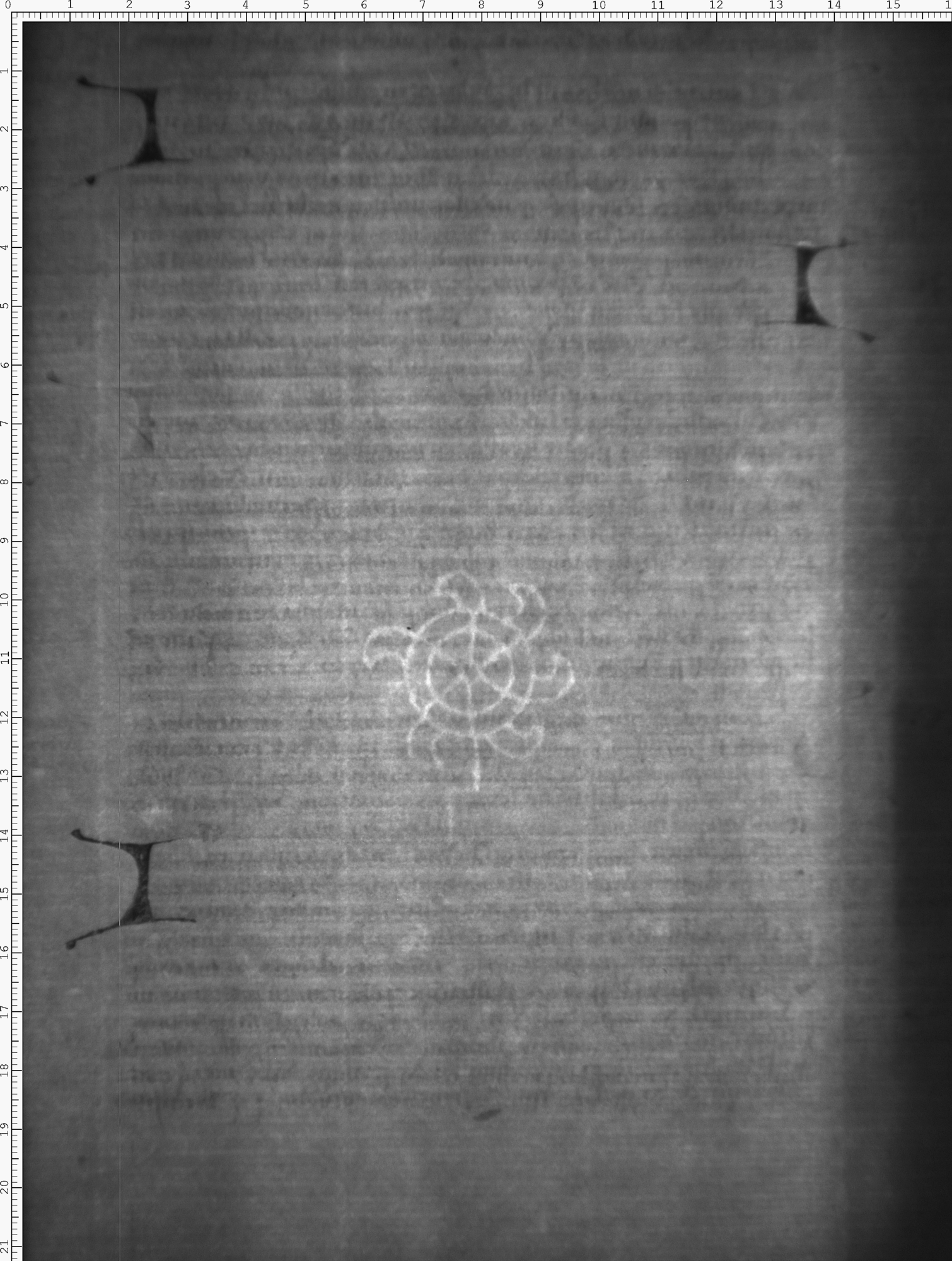
Inschrift/Wasserzeichen

Wasserzeichen
Anbringungsort/Beschreibung
Realien - Werkzeuge - Mühlrad - frei, mit Beizeichen - Kurbel - ohne weiteres Beizeichen - Doppelrad - sechs Speichen
Verweis

Aufbewahrung/Standort

Aufbewahrungsort/Standort (GND)
Biblioteca Apostolica Vaticana
Inv. Nr./Signatur
Pal. lat. 684, fol. 004

Objektbeschreibung

Sprachen
Latein

Maß-/Formatangaben

Auflage/Druckzustand

Werktitel/Werkverzeichnis

Herstellung/Entstehung

Entstehungsdatum
15. Jh.
Material (GND)
Papier

Auftrag

Publikation

Fund/Ausgrabung

Provenienz

Restaurierung

Sammlung Eingang

Ausstellung

Bearbeitung/Umgestaltung

Thema/Bildinhalt

Thema/Bildinhalt (GND)
Wasserzeichen

Literaturangabe

Rechte am Objekt

Rechtsstatus
In Copyright (InC) / Urheberrechtsschutz
Rechteinhaber
Biblioteca Apostolica Vaticana

Aufnahmen/Reproduktionen

Künstler/Urheber (GND)
Universitätsbibliothek Heidelberg
Zeitpunkt Aufnahme (normiert)
2015 - 2015
Aufbewahrungsort (GND)
Universitätsbibliothek Heidelberg
Reproduktionstyp
Digitales Bild
Rechtsstatus
In Copyright (InC) / Urheberrechtsschutz
Rechteinhaber Weblink
Creditline
Vatikan, Biblioteca Apostolica Vaticana (https://digi.ub.uni-heidelberg.de/de/bpd/projekt/nutzungsbedingungen.html)
Image description
There is no information available here for this page.

Temporarily hide column
 
Annotationen